Brighton Architectural Controls
DESIGN PHILOSOPHY
Brighton is a unique family community nestled in Holmwood in the east end of Saskatoon, just north of 8th Street and south of College Drive. It is an innovative, master-planned neighbourhood with housing, parklands, trails, public transit, retail, schools, employment zones and office space. Brighton is the ideal place to live, work, learn, shop and play for generations to come. This community has a unique and progressive identity crafted from the very first stages of its unique design which will instill pride and a sense of belonging for all new homeowners.
The Architectural Controls aim to create an aesthetically pleasing streetscape while encouraging a variety of different exterior dwelling materials visible from public spaces. Our vision is that all dwellings in Brighton will incorporate one of the following styles in their design:
![]() | ![]() | ![]() | ![]() | ![]() | ![]() |
| Tudor | Prairie | Arts & Crafts | Craftsman | French Country | Colonial |
Other dwelling styles (Farmhouse, Contemporary, Victorian, etc.) will only be considered in special cases and will require review from the Design Review Committee.
Architectural Control Application Form
PROCESS
DWELLING STYLES | GENERALARCHITECTURAL CONTROLS | SPECIFICARCHITECTURAL CONTROLS |
|---|---|---|
Step 1: Choose a Dwelling Style | step 2: Review General Architectural Controls | step 3: Review Specific Architectural Controls |
| Each dwelling must be based on one of the styles below. Combining styles is prohibited. | These architectural controls apply to all lots regardless of Dwelling Style, Phase, and Lot Type. All submitted dwelling plans must address the items listed below. | These architectural controls are specific to the dwelling Phase and Lot Type. All submitted dwelling plans must address the items listed below in addition to the General Architectural Controls. |
TUDOR | MASSING & Relief | Phase 1A |
PRAIRIE | REPETITION | PHASE 1B |
ARTS & CRAFTS | FRONT ENTRY | Phase 2A |
CRAFTSMAN | Exterior MATERIALS | Phase 2B |
FRENCH COUNTRY | GARAGES | |
COLONIAL | Highly Visible Lots | |
Landscape & Driveway Requirement |
DWELLING STYLES
In addition to the specific Architectural Requirements, dwellings in Brighton should implement the following styles. Although exact replicas of these styles are not required, they are presented here to give builders some basis to work from. Other dwelling styles will only be considered in special cases and will require review from the Design Review Committee.
Ten (10) or more design features of each style are identified. When submitting plans for Architectural and Development Controls Review, the builder must state the style of dwelling they wish to build. In addition to the specific Architectural Requirements, the builder must note on their application form and show on their plans at least five (5) design features that were added to the dwelling design to replicate the chosen dwelling style.
The Design Review Committee may request additional design features to be added to the design to make sure the style is distinguishable.
Tudor Style
The Tudor Style is based on a variety of early English building traditions. Most dwellings in this style emphasize high-pitched gable roofs, elaborate stone/brick chimneys, and decorative trim detailing.
click on image
DESIGN FEATURES & MATERIALS | ||
|---|---|---|
|
|
|
|
|
|
|
|
|
|
|
|
|
Prairie Style
Prairie Style dwellings originated in the Midwest U.S. by Frank Lloyd Wright. These dwellings were designed to reflect the flat horizon of the prairie landscape using low sloped roofs, broad overhangs, and accented horizontal trims and materials.
click on image
DESIGN FEATURES & MATERIALS | ||
|---|---|---|
|
|
|
|
|
|
|
|
|
|
|
Arts & Crafts Style
The term "Arts and Crafts" refers to the early 19th-century British and American movement to revive handicrafts. The movement was also the inspiration behind the Craftsman and bungalow styles.
click on image
DESIGN FEATURES & MATERIALS | ||
|---|---|---|
|
|
|
|
|
|
|
|
|
|
|
|
Craftsman Style
Inspired by post and beam or log dwellings in mountain settings, this informal style features lofty ceilings and open floor plans. Craftsman Style dwelling plans typically blend well with nature, and their exteriors frequently incorporate the use of natural materials.
click on image
DESIGN FEATURES & MATERIALS | ||
|---|---|---|
|
|
|
|
|
|
|
|
|
|
|
French Country Style
French Country dwellings draw from both the smaller country cottages and large rural estates of France. The style is characterized by a steep hipped roof, and dwellings may include turrets, finials, and shaped chimneys. Bays and decorative windows lend character to the facade.
click on image
DESIGN FEATURES & MATERIALS | ||
|---|---|---|
|
|
|
|
|
|
|
|
|
|
|
|
|
Colonial Style
Typically, the Colonial-style dwelling includes a symmetrical facade, regularly-spaced single windows, and some decorative accent over the front door. Historically speaking, this style developed in the original thirteen American colonies, as settlers adapted European building techniques to the materials available and the climates in their New World colonies. The Colonial dwelling plans being built in America today are more accurately called "Colonial Revival," which was first seen around 1880, and grew rapidly after World War I.
click on image
DESIGN FEATURES & MATERIALS | ||
|---|---|---|
|
|
|
|
|
|
|
| |
|
|
*Contemporary or Flush garage doors are not permitted.
GENERAL ARCHITECTURAL CONTROLS
These controls apply to lots regardless of phase and lot type and are in addition to the controls found in the "Architectural Controls by Phase & Lot Type" section below.
Massing & Relief
All dwelling volumes must incorporate intermittent variances in plan and elevation to encourage shadow lines on facades and visible elevations which will enhance the streetscape by introducing interesting architecture. This includes all dwelling elevations that are adjacent to or visible from public streets or open spaces.

Repetition
Three (3) lots are required in between homes before the same elevation and primary colour may be repeated on the same side of the street. The same elevation and primary colour may not be repeated across the street for the three facing lots. See example image below.
![]() | |
![]() | The same dwelling elevation on the lot that is circled can only be built on lots with green stars. |
Colours are defined as primary material siding or masonry.
Elevations are defined as the exact same front elevation no matter which side the garage is on. Examples of acceptable changes could include a combination of, but not limited to, the following: roof and dormer orientation and slope, front attached garage roof style or orientation, the size and location of windows and doors, window grilles, material colours and finishes.
If one builder has multiple lots adjacent to each other or across the street, three to five different front elevations are required.
![]() |
| Example of variation in elevations. |
Front Entry
Front Door Placement
It is strongly encouraged that the front door of a dwelling be visible on the front facade by directly facing the fronting street. If the door does not face the street, a combination of architectural elements such as verandas, front-window enhancements, additional front accent materials or other architectural elements will be required to enhance the dwelling entrance.
![]() | |
| Example of acceptable front door placement. If the front door does not face the street additional architectural elements are required. | |
Depending on Saskatoon Land’s evaluation of any submitted plans, especially those that satisfy only the “minimum” requirements of this document, Saskatoon Land may require architectural details such as the following:
|
|
|
|
Columns & Railings
In the event that columns are used, column styles must be consistent with the overall architectural style of the dwelling. Front columns are to be a minimum of 10" wide. All railing material is to be metal or an approved no-maintenance material.
All columns must have a cap and a base, the base of column is not to overhang the landing or veranda. All columns must support a beam and not the soffit.
Verandas
The use of front verandas on dwellings in Brighton is strongly encouraged. A veranda is defined as a usable space on the front of the dwelling which is larger than 10 feet wide (parallel to the street). Where possible, wrap-around front porches/verandas should be incorporated into corner lots. Verandas are typically covered, with multiple columns and a railing. Where a veranda is used on the dwelling, wood verandas and steps are permitted.
Front Stairs & Entry
Stair systems, landings and verandas must be enclosed on all sides. Using steel stringers on stairs is permitted as long as the steel is not visible and encased by wood or a no-maintenance type material. Entry systems, landings and verandas must be stained or painted to complement the dwelling colours. The sides of all front steps and verandas are also to be skirted with wood or a no-maintenance type material. Untreated plywood (not painted or stained) and/or OSB are not acceptable enclosure materials. Lattice screens alone will not be permitted as a skirting material.
Dwellings with front attached garage, where no veranda is used, front steps are encouraged to be constructed using one of the following: pre-cast concrete, cast-in-situ concrete, exposed aggregate concrete.
Entry Features
Dwellings require an architecturally significant entry feature. Features should be consistent with the overall architectural style of the dwelling. This may include the use of covered verandas, modern contemporary interpretations of pergolas or covered entry features. Front doors must be painted to match the dwelling colour scheme.
![]() | ![]() |
| Examples of acceptable stairs and entry features. | |
Exterior Materials
For additional material requirements on Highly Visible lots, see specific lot details located in the Architectural Controls by Phase & Lot Type section below.
All dwellings require a minimum of two different exterior dwelling materials on the front elevation with each material being no less than 50 square feet in area, or a minimum of three different exterior dwelling materials with the second and third materials combined being no less than 50 square feet in area (or 25 square feet each).
Note: Material types and square footage must be clearly identified on the drawings submitted in support of your application. Failure to do so may result in delays to the approval of your application.
Front Elevation Material Calculations | Highly Visible Lot Side or Rear Material Calculations |
![]() | ![]() |
Three Materials Example: Stucco = 100 square feet Stone Column = 10 square feet | Stone Garage = 70 square feet Hardie Siding = 60 square feet The stone and Hardie siding exceed the minimum three material requirement of 25 square feet (standard & laned lots) and 40 square feet (walk-out lots). | Red (surface elevation) = 130 square feet (1st storey) | 85 square feet (2nd storey) Secondary Material Required: |
- Trim features, roof shingles and parging will not be counted as a material. In order to be included towards the required material amount, the material must be visibly shown on the 2D elevation plan. Material wrapped around a column or architectural feature is encouraged to provide cleaner edges, but will not count towards the required material total for the elevation in review.
- The materials being used need to be distinctly different and discernible from each other. Two similar materials with visually different textures will be considered two materials. For example, Hardie siding and Hardie shakes; or vinyl siding and vinyl board and batten will be accepted as two materials. Vinyl siding with vinyl shakes; or vinyl siding with vinyl scallops; or the same material in different orientation are NOT two materials. Contrast with the trim materials and exterior dwelling materials being used is also encouraged.
- For the purpose of the material calculation, the total area of elevation is from the ground to under the eaves. Windows and doors shall be subtracted.
Exterior Finishes
- Siding – vinyl, *Hardie board, or Aluminum
- Traditional Lap profile is required for all vinyl siding.
- Acrylic Stucco
- Brick
- *Cultured stone
- *Smartboard
- Shakes – Cedar or *Hardie shakes. Vinyl shakes are permitted as accents in gables only.
* where a brand name is specified, approved equivalents will be considered.
Masonry

- Where masonry is proposed, it must portray structural integrity.
- Masonry returns are to be a minimum of 2 feet.
- All masonry is to go down to as close to finished grade as possible, to a maximum of 3” from grade.
Parging

On the front face of the dwelling all materials are to go down to as close to finished grade as possible, to a maximum of 3” from grade.

On the inside/front entrance side of Front Drive Garage, parging should go down to close to finished grade as possible, to a maximum of 3” from grade for a 2 foot return, and then is permitted to step up to 6” maximum.

On the exterior side of the garage a maximum of 24” of parging is permitted after a 2 foot return. 24” of parging is permitted on all other elevations.
In cases where the side elevations are sloping, parging should be tiered or sloped to follow the grade. Parging is not considered a material and will not be counted towards the material calculations.
Window Trims and Sills
- *Smartboard/*Hardiboard
- *Cultured Stone
- All trims used on home are to be finished off correctly i.e. trims must not return around the corner and be left floating, they should be finished off with a vertical trim (see examples).
* where a brand name is specified, approved equivalents will be considered.
Note: stucco, aluminum or vinyl are not permitted window trim materials on any elevation.
![]() |
| Examples of acceptable trim return. |
Flashing
All flashing used on the home exterior, including the roof, is to be prefinished to blend with adjacent materials. Galvanized metal flashing is not permitted on any part of the home, which is visible from the street or lane.
Garages
Dwellings with a front attached garage must construct a minimum single-wide garage. The garage must be constructed at the same time as the dwelling is built. Minimum inside dimensions shall be 3.5m wide and 6m long. A lot with a secondary garage off the lane shall not be built on the rear easement and must have a paved apron that connects the garage pad to the rear property line.
Placement
For lots requiring an attached garage, a garage side location is determined on the Interactive Map unless the lot is marked with a “C” for corner lot garage placement. For corner attached garage lots, the garage must be located as per the permitted garage sides shown below. The image below demonstrates the permitted options for the placement of an attached garage on a corner lot, attached to the front of the dwelling furthest from the street corner or attached to the rear of the dwelling closest to the side street.
Garage sides on a given block are paired together against a common property line in order to provide a better streetscape appearance. Lot purchasers should check curb design, street light pole locations, utility pedestal locations, and mailbox locations, prior to designing a dwelling with a garage on the side.

![]() |
Examples of proper garage placement on corner lots. |
Highly Visible Lots
Alternate materials are required for side and rear dwelling facades that face streets and open spaces. These alternate material requirements are over and above the noted material requirements for the dwelling Lot Type. The intention of these controls is to avoid the monotony and the perceived cheapness of large expanses of blank walls. The lots that are relevant to these highly visible lot controls are identified in the Specific Architectural Controls below.
Landscape & Driveway Requirement
Front yard landscaping and front driveways are mandatory in order to improve the curb appeal of newly built dwellings in Brighton.
Landscaping Requirement
Front yard landscaping* and front driveways are mandatory in order to improve the curb appeal of newly built dwellings in Brighton.
*Front yard landscaping includes the boulevard adjacent to the lot.
The width of a driveway must not be the same width of the lot as some portion of the front yard must be landscaped. Contact Saskatoon Land for narrow lots with limited frontage.
To comply with Architectural Controls, Landscaping AND Driveway must be completed. A landscaping plan is also mandatory. Example of a landscaping plan is given below.
Landscaping Requirement
THE TREE PROTECTION BYLAW, 2024
As part of The Tree Protection Bylaw, 2024, the City is requiring those working around City trees to obtain a Tree Permit prior to the start of a project. Beginning September 1, 2024, Tree Permits will be required for all work within six metres of a City tree, including construction, demolition and major landscaping.
LANDSCAPING MATERIAL SCOPE & MINIMUM STANDARDS
The material scope includes materials and services rendered for the installation of sod, artificial turf*, topsoil, trees, shrubs, plant materials, hardscape elements, irrigation components, and edging.
- *artificial turf must be pre-approved by Saskatoon Land.
- xeriscape yards must be pre-approved by Saskatoon Land.
The following minimum standards apply:
1. Topsoil installed to a minimum depth of 100mm;
2. Sod (seeded lawns are not acceptable) “Sod laying shall be performed during the active growing season for type of sod. Sodding during dry periods, at freezing temperatures or over frozen soil is unacceptable.” Canadian Landscape Standards, 2017; and
3. A minimum of one (1) tree of a species suitable for Saskatoon's climate and soil types must be planted in the front yard of the following minimum size:
a) Deciduous trees must have a minimum 45mm caliper measured 1.8m above ground; and
b) Coniferous trees must be at a minimum 1.8m in height.
4. A minimum of three (3) shrubs of species suitable for Saskatoon's climate and soil types must be planted in the front yard.
XERISCAPE YARDS
To align with the City of Saskatoon Water Conservation Strategy, water reduction on front yard landscaping is encourage; however, landscape plans must be submitted prior to installing xeriscape and turf for review by Saskatoon Land staff. Xeriscaped and artificial turf front yards will be reviewed on a case-by-case basis at the discretion of Saskatoon Land.
For xeriscape yards, the following minimum standards apply:
1. A minimum of one (1) tree is required to the same standards as outlined above. If you wish to substitute the tree for additional vegetation you must contact Saskatoon Land for approval;
2. All xeriscapes must include a mix of hardy shrubs. The minimum shrub requirement is three (3) shrubs with 2m spread at full growth; however, it is strongly encouraged to go beyond the minimum standard; and
3. Acceptable ground covers include mulch, rock, native grasses and wildflowers, and perennials. Rock ground cover is only permitted to cover 30% of the landscape. The remaining 70% must be covered by mulch or vegetation that is not sod such as perennial plant ground cover and/or native grasses and wildflowers.
For artificial turf yards, the following minimum standards apply:
1. Artificial turf must be multi-blend (a combinations of various grass strand colors and/or materials used to mimic the aesthetic appearance of natural grass);
2. Artificial turf must be UV resistant;
3. Artificial turf must accommodate drainage.
COMMUNITY TREE PLANTING PROGRAM
Lot purchasers can request their preference of available tree species for the City-owned portion of their front and/or side yard (boulevard space). The yard must be up-to-grade before a tree request can be processed and the tree planting site must meet minimum spacing requirements and be cleared of all above and below ground utilities to be approved as a plant site. The homeowner is responsible for watering the new tree unless otherwise noted. Refer to the City of Saskatoon website at saskatoon.ca for more information.
TERMS AND CONDITIONS
Architectural Controls Deposit
Starting in Phase 2 and onward, any Eligible Contractor that purchases a lot and fails to comply with all architectural requirements may be suspended from further lot allocations and be subject to provision of a $7,500 performance bond for each non-complying lot on future purchases to achieve compliance. Individuals that purchase lots will be required to provide a $7,500 (separate cheque or bank draft) at the time of Agreement signing, which would be released upon the architectural control inspection.
Licensed Landscaping Contractor
For Phase 1, where rebates are permitted, all landscape services and installation must be performed by qualified companies holding a valid City of Saskatoon Business License, Contractor License, or Non-Resident Contractor License. For Phase 2, where performance bonds are permitted, landscaping can be completed by the Lot Purchaser if done well to Saskatoon Land standards.
City Boulevards (Combined Monolithic Walk & Curb)
For areas with combined walk and curb, the lot purchaser is required to landscape the boulevard up to the inside sidewalk edge (back of sidewalk).
City Boulevards (Separate Walk & Curb)
For areas with separate walk and curb, the lot purchaser is required to landscape the boulevard space between the outer sidewalk edge and the curb-face, adjacent to the road top (boulevard). The landscaping of this area must complement the front yard landscaping in order to comply.
Front Yard Defined
With the exception of corner lots, the front yard is defined as the area between the front building wall and inside sidewalk edge and the side property line to side property line.
Corner Lots
On corner lots, landscaping must be completed for the entire length of the side-yard boulevard which abuts the flanking street.

Front Driveway Requirement
ACCEPTABLE DRIVEWAY TYPES
- Broom-finished
- Stamped and coloured
- Exposed aggregate and pavers
TERMS AND CONDITIONS
Architectural Controls Deposit
Starting in Phase 2 and onward, any Eligible Contractor that purchases a lot and fails to comply with all architectural requirements may be suspended from further lot allocations and be subject to provision of a $7,500 performance bond for each non-complying lot on future purchases to achieve compliance. Individuals that purchase lots will be required to provide a $7,500 (separate cheque or bank draft) at the time of Agreement signing, which would be released upon the architectural control inspection.
Licensed Contractor
For Phase 1, where rebates are permitted, all front driveway services and installation must be performed by qualified companies holding a valid City of Saskatoon Business License, Contractor License, or Non-Resident Contractor License. For Phase 2, where performance bonds are permitted, driveways can be completed by the Lot Purchaser (or an contractor hired by the Lot Purchaser) if done well to Saskatoon Land standard and is one of the driveway types noted above.
Front Driveway Defined
(Combined Monolithic Walk & Curb)
The front driveway is defined as the area between the front attached garage and the inside edge of the sidewalk.
(Separate Walk & Curb)
The front driveway is defined as the area between the front attached garage and the inside edge of the sidewalk and the outer sidewalk edge and the curb-face, adjacent to the road top (driveway apron). The driveway apron and the driveway must be of the same driveway type and material.
Corner Lots
Where an attached garage faces the side street and vertical curbing exists, the Transportation and Utilities Department (306-975-2460) must be contacted to determine the appropriate crossing allowances.

SPECIFIC ARCHITECTURAL CONTROLS
In addition to the controls outlined above, each phase and lot has specific architectural controls. The requirements listed in each lot type section are an absolute minimum. Saskatoon Land reserves the right to require further architectural treatment to any facade in order to satisfy the intentions of the architectural controls.
Phase 1A (taskamanwa Street, Brighton Boulevard, Tufts Way, Schmeiser Bend, Avenue, Lane)
Phase 1A Architectural Controls PDF Attachment
Lot-Specific Architectural Controls
Phase 1A of Brighton features one lot type: Standard Lot - Attached Garage. The architectural controls for this lot type are noted below:
Standard Lot - Attached Garage
| Standard Lot Attached Garage | Highly Visible Lots (see Highly Visible Lots below) |
LOTS 1 TO 22, BLOCK 130 | LOTS 10 & 11, BLOCK 130 |
Highly Visible Lots
| Standard Lot Attached Garage | Highly Visible Lots (see Highly Visible Lots below) |
LOTS 1 TO 22, BLOCK 130 | LOTS 10 & 11, BLOCK 130 |
These controls are in addition to the controls noted in the previous sections. The intention of these controls is to avoid the monotony and the perceived cheapness of large expanses of blank walls on side and rear facades that are highly visible from streets and open spaces. The lots that are relevant to these highly visible lot controls are identified in the map above. The following requirements listed are an absolute minimum. Saskatoon Land reserves the right to require further treatment to any facade in order to satisfy the intentions of the Brighton Architectural Controls.
In addition to the front facade requirements, any dwelling elevation which flanks a street or open space:
1. Requires a secondary exterior dwelling material with visually different texture when compared to the primary material. The secondary material must cover no less than one-third (33%) of the elevation defined as the total area of elevation from ground to under the eaves. For the purpose of this calculation, window and door areas shall be subtracted. A third material may also be used provided that a different colour is added not in the adjacent tone/shade to the primary and secondary materials used. The second and third materials, when combined, must cover no less than one-third (33%) of the subject elevation. Horizontal banding of the base of the dwelling is discouraged as landscaping and fences tend to hide the material.
2. Requires the windows and doors to occupy no less than 5% of the elevation defined as the total area of elevation from ground to under the eaves.
3. For corner lots that also want a rear garage, the garage elevation which flanks a street will require a second exterior material that is comparable to the materials used on the dwelling. The second material must cover no less than 20 square feet of the garage side closest to the lane or must band the top of the garage. If the garage door faces the street, the garage door requires architectural details see number 4 below.
4. Garage doors facing streets are required to to have architectural details the complement the dwelling architecture. Added architectural details such as doors and/or windows are encouraged for garage elevations that flank streets.
Depending on the quality of the submitted plans, especially those that satisfy only the “minimum” requirements, the Design Review Committee may require more architectural details such as the following:
- Accented wall build-outs or other interruptions in wall planes.
- Window and door accents.
- Break-ups in roof massing or roof lines such as dormers or cross gables.
- Other accents or placement of additional materials and/or colour.
Highly Visible Lot Examples
![]() | ![]() |
| The area of the rear elevation (minus window area) totals 270 square feet. Ninety (90) square feet of stone has been provided, which satisfies the secondary material requirement. One hundred-forty (140) square feet of window/door placement has also been provided, which satisfies the window and/or door placement requirement on highly visible lots. | The area of side elevation (minus window area) totals 300 square feet. One hundred (100) square feet of stone has been provided, which satisfies the secondary material requirement. Forty (40) square feet of window placement has also been provided, which satisfies the window and/or door requirement on highly visible lots. |
![]() | ![]() |
| The garage side that flanks the street has two materials twenty (20) square feet or greater and one window | The garage side that flanks the street has two materials greater than twenty (20) square feet and is installed closest to the lane. |
Phase 1B (Underhill Road, Schmeiser Bend & Lane, taskamanwa Street, Delainey Road & Court)
Lot-Specific Architectural Controls

Phase 1B of Brighton features one lot type: Standard Lot - Attached Garage. The architectural controls for this lot type are noted below:
Standard Lot Attached Garage
| Standard Lot Attached Garage | Highly Visible Lots (see Highly Visible Lots below) |
LOTS 1 TO 20, BLOCK 133 | LOTS 1, 10, 11, 20 BLOCK 133 |
Highly Visible Lots
| Standard Lot Attached Garage | Highly Visible Lots (see Highly Visible Lots below) |
LOTS 1 TO 20, BLOCK 133 | LOTS 1, 10, 11, 20 BLOCK 133 |
These controls are in addition to the controls noted in the previous sections. The intention of these controls is to avoid the monotony and the perceived cheapness of large expanses of blank walls on side and rear facades that are highly visible from streets and open spaces. The lots that are relevant to these highly visible lot controls are identified in the map above. The following requirements listed are an absolute minimum. Saskatoon Land reserves the right to require further treatment to any facade in order to satisfy the intentions of the Brighton Architectural Controls.
In addition to the front facade requirements, any dwelling elevation which flanks a street or open space:
1. Requires a secondary exterior dwelling material with visually different texture when compared to the primary material. The secondary material must cover no less than one-third (33%) of the elevation defined as the total area of elevation from ground to under the eaves. For the purpose of this calculation, window and door areas shall be subtracted. A third material may also be used provided that a different colour is added not in the adjacent tone/shade to the primary and secondary materials used. The second and third materials, when combined, must cover no less than one-third (33%) of the subject elevation. Horizontal banding of the base of the dwelling is discouraged as landscaping and fences tend to hide the material.
2. Requires the windows and doors to occupy no less than 5% of the elevation defined as the total area of elevation from ground to under the eaves.
3. For corner lots that also want a rear garage, the garage elevation which flanks a street will require a second exterior material that is comparable to the materials used on the dwelling. The second material must cover no less than 20 square feet of the garage side closest to the lane or must band the top of the garage. If the garage door faces the street, the garage door requires architectural details see number 4 below.
4. Garage doors facing streets are required to to have architectural details the complement the dwelling architecture. Added architectural details such as doors and/or windows are encouraged for garage elevations that flank streets.
Depending on the quality of the submitted plans, especially those that satisfy only the “minimum” requirements, the Design Review Committee may require more architectural details such as the following:
- Accented wall build-outs or other interruptions in wall planes.
- Window and door accents.
- Break-ups in roof massing or roof lines such as dormers or cross gables.
- Other accents or placement of additional materials and/or colour.
Highly Visible Lot Examples
![]() | ![]() |
| The area of the rear elevation (minus window area) totals 270 square feet. Ninety (90) square feet of stone has been provided, which satisfies the secondary material requirement. One hundred-forty (140) square feet of window/door placement has also been provided, which satisfies the window and/or door placement requirement on highly visible lots. | The area of side elevation (minus window area) totals 300 square feet. One hundred (100) square feet of stone has been provided, which satisfies the secondary material requirement. Forty (40) square feet of window placement has also been provided, which satisfies the window and/or door requirement on highly visible lots. |
![]() | ![]() |
| The garage side that flanks the street has two materials twenty (20) square feet or greater and one window | The garage side that flanks the street has two materials greater than twenty (20) square feet and is installed closest to the lane. |
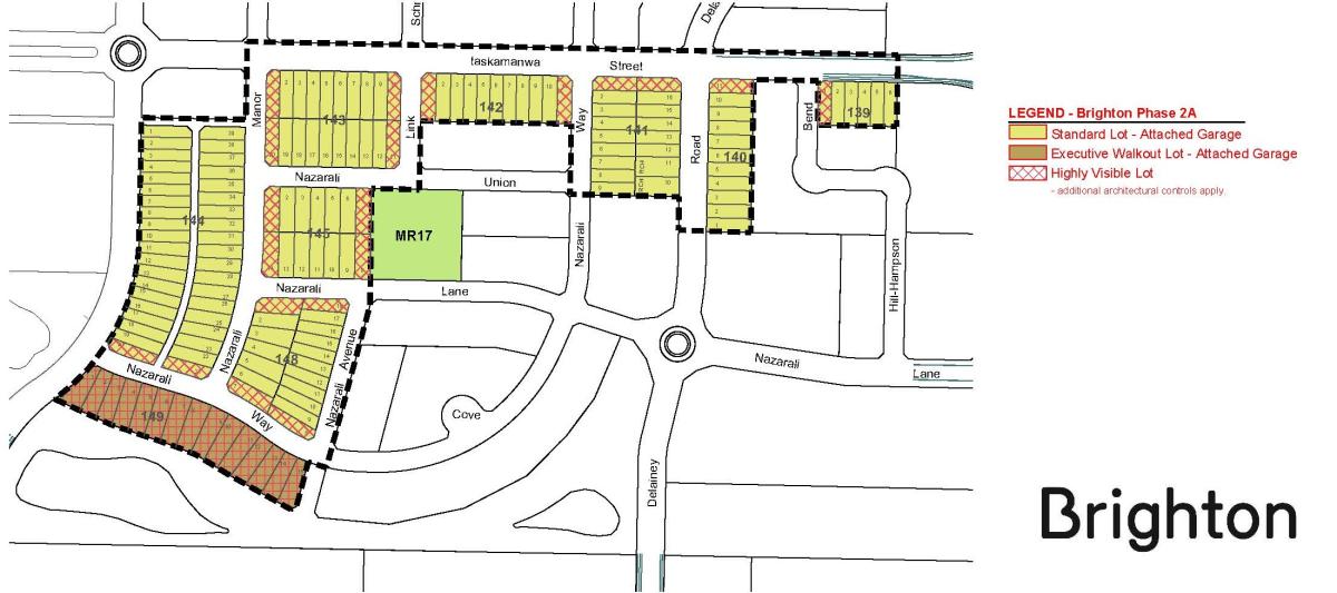
Phase 2A (Brighton Boulevard, Nazarali Manor, Union, Way, Lane, Avenue, Delainey Road, taskamanwa Street)
Phase 2A Architectural Controls PDF Attachment
Lot-Specific Architectural Controls
Phase 2A of Brighton features two lot types: Standard Lot - Attached Garage, Executive Walkout Lot – Attached Garage. The architectural controls for these lot types are noted below:
Standard Lot - Attached Garage
Standard Lot Attached Garage
All Lots that are not Highly Visible Lots or Executive Walk-Out Basement Lots
(see Highly Visible Lots below)
LOTS 1 TO 6, BLOCK 139
LOTS 1 TO 13, BLOCK 140
LOTS 1 TO 17, BLOCK 141
LOTS 1 TO 11, BLOCK 142
LOTS 1 TO 20, BLOCK 143
LOTS 1 TO 39, BLOCK 144
LOTS 1 TO 14, BLOCK 145
LOTS 1 TO 18, BLOCK 148
LOTS 1, BLOCK 139
LOTS 11 & 12, BLOCK 140
LOTS 1 & 17, BLOCK 141
LOTS 1 & 11, BLOCK 142
LOTS 1, 10, 11, 20, BLOCK 143
LOTS 20 & 22, BLOCK 144
LOTS 1, 7, 8, 14, BLOCK 145
LOTS 1, 7, 8, 18, BLOCK 148
| Executive Walkout Lot Attached Garage | Highly Visible Lots (see Highly Visible Lots below) |
LOTS 2 TO 14, BLOCK 149 | LOTS 1 TO 15, BLOCK 149 |
Executive Walk-Out Basement Lot - Attached Garage
| Executive Walkout Lot Attached Garage | Highly Visible Lots (see Highly Visible Lots below) |
LOTS 2 TO 14, BLOCK 149 | LOTS 1 TO 15, BLOCK 149 |
- No dwelling shall be constructed on any of the lots which have an above-grade floor area (excluding attached decks, patios and garages) less than:
a. 1,000 square feet in the case of a bungalow or bi-level dwelling; or
b. 1,000 square feet in the case of a two-storey dwelling. - All dwellings must be constructed with a minimum double-wide attached garage. The garage must be constructed at the same time as the dwelling is built. Minimum inside dimensions shall be 5.4 metres wide and 6.0 metres long.
- There is no roof pitch requirement; however, the roof pitch should complement the architectural style of the dwelling and be consistent with the intent of strengthening the streetscape and harmonizing the interface between housing forms.
- All attached or side-facing detached garages on Executive Walk-out lots require architecturally significant garage doors consistent with the architectural style of the dwelling.
- The undersides of raised entries, verandas, and stair systems must be fully enclosed.
- All dwellings require a minimum of two different exterior dwelling materials with visually different textures on the front elevation with each material being no less than 50 square feet in area or a minimum of three different exterior dwelling materials with each material being no less than 25 square feet in area.
- All dwellings shall be constructed with direct access from the basement level to the backyard (walk-out units).
Highly Visible Lots
Highly Visible Lots
(see Highly Visible Lots below)
LOTS 1 TO 6, BLOCK 139
LOTS 1 TO 13, BLOCK 140
LOTS 1 TO 17, BLOCK 141
LOTS 1 TO 11, BLOCK 142
LOTS 1 TO 20, BLOCK 143
LOTS 1 TO 39, BLOCK 144
LOTS 1 TO 14, BLOCK 145
LOTS 1 TO 18, BLOCK 148
LOTS 1, BLOCK 139
LOTS 11 & 12, BLOCK 140
LOTS 1 & 17, BLOCK 141
LOTS 1 & 11, BLOCK 142
LOTS 1, 10, 11, 20, BLOCK 143
LOTS 20 & 22, BLOCK 144
LOTS 1, 7, 8, 14, BLOCK 145
LOTS 1, 7, 8, 18, BLOCK 148
LOTS 1 TO 15 BLOCK 149
These controls are in addition to the controls noted in the previous sections. The intention of these controls is to avoid the monotony and the perceived cheapness of large expanses of blank walls on side and rear facades that are highly visible from streets and open spaces. The lots that are relevant to these highly visible lot controls are identified in the map above. The following requirements listed are an absolute minimum. Saskatoon Land reserves the right to require further treatment to any facade in order to satisfy the intentions of the Brighton Architectural Controls.
In addition to the front facade requirements, any dwelling elevation which flanks a street or open space:
1. Requires a secondary exterior dwelling material with visually different texture when compared to the primary material. The secondary material must cover no less than one-third (33%) of the elevation defined as the total area of elevation from ground to under the eaves. For the purpose of this calculation, window and door areas shall be subtracted. A third material may also be used provided that a different colour is added not in the adjacent tone/shade to the primary and secondary materials used. The second and third materials, when combined, must cover no less than one-third (33%) of the subject elevation. Horizontal banding of the base of the dwelling is discouraged as landscaping and fences tend to hide the material.
2. Requires the windows and doors to occupy no less than 5% of the elevation defined as the total area of elevation from ground to under the eaves.
3. For corner lots that also want a rear garage, the garage elevation which flanks a street will require a second exterior material that is comparable to the materials used on the dwelling. The second material must cover no less than 20 square feet of the garage side closest to the lane or must band the top of the garage. If the garage door faces the street, the garage door requires architectural details see number 4 below.
4. Garage doors facing streets are required to to have architectural details the complement the dwelling architecture. Added architectural details such as doors and/or windows are encouraged for garage elevations that flank streets.
Depending on the quality of the submitted plans, especially those that satisfy only the “minimum” requirements, the Design Review Committee may require more architectural details such as the following:
- Accented wall build-outs or other interruptions in wall planes.
- Window and door accents.
- Break-ups in roof massing or roof lines such as dormers or cross gables.
- Other accents or placement of additional materials and/or colour.
Highly Visible Lot Examples
![]() | ![]() |
| The area of the rear elevation (minus window area) totals 270 square feet. Ninety (90) square feet of stone has been provided, which satisfies the secondary material requirement. One hundred-forty (140) square feet of window/door placement has also been provided, which satisfies the window and/or door placement requirement on highly visible lots. | The area of side elevation (minus window area) totals 300 square feet. One hundred (100) square feet of stone has been provided, which satisfies the secondary material requirement. Forty (40) square feet of window placement has also been provided, which satisfies the window and/or door requirement on highly visible lots. |
![]() | ![]() |
| The garage side that flanks the street has two materials twenty (20) square feet or greater and one window | The garage side that flanks the street has two materials greater than twenty (20) square feet and is installed closest to the lane. |
Phase 2B (Nazarali Union, Lane, Cove, Way)
Phase 2B Architectural Controls PDF Attachment
Lot-Specific Architectural Controls

Phase 2B of Brighton features two lot types: Standard Lot - Attached Garage, Executive Walkout Lot – Attached Garage. The architectural controls for these lot types are noted below:
Standard Lot-Attached Garage
| Standard Lot Attached Garage | Highly Visible Lots (see Highly Visible Lots below) |
LOTS 12 TO 24, BLOCK 142 | LOTS 12 & 24, BLOCK 142 |
Executive Walk-Out Basement Lot-Attached Garage
| Executive Walkout Lot Attached Garage | Highly Visible Lots (see Highly Visible Lots below) |
LOTS 1 TO 22, BLOCK 150 | LOTS 1 TO 24 BLOCK 150 |
- No dwelling shall be constructed on any of the lots which have an above-grade floor area (excluding attached decks, patios and garages) less than:
a. 1,000 square feet in the case of a bungalow or bi-level dwelling; or
b. 1,000 square feet in the case of a two-storey dwelling. - All dwellings must be constructed with a minimum double-wide attached garage. The garage must be constructed at the same time as the dwelling is built. Minimum inside dimensions shall be 5.4 metres wide and 6.0 metres long.
- There is no roof pitch requirement; however, the roof pitch should complement the architectural style of the dwelling and be consistent with the intent of strengthening the streetscape and harmonizing the interface between housing forms.
- All attached or side-facing detached garages on Executive Walk-out lots require architecturally significant garage doors consistent with the architectural style of the dwelling.
- The undersides of raised entries, verandas, and stair systems must be fully enclosed.
- All dwellings require a minimum of two different exterior dwelling materials with visually different textures on the front elevation with each material being no less than 50 square feet in area or a minimum of three different exterior dwelling materials with each material being no less than 25 square feet in area.
- All dwellings shall be constructed with direct access from the basement level to the backyard (walk-out units).
Highly Visible Lots
| Standard Lot Attached Garage | Highly Visible Lots (see Highly Visible Lots below) |
LOTS 12 TO 24, BLOCK 142 | LOTS 12 & 24, BLOCK 142 |
These controls are in addition to the controls noted in the previous sections. The intention of these controls is to avoid the monotony and the perceived cheapness of large expanses of blank walls on side and rear facades that are highly visible from streets and open spaces. The lots that are relevant to these highly visible lot controls are identified in the map above. The following requirements listed are an absolute minimum. Saskatoon Land reserves the right to require further treatment to any facade in order to satisfy the intentions of the Brighton Architectural Controls.
In addition to the front facade requirements, any dwelling elevation which flanks a street or open space:
1. Requires a secondary exterior dwelling material with visually different texture when compared to the primary material. The secondary material must cover no less than one-third (33%) of the elevation defined as the total area of elevation from ground to under the eaves. For the purpose of this calculation, window and door areas shall be subtracted. A third material may also be used provided that a different colour is added not in the adjacent tone/shade to the primary and secondary materials used. The second and third materials, when combined, must cover no less than one-third (33%) of the subject elevation. Horizontal banding of the base of the dwelling is discouraged as landscaping and fences tend to hide the material.
2. Requires the windows and doors to occupy no less than 5% of the elevation defined as the total area of elevation from ground to under the eaves.
3. For corner lots that also want a rear garage, the garage elevation which flanks a street will require a second exterior material that is comparable to the materials used on the dwelling. The second material must cover no less than 20 square feet of the garage side closest to the lane or must band the top of the garage. If the garage door faces the street, the garage door requires architectural details see number 4 below.
4. Garage doors facing streets are required to to have architectural details the complement the dwelling architecture. Added architectural details such as doors and/or windows are encouraged for garage elevations that flank streets.
Depending on the quality of the submitted plans, especially those that satisfy only the “minimum” requirements, the Design Review Committee may require more architectural details such as the following:
- Accented wall build-outs or other interruptions in wall planes.
- Window and door accents.
- Break-ups in roof massing or roof lines such as dormers or cross gables.
- Other accents or placement of additional materials and/or colour.
Highly Visible Lot Examples
![]() | ![]() |
| The area of the rear elevation (minus window area) totals 270 square feet. Ninety (90) square feet of stone has been provided, which satisfies the secondary material requirement. One hundred-forty (140) square feet of window/door placement has also been provided, which satisfies the window and/or door placement requirement on highly visible lots. | The area of side elevation (minus window area) totals 300 square feet. One hundred (100) square feet of stone has been provided, which satisfies the secondary material requirement. Forty (40) square feet of window placement has also been provided, which satisfies the window and/or door requirement on highly visible lots. |
![]() | ![]() |
| The garage side that flanks the street has two materials twenty (20) square feet or greater and one window | The garage side that flanks the street has two materials greater than twenty (20) square feet and is installed closest to the lane. |
PLAN APPROVAL PROCESS
Saskatoon Land’s approval of dwelling plans is required prior to the submission of a building permit application. Builders are encouraged to meet with Saskatoon Land during the design stage to avoid potential delays.
The following information must be submitted to Saskatoon Land prior to the submission of a Building Permit Application:
- Completed Application Form with garage door image or brochure for attached garages and highly visible garages.
- One digital copy of the dwelling drawing package, including:
- site plan: property boundary, dwelling and garage location, garage pad and apron (if required), driveway and landscaping requirements that extend to the curb on the boulevard;
- floor plans;
- dwelling elevations: all exterior dwelling materials and square footage must be identified on the elevation plans; and
- drawings package should be unlocked and in PDF format.
To avoid delays, application forms and dwelling plans should be submitted to Saskatoon Land well in advance of applying for a Building Permit. Incomplete submissions will be set back or held until the complete application is submitted. Plans will be reviewed for adherence to the architectural controls, and Saskatoon Land may contact the applicant to discuss any required revisions. Plans which do not meet all the architectural controls will be reviewed by Saskatoon Land’s Design Review Committee. The Design Review Committee’s decision is final, and any revisions will be required to be made before approval.
Upon approval of the drawing set, Saskatoon Land will issue an approval letter to the applicant. Following this, builders may apply for their respective Building Permit. At the building permit stage, Saskatoon Land may review the Building Permit drawings again to ensure they are substantially consistent with the plans submitted during the architectural controls review process.
Periodically, Saskatoon Land will inspect the project to ensure it is in substantial accordance with the approved plans. Builders/homeowners will be responsible for correcting any deficiencies to dwelling elevations that deviate from the approved architectural control plans.
All dwellings must pass architectural inspection.
Architectural Control Application Form Please fill out the application form and send via email to: landarchcontrols@saskatoon.ca




























