Aspen Ridge Architectural Controls
To enhance the street appeal of Aspen Ridge, Saskatoon Land has selected a variety of architectural controls aimed at creating an aesthetically pleasing streetscape and encouraging a variety of different exterior dwelling materials.
The architectural controls selected by Saskatoon Land are an integral component in strengthening neighbourhood streetscapes and fostering diversity among housing choices, creating a warm and inviting environment.
Saskatoon Land reserves the right to require further architectural treatment to any facade in order to satisfy the intent of the architectural controls.
Architectural Control Application Form
PROCESS
GENERALARCHITECTURAL CONTROLS | SPECIFICARCHITECTURAL CONTROLS |
|---|---|
STEP 1: REVIEW GENERAL ARCHITECTURAL CONTROLS | STEP 2: REVIEW SPECIFIC ARCHITECTURAL CONTROLS |
| These architectural controls apply to all lots regardless of Dwelling Style, Phase, and Lot Type. All submitted dwelling plans must address the items listed below. | These architectural controls are specific to the dwelling Phase and Lot Type. All submitted dwelling plans must address the items listed below in addition to the General Architectural Controls. |
MASSING & RELIEF | PHASE 1 |
REPETITION | PHASE 2 |
FRONT ENTRY | PHASE 3 |
EXTERIOR MATERIALS | PHASE 4 |
GARAGES | PHASE 5 |
HIGHLY VISIBLE LOTS | PHASE 6 |
LANDSCAPING REQUIREMENTS | PHASE 7 |
DRIVEWAY REQUIREMENTS | PHASE 8 |
PHASE 9 | |
PHASE 10 |
GENERAL ARCHITECTURAL CONTROLS
These controls apply to lots regardless of phase and lot type and are in addition to the controls found in the "Specific Architectural Controls" section below.
Massing & Relief
All dwelling volumes must incorporate intermittent variances in plan and elevation to encourage shadow lines on facades and visible elevations which will enhance the streetscape by introducing interesting architecture. This includes all dwelling elevations that are adjacent to or visible from public streets, public parks, and adjacent developments.

Repetition
The same elevations should not be repeated on adjacent dwellings or directly across the street. If one builder has multiple lots adjacent to each other or across the street, three to five different front elevations are required. For adjacent dwellings, a change in architectural detailing is required. Examples of acceptable changes could include a combination of, but are not limited to the following: roof and dormer orientation and slope, front attached garage roof style or orientation, the size and location of windows and doors, window grilles, material colours and finishes.
![]() |
| Example of variation in elevations. |
Front Entry
Front Door Placement
It is strongly encouraged that the front door of a dwelling be visible on the front facade by directly facing the fronting street. If the door does not face the street, a combination of architectural elements such as front window enhancements, verandas, additional front accent materials or other architectural elements must be added to enhance the dwelling entrance.
![]() |
| Example of acceptable front door placement. If the front door does not face the street additional architectural elements are required. |
Depending on Saskatoon Land’s evaluation of any submitted plans, especially those that satisfy only the “minimum” requirements, Saskatoon Land may require architectural details such as the following:
|
|
|
|
Columns & Entry features
For lots that require an architecturally significant entry feature, features should be consistent with the overall architectural style of the dwelling. This may include the use of covered verandas, modern contemporary interpretations of pergolas or covered entry features.
In the event that columns are used, column styles should be consistent with the overall architectural style of the dwelling. This might include the use of wide-based, tapered columns with stone detailing at the column base for craftsman style dwellings, cedar-clad columns for modern contemporary style dwellings, or columns with masonry cladding along the full length of the column for traditional-style dwellings.
![]() | ![]() | ![]() |
| Modern interpretation of a pergola entry. | Covered entry feature with supporting column. Preferred 10"x10" columns or greater. | Covered entry feature with supporting columns. |
![]() | ![]() | ![]() |
| Covered veranda with substantial columns. | Wide-based, tapered columns with stone detailing. Preferred tapered columns with 12" x 12" base and 8" x 8" top. | Wide-based columns with stone detailing. Preferred 10" x 10" columns or greater. |
Stairs & Entry Features
Stair systems, landings and verandas must be enclosed on all sides. Using steel risers on stairs is permitted as long as the steel is not visible and encased by wood. Untreated plywood (not painted or stained) and/or OSB are not acceptable enclosure materials.
![]() | ![]() | ![]() |
| Examples of acceptable stairs and entry features. | ||
Exterior Materials
Exterior Dwelling Material Requirements
For alternate material requirements on Highly Visible Lots, see specific lot details located in the Architectural Controls by Phase & Lot Type section below.
Note: Material types and square footage must be clearly identified on the drawings submitted in support of your application. Failure to do so may result in delays to the approval of your application.
Front Elevation Material Calculations | Highly Visible Lot Side or Rear Material Calculations |
![]() | ![]() |
Three Materials Example: Stucco = 100 square feet Stone Column = 10 square feet | Stone Garage = 70 square feet Hardie Siding = 60 square feet The stone and Hardie siding exceed the minimum three material requirement of 25 square feet (standard & laned lots) and 40 square feet (walk-out lots). | Red (surface elevation) = 130 square feet (1st storey) | 85 square feet (2nd storey) Secondary Material Required: |
- Trim features, roof shingles, and parging will not be counted as a material. In order to be included in the required material amount, the material must be visibly shown on the 2D elevation plan and be visible from the – street or park. Material wrapped around a column or architectural feature is encouraged to provide cleaner edges, but will not count towards the required material total for the 2D elevation in review.
- The materials being used need to be distinctly different and discernible from each other. Two similar materials with visually different textures will be considered two materials. For example, Hardie siding and Hardie shakes or vinyl siding and vinyl board and batten will be accepted as two materials. Vinyl siding with vinyl shakes; or vinyl siding with vinyl scallops; or the same material in different orientation are NOT two materials. Contrast with the trim materials and exterior dwelling materials being used is encouraged. If using three materials, the third material can be the same material as the primary or secondary material but must be a different colour.
- For the purpose of the material calculation, the total area of the elevation is from the ground to under the eaves. Windows and/or doors shall be subtracted.
Exterior Dwelling Material Finishes
- Siding – vinyl, *Hardie board, or Aluminum
- Acrylic Stucco
- Brick
- *Cultured stone
- *Smartboard
- Shakes – Cedar or *Hardie shakes.
- Board & Batten
* where a brand name is specified, approved equivalents will be considered.
Garages
Garage Placement
For lots requiring an attached garage, a garage side location is determined on the Interactive Map unless the lot is marked with a “C” for corner lot garage placement.
Garage sides on a given block are paired together against a common property line in order to provide a better streetscape appearance.
Corner Lots
For corner attached garage lots, the garage must be located as per the permitted garage sides as shown below. The image below demonstrates permitted options for the placement of an attached garage on a corner lot, attached to the front of the dwelling furthest from the street corner or attached to the rear of the house closest to the side street.

Lot purchasers should check curb design, street light pole locations, utility pedestal locations, and mailbox locations, prior to designing a dwelling with a garage on the side.
![]() |
| Examples of proper garage placement on corner lots. |
Highly Visible Lots
Alternate materials are required for side and rear dwelling facades that face streets and open spaces. These alternate material requirements are over and above the noted material requirements for the dwelling Lot Type. The intention of these controls is to avoid the monotony and the perceived cheapness of large expanses of blank walls. The lots that are relevant to these highly visible lot controls are identified in the Specific Architectural Controls below.
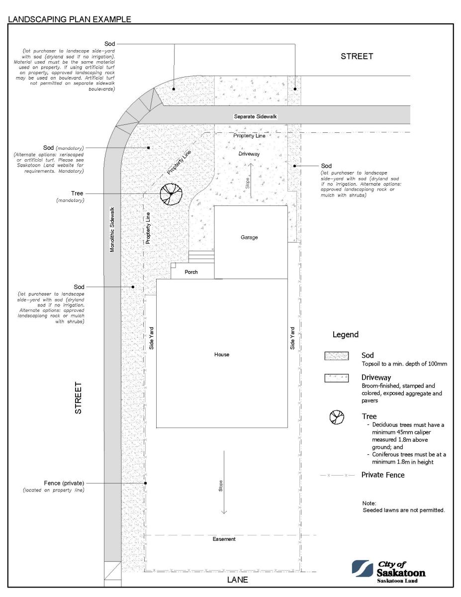
Landscaping Requirements
Front yard landscaping* and front driveways are mandatory in order to improve the curb appeal of newly built dwellings in Aspen Ridge.
*Front yard landscaping includes the boulevard adjacent to the lot.
The width of a driveway must not be the same width of the lot as some portion of the front yard must be landscaped. Contact Saskatoon Land for narrow lots with limited frontage.
To comply with Architectural Controls, Landscaping AND Driveway must be completed.
Landscaping Requirement
THE TREE PROTECTION BYLAW, 2024
As part of The Tree Protection Bylaw, 2024, the City is requiring those working around City trees to obtain a Tree Permit prior to the start of a project. Beginning September 1, 2024, Tree Permits will be required for all work within six metres of a City tree, including construction, demolition and major landscaping.
LANDSCAPING MATERIAL SCOPE & MINIMUM STANDARDS
The material scope includes materials and services rendered for the installation of sod, artificial turf*, topsoil, trees, shrubs, plant materials, hardscape elements, irrigation components, and edging.
- *artificial turf must be pre-approved by Saskatoon Land.
- xeriscape yards must be pre-approved by Saskatoon Land.
The following minimum standards apply:
1. Topsoil installed to a minimum depth of 100mm;
2. Sod (seeded lawns are not acceptable) “Sod laying shall be performed during the active growing season for type of sod. Sodding during dry periods, at freezing temperatures or over frozen soil is unacceptable.” Canadian Landscape Standards, 2017; and
3. A minimum of one (1) tree of a species suitable for Saskatoon's climate and soil types must be planted in the front yard of the following minimum size:
a) Deciduous trees must have a minimum 45mm caliper measured 1.8m above ground; and
b) Coniferous trees must be at a minimum 1.8m in height.
XERISCAPE YARDS
To align with the City of Saskatoon Water Conservation Strategy, water reduction on front yard landscaping is encourage; however, landscape plans must be submitted prior to installing xeriscape and turf for review by Saskatoon Land staff. Xeriscaped and artificial turf front yards will be reviewed on a case-by-case basis at the discretion of Saskatoon Land.
For xeriscape yards, the following minimum standards apply:
1. A minimum of one (1) tree is required to the same standards as outlined above. If you wish to substitute the tree for additional vegetation you must contact Saskatoon Land for approval;
2. All xeriscapes must include a mix of hardy shrubs. The minimum shrub requirement is three (3) shrubs with 2m spread at full growth; however, it is strongly encouraged to go beyond the minimum standard; and
3. Acceptable ground covers include mulch, rock, native grasses and wildflowers, and perennials. Rock ground cover is only permitted to cover 30% of the landscape. The remaining 70% must be covered by mulch or vegetation that is not sod such as perennial plant ground cover and/or native grasses and wildflowers.
For artificial turf yards, the following minimum standards apply:
1. Artificial turf must be multi-blend (a combinations of various grass strand colors and/or materials used to mimic the aesthetic appearance of natural grass);
2. Artificial turf must be UV resistant;
3. Artificial turf must accommodate drainage.
COMMUNITY TREE PLANTING PROGRAM
Lot purchasers can request their preference of available tree species for the City-owned portion of their front and/or side yard (boulevard space). The yard must be up-to-grade before a tree request can be processed and the tree planting site must meet minimum spacing requirements and be cleared of all above and below ground utilities to be approved as a plant site. The homeowner is responsible for watering the new tree unless otherwise noted. Refer to the City of Saskatoon website at saskatoon.ca for more information.
TERMS AND CONDITIONS
Architectural Controls Deposit
Starting in Phase 7 and onward, any Eligible Contractor that purchases a lot and fails to comply with all architectural requirements may be suspended from further lot allocations and be subject to provision of a $7,500 performance bond for each non-complying lot on future purchases to achieve compliance. Individuals that purchase lots will be required to provide a $7,500 (separate cheque or bank draft) at the time of Agreement signing, which would be released upon the architectural control inspection.
Licensed Landscaping Contractor
For Phase 3-5, where rebates are permitted, all landscape services and installation must be performed by qualified companies holding a valid City of Saskatoon Business License, Contractor License, or Non-Resident Contractor License. For Phase 7 and onward, where performance bonds are permitted, landscaping can be completed by the Lot Purchaser if done well to Saskatoon Land standards.
City Boulevards (Combined Monolithic Walk & Curb)
For areas with combined walk and curb, the lot purchaser is required to landscape the boulevard up to the inside sidewalk edge (back of sidewalk).
City Boulevards (Separate Walk & Curb)
For areas with separate walk and curb, the lot purchaser is required to landscape the boulevard space between the outer sidewalk edge and the curb-face, adjacent to the road top (boulevard). The landscaping of this area must complement the front yard landscaping in order to comply.
Front Yard Defined
With the exception of corner lots, the front yard is defined as the area between the front building wall and inside sidewalk edge and the side property line to side property line.
Corner Lots
On corner lots, landscaping must be completed for the entire length of the side-yard boulevard which abuts the flanking street.

Driveway Requirements
ACCEPTABLE DRIVEWAY TYPES
- Broom-finished
- Stamped and coloured
- Exposed aggregate and pavers
TERMS AND CONDITIONS
Architectural Controls Deposit
Starting in Phase 7 and onward, any Eligible Contractor that purchases a lot and fails to comply with all architectural requirements may be suspended from further lot allocations and be subject to provision of a $7,500 performance bond for each non-complying lot on future purchases to achieve compliance. Individuals that purchase lots will be required to provide a $7,500 (separate cheque or bank draft) at the time of Agreement signing, which would be released upon the architectural control inspection.
Licensed Contractor
For Phase 4 & 5, where rebates are permitted, all front driveway services and installation must be performed by qualified companies holding a valid City of Saskatoon Business License, Contractor License, or Non-Resident Contractor License. For Phase 7 and onward, where performance bonds are permitted, driveways can be completed by the Lot Purchaser (or an contractor hired by the Lot Purchaser) if done well to Saskatoon Land standard and is one of the driveway types noted above.
Front Driveway Defined
(Combined Monolithic Walk & Curb)
The front driveway is defined as the area between the front attached garage and the inside edge of the sidewalk.
(Separate Walk & Curb)
The front driveway is defined as the area between the front attached garage and the inside edge of the sidewalk and the outer sidewalk edge and the curb-face, adjacent to the road top (driveway apron). The driveway apron and the driveway must be of the same driveway type and material.
Corner Lots
Where an attached garage faces the side street and vertical curbing exists, the Transportation and Utilities Department (306-975-2460) must be contacted to determine the appropriate crossing allowances.

SPECIFIC ARCHITECTURAL CONTROLS
In addition to the controls outlined above, each phase and lot has specific architectural controls. The requirements listed in each lot type section are an absolute minimum. Saskatoon Land reserves the right to require further architectural treatment to any facade in order to satisfy the intentions of the architectural controls.
To find your lot, click on the appropriate phase of the neighbourhood to learn more.
Phase 1 (Fast Crescent, Way, Court, and Lane)
Attached Garage Integration
For lots that require an attached garage, the attached garage shall not protrude more than 2.4 metres (8 feet) from the facade of any habitable floor area of the dwelling.
Acceptable Garage Projections Examples
![]() | ![]() | ![]() |
| The attached garage projects less than 2.4 metres from the living room of the dwelling. | The attached garage projects 2.4 metres from the second storey of the dwelling. | The attached garage projects 2.4 metres from the front office/den of the dwelling. |
![]() | ![]() | ![]() |
| The attached garage projects 2.4 metres from the second-storey bonus room. | The attached garage projects less than 2.4 metres from the front living room of the dwelling. | The attached garage projects 2.0 metres from the second storey of the dwelling. |
Architecturally Significant Garage Doors
The street appeal of a home contributes to the general appeal of any residential area. Garage doors make up a significant portion of the facade of any attached garage home. Any home with a front or rear attached garage requires garage door styles that complement the home’s exterior. The garage door must include some architectural features. Examples of garage door types, design elements and corresponding architectural styles are outlined below:
|
|
|
|
|
|
Acceptable Garage Door Examples
![]() | ![]() | ![]() | ![]() |
| Aluminum composite garage door, suitable for modern contemporary architectural style. | Aluminum composite garage door with left side window placements suitable for modern contemporary architectural style. | Craftsman style garage door featuring wide trim pieces and decorative glass windows. | Garage door with dark finish and coped edges, suitable for traditional architectural style. |
Note: Garage door supplier and model information must be submitted along with your building permit application. Garage doors will be reviewed and approved. Please include photos or brochures to help explain the garage door.
Roof Pitch
The roof of the principal dwelling shall have a minimum 6-in-12 pitch except in instances where it can be demonstrated that a lesser sloped pitch contributes towards a consistent architectural style or enhanced level of street appeal. Approval of roof pitches less than 6-in-12 will be at the discretion of Saskatoon Land. Some examples that outline the acceptable use of roof pitches less than 6-in-12 are identified below:
![]() | ![]() | ![]() |
| The use of a low-pitched gabled roof for a craftsman style home. | The use of a flat roof or low-sloped roof in a modern contemporary style home. | The use of a low-pitched hip roof with wide overhanging eaves in a prairie style home. |
Lot Specific Architectural Controls
Phase & Lot Type Map
click on map
Phase 1 of Aspen Ridge features three lot types: Standard Lot - Attached Garage, Executive Walk-Out Basement Lot - Attached Garage and Laned Lot - Detached Garage. The architectural controls for each type are noted below:
Standard Lot - Attached Garage
| Standard Lot Attached Garage | Highly Visible Lots (see Highly Visible Lot requirements below) |
Lots 1 to 15, Block 701Lots 1 to 13, Block 702Lots 1 to 10, Block 703Lots 16 to 28, Block 705Lots 1 to 14, Block 706 | Lot 1, Block 701Lots 1, 6, 7, & 13, Block 702Lots 1 & 10, Block 703Lots 16 & 28, Block 705Lots 1 to 14, Block 706 |
- No dwelling shall be constructed on any of the lots that have an above-grade floor area (excluding attached decks, patios and garages) less than:
- 1,000 square feet in the case of a bungalow, bi-level or split-level dwelling.
- 1,200 square feet in the case of a two-storey dwelling.
- All dwellings must be constructed with a minimum single-wide attached garage. The garage must be constructed at the same time as the dwelling is built. Minimum inside dimensions shall be 3.5 metres wide and 6.0 metres long.
- The roof of the principal dwelling shall have a minimum 6-in-12 pitch except when it can be demonstrated that a lesser sloped roof pitch is integral to any architectural style and consistent with the intent of strengthening the streetscape and harmonizing the interface between housing forms. No roof pitch requirement exists for Lots 16 to 28, Block 705 and Lots 1 to 14, Block 706.
- Attached garages shall not protrude more than 2.4 metres (8 feet) from the facade of any habitable floor area of the dwelling.
- All attached garages require architecturally significant garage doors consistent with the architectural style of the dwelling.
- All dwellings require a minimum of two different exterior building materials on the front elevation with each material being no less than 50 square feet in area or a minimum of three exterior building materials with each material being no less than 25 square feet in area.
Executive Walk-Out Basement Lot - Attached Garage
| Executive Walk-Out Basement Lot | Highly Visible Lots (see Highly Visible Lot requirements below) |
Lots 16 to 38, Block 701 | Lots 16 to 38, Block 701 |
- No dwelling shall be constructed on any of the lots which have an above-grade floor area (excluding attached decks, patios and garages) less than:
- 1,200 square feet in the case of a bungalow, bi-level or split-level dwelling.
- 1,500 square feet in the case of a two-storey dwelling.
- All dwellings must be constructed with a minimum double-wide attached garage. The garage must be constructed at the same time as the dwelling is built. Minimum inside dimensions shall be 5.4 metres wide and 6.0 metres long.
- The roof of the principal dwelling shall have a minimum 6-in-12 pitch except when it can be demonstrated that a lesser sloped roof pitch is integral to any architectural style and consistent with the intent of strengthening the streetscape and harmonizing the interface between housing forms.
- Attached garages shall not protrude more than 2.4 metres (8 feet) from the facade of any habitable floor area of the dwelling.
- All attached garages require architecturally significant garage doors consistent with the architectural style of the dwelling.
- All dwellings require a minimum of two different exterior building materials on the front elevation with each material being no less than 75 square feet in area or a minimum of three exterior building materials with each material being no less than 40 square feet in area. No vinyl siding shall be permitted on any building elevation.
- All dwellings shall be constructed with direct access from the basement level to the backyard (walk-out units).
Laned-Lot - Detached Garage
Highly Visible Lot
Lots 1, 16 to 38, Block 701
Lots 1, 6, 7, & 13, Block 702
Lots 1, 10, 11, & 25, Block 703
Lots 1 & 16, Block 704
Lots 1, 15, 16 & 28, Block 705
Lots 1 to 14, Block 706
In addition to the controls noted in the preceding sections, any dwelling elevation facing a street or park also requires the following:
- Other than a front facade which has other requirements as noted in this document, any building elevation which flanks a street or faces a park requires a secondary exterior building material no less than 40 square feet in area.
- Other than a front facade which has other requirements as noted in this document, any building elevation which flanks a street or faces a park requires the placement of windows and/or a door that occupy no less than five percent of the area of the subject building elevation.
![]() | ![]() |
| 50 square feet of a cedar accent material is provided along the rear elevation of the dwelling which faces a linear park. The rear elevation has an area of 1,100 square feet, requiring the placement of a minimum of 55 square feet of window and/or door area. In this example, 124 square feet of window and door area has been provided. | 80 square feet of cedar plank is provided along the side building elevation which faces the flanking street. The side elevation facing the flanking street has an area of 840 square feet, requiring the placement of a minimum of 42 square feet of window and/or door area. Five windows are provided resulting in a total window area of 75 square feet. |
Phase 2 (Bolstad Way, Turn, Manor, and Link)
Attached Garage Integration
For lots that require an attached garage, the attached garage shall not protrude more than 2.4 metres (8 feet) from the facade of any habitable floor area of the dwelling.
Acceptable Garage Projections Examples
![]() | ![]() | ![]() |
| The attached garage projects less than 2.4 metres from the living room of the dwelling. | The attached garage projects 2.4 metres from the second storey of the dwelling. | The attached garage projects 2.4 metres from the front office/den of the dwelling. |
![]() | ![]() | ![]() |
| The attached garage projects 2.4 metres from the second-storey bonus room. | The attached garage projects less than 2.4 metres from the front living room of the dwelling. | The attached garage projects 2.0 metres from the second storey of the dwelling. |
Architecturally Significant Garage Doors
The street appeal of a home contributes to the general appeal of any residential area. Garage doors make up a significant portion of the facade of any attached garage home. Any home with a front or rear attached garage requires garage door styles that complement the home’s exterior. The garage door must include some architectural features. Examples of garage door types, design elements and corresponding architectural styles are outlined below:
|
|
|
|
|
|
Acceptable Garage Door Examples
![]() | ![]() | ![]() | ![]() | ![]() |
![]() | ![]() | ![]() | ![]() | ![]() |
![]() | ![]() | ![]() | ![]() | ![]() |
Note: Garage door supplier and model information must be submitted along with your building permit application. Garage doors will be reviewed and approved. Please include photos or brochures to help explain the garage door.
Roof Pitch
The roof of the principal dwelling shall have a minimum 6-in-12 pitch except in instances where it can be demonstrated that a lesser sloped pitch contributes towards a consistent architectural style or enhanced level of street appeal. Approval of roof pitches less than 6-in-12 will be at the discretion of Saskatoon Land. Some examples that outline the acceptable use of roof pitches less than 6-in-12 are identified below.
![]() | ![]() | ![]() |
| The use of a low-pitched gabled roof for a craftsman style home. | The use of a flat roof or low-sloped roof in a modern contemporary style home. | The use of a low-pitched hip roof with wide overhanging eaves in a prairie style home. |
Lot Specific Architectural Controls
Phase & Lot Type Map
click on map
Phase 2 of Aspen Ridge features three lot types: Standard Lot Attached Garage, Executive Walk-Out Basement Lot - Attached Garage and Laned-Lot - Detached Garage. The architectural controls for each type are noted below:
Standard Lot Attached Garage
| Standard Lot Attached Garage | Highly Visible Lots (see Highly Visible Lot requirements below) |
Lots 1 to 22, Block 707Lots 1 to 22, Block 709Lots 11 to 18, Block 710Lots 1 to 29, Block 712Lots 1 to 6, Block 713 | Lots 1 to 22, Block 707Lots 1, 11, 12, & 22, Block 709Lots 15 & 16, Block 710Lots 6, 14, 15 & 29, Block 712Lots 1 & 6, Block 713 |
- No dwelling shall be constructed on any of the lots which have an above-grade floor area (excluding attached decks, patios and garages) less than:
- 1,000 square feet in the case of a bungalow, bi-level or split-level dwelling;
- 1,200 square feet in the case of a two-storey dwelling.
- All dwellings must be constructed with a minimum single-wide attached garage. The garage must be constructed at the same time as the dwelling is built. Minimum inside dimensions shall be 3.5 metres wide and 6.0 metres long.
- The roof of the principal dwelling shall have a minimum 6-in-12 pitch except when it can be demonstrated that a lesser sloped roof pitch is integral to any architectural style and consistent with the intent of strengthening the streetscape and harmonizing the interface between housing forms. No roof pitch requirement exists for Lots 1 to 22, Block 707; Lots 1 to 11, Block 709; and Lots 11 to 15, Block 710.
- Attached garages shall not protrude more than 2.4 metres (8 feet) from the facade of any habitable floor area of the dwelling.
- All attached garages require architecturally significant garage doors consistent with the architectural style of the dwelling.
- All dwellings require a minimum of two different exterior building materials on the front elevation with each material being no less than 50 square feet in area or a minimum of three exterior building materials with each material being no less than 25 square feet in area.
Executive Walk-Out Basement Lot Attached Garage
| Executive Walk-Out Basement Lot Attached Garage | Highly Visible Lots (see Highly Visible Lot requirements below) |
Lots 1 to 13, Block 708 | Lots 1 to 13, Block 708 |
- No dwelling shall be constructed on any of the lots which have an above-grade floor area (excluding attached decks, patios and garages) less than:
- 1,200 square feet in the case of a bungalow, bi-level or split-level dwelling;
- 1,500 square feet in the case of a two-storey dwelling.
- All dwellings must be constructed with a minimum double-wide attached garage. The garage must be constructed at the same time as the dwelling is built. Minimum inside dimensions shall be 5.4 metres wide and 6.0 metres long.
- The roof of the principal dwelling shall have a minimum 6-in-12 pitch except when it can be demonstrated that a lesser sloped roof pitch is integral to any architectural style and consistent with the intent of strengthening the streetscape and harmonizing the interface between housing forms.
- Attached garages shall not protrude more than 2.4 metres (8 feet) from the facade of any habitable floor area of the dwelling.
- All attached garages require architecturally significant garage doors consistent with the architectural style of the dwelling.
- All dwellings require a minimum of two different exterior building materials on the front elevation with each material being no less than 75 square feet in area or a minimum of three exterior building materials with each material being no less than 40 square feet in area. Vinyl siding shall NOT be permitted on any building elevation.
- All dwellings shall be constructed with direct access from the basement level to the backyard (walk-out units).
Laned-Lot Detached Garage
| Laned-Lot Detached Garage | Highly Visible Lots (see Highly Visible Lot requirements below) |
Lots 1 to 10, Block 710Lots 1 to 12, Block 711 | Lots 1 & 10, Block 710Lot 12, Block 711 |
- No dwelling shall be constructed on any of the lots which has an above-grade floor area (excluding attached decks, patios and garages) less than:
- 1,000 square feet in the case of a bungalow or bi-level;
- 1,200 square feet in the case of a two-storey dwelling.
- All dwelling units shall be bungalows, raised bungalows, bi-levels, or two-storeys. Split-level dwellings are NOT permitted.
- All dwellings shall be constructed with an architecturally significant entry feature which may include a covered veranda, a covered entry feature or a modern contemporary interpretation of a pergola. In the event that columns are used, column styles should be consistent with the overall architectural style of the dwelling.
- The roof of the principal dwelling shall have a minimum 6-in-12 pitch except when it can be demonstrated that a lesser sloped roof pitch is integral to any architectural style and consistent with the intent of strengthening the streetscape and harmonizing the interface between housing forms. No roof pitch requirement exists for Lots 1 to 10, Block 710.
- All dwellings must be constructed with a concrete garage pad with access from the rear lane only. The concrete garage pad must be constructed at the same time the dwelling is built with a minimum dimension of 6 metres in width and 6 metres in length. The concrete pad shall be located at a minimum of 1.2 metres from the rear property line, and include a paved apron that connects it to the rear property line.
- All dwellings require a minimum of two different exterior building materials on the front elevation with each material being no less than 50 square feet in area or a minimum of three exterior building materials with each material being no less than 25 square feet in area.
Please be advised that, as per the National Building Code (NBC), foundations for detached garages 55 square metres and larger must be designed by a design professional (engineer or architect) licensed to consult in the Province of Saskatchewan. The sealed design must be accompanied with a Letter of Commitment for field review.
Highly Visible Lots
Lots 1 to 22, Block 707
Lots 1 to 13, Block 708
Lots 1, 11, 12, & 22, Block 709
Lots 1, 10, 15 & 16, Block 710
Lot 12, Block 711
Lots 6, 14, 15 & 29, Block 712
Lots 1 & 6, Block 713
These controls are in addition to the controls noted in the previous sections. The intention of these controls are to avoid the monotony and the perceived cheapness of large expanses of blank walls on side and rear facades that are highly visible from streets and parks. The requirements listed below are an absolute minimum. Saskatoon Land reserves the right to require further treatment to any facade in order to satisfy the intention of the Phase 2 Architectural Controls.
In addition to the front facade requirements, any building elevation which flanks a street or faces a park:
- Requires a secondary exterior building material that covers no less than 1/3 (33%) of the elevation as defined as the total area of elevation from ground to under the eaves. For the purpose of this calculation, window and/or door areas shall be subtracted. A third material may also be used provided that the second and third materials, when combined, cover no less than 1/3 (33%) of the subject elevation.
- Requires a secondary exterior colour that covers no less than 1/3 (33%) of the elevation as defined as the total area of elevation from ground to under the eaves. For the purpose of this calculation, window and/or door areas shall be subtracted. A third colour may also be used provided that the second and third colours, when combined, cover no less than 1/3 (33%) of the subject elevation.
- Requires the windows and/or doors to occupy no less than 5% of the elevation as defined as the total area of elevation from ground to under the eaves.
Depending on Saskatoon Land’s evaluation of any submitted plans, especially those that satisfy only the “minimum” requirements of this document, Saskatoon Land may require more architectural details such as the following:
- Accented wall build-outs or other interruptions in wall planes.
- Window and door accents.
- Break-ups in roof massing or roof lines such as dormers or cross gables.
- Other accents or placement of material or colour.
Highly Visible Lot Examples
![]() | ![]() |
| The area of the rear elevation (minus window area) totals 270 square feet. 90 square feet of stone has been provided, which satisfies the secondary material requirement. 140 square feet of window placement has also been provided, which satisfies the window and/or door placement requirement on highly visible lots. | The area of side wall (minus window area) totals 300 square feet. 100 square feet of stone has been provided, which satisfies the secondary material requirement. 40 square feet of window placement has also been provided, which satisfies the window and/or door requirement on highly visible lots. |
Phase 3 (Kenaschuk Crescent, Way, Lane, Union, and Link)
Attached Garage Integration
For lots that require an attached garage, the attached garage shall not protrude more than 2.4 metres (8 feet) from the facade of any habitable floor area of the dwelling.
Acceptable Garage Projections Examples
![]() | ![]() | ![]() |
| The attached garage projects less than 2.4 metres from the living room of the dwelling. | The attached garage projects 2.4 metres from the second storey of the dwelling. | The attached garage projects 2.4 metres from the front office/den of the dwelling. |
![]() | ![]() | ![]() |
| The attached garage projects 2.4 metres from the second-storey bonus room. | The attached garage projects less than 2.4 metres from the front living room of the dwelling. | The attached garage projects 2.0 metres from the second storey of the dwelling. |
Architecturally Significant Garage Doors
The street appeal of a home contributes to the general appeal of any residential area. Garage doors make up a significant portion of the facade of any attached garage home. Any home with a front or rear attached garage requires garage door styles that complement the home’s exterior. The garage door must include some architectural elements. Examples of garage door types, design elements and corresponding architectural styles are as follows:
|
|
|
|
|
Hardware and handles can be used on garage doors but are not counted towards the garage door architectural elements.
Acceptable Garage Door Examples
![]() | ![]() | ![]() | ![]() | ![]() |
![]() | ![]() | ![]() | ![]() | ![]() |
![]() | ![]() | ![]() | ![]() | ![]() |
![]() | ![]() |
![]() | |
| Garage Doors with wide trim the same colour as the door is permitted. |
Unacceptable Garage Door Examples
![]() | ![]() | ![]() | ![]() | ![]() | ![]() |
| Garage Doors with no architectural elements are not permitted. | Garage doors that look like wood but are not wood are not permitted without other architectural elements. | Flush Garage Doors with minimum architectural elements are not permitted. | Garage doors with random window spacings are not permitted. | Coloured garage doors are permitted but still need architectural elements. | Windows above garage doors are permitted but do not count towards garage door architectural elements. |
Garage door supplier and model information must be submitted along with your building permit application. Garage doors will be reviewed and approved. Please include photos or brochures to help explain the garage door.
Roof Pitch
The roof of the principal dwelling shall have a minimum 6-in-12 pitch except in instances where it can be demonstrated that a lesser sloped pitch contributes towards a consistent architectural style or enhanced level of street appeal. Approval of roof pitches less than 6-in-12 will be at the discretion of Saskatoon Land. Some examples that outline the acceptable use of roof pitches less than 6-in-12 are identified below.
![]() | ![]() | ![]() |
| The use of a low-pitched gabled roof for a craftsman style home. | The use of a flat roof or low-sloped roof in a modern contemporary style home. | The use of a low-pitched hip roof with wide overhanging eaves in a prairie style home. |
Lot Specific Architectural Controls
click on map
Phase 3 of Aspen Ridge features three lot types: Standard Lot - Attached Garage, Executive Walk-Out Basement Lot - Attached Garage and Laned-Lot - Detached Garage. The architectural controls for each type are noted below:
Standard Lot - Attached Garage
| Standard Lot Attached Garage | Highly Visible Lots (see Highly Visible Lot requirements below) |
Lots 7 to 11, Block 713Lots 27 to 30, Block 714Lots 1 to 22, Block 715Lots 1 to 16, Block 717Lots 1 to 14, Block 718Lots 1 to 11, Block 719 | Lot 7 & 11, Block 713Lot 27 to 30, Block 714Lots 1, 12, 13, & 22, Block 715Lots 1, 9, 10, & 16, Block 717Lots 8 & 9, Block 718Lots 7 & 8, Block 719 |
- No dwelling shall be constructed on any of the lots which has an above-grade floor area (excluding attached decks, patios and garages) less than:
- 1,000 square feet in the case of a bungalow, bi-level or split-level dwelling;
- 1,200 square feet in the case of a two-storey dwelling.
- All dwellings must be constructed with a minimum single-wide attached garage. The garage must be constructed at the same time as the dwelling is built. Minimum inside dimensions shall be 3.5 metres wide and 6.0 metres long.
- The roof of the principal dwelling shall have a minimum 6-in-12 pitch except when it can be demonstrated that a lesser sloped roof pitch is integral to any architectural style and consistent with the intent of strengthening the streetscape and harmonizing the interface between housing forms. No roof pitch requirement exists for Lots 7 to 11, Block 713; Lots 1 to 22, Block 715; and Lots 1 to 9, Block 717.
- Attached garages shall not protrude more than 2.4 metres (8 feet) from the facade of any habitable floor area of the dwelling.
- All attached garages require architecturally significant garage doors consistent with the architectural style of the dwelling.
- All dwellings require a minimum of two different exterior building materials on the front elevation with each material being no less than 50 square feet in area or a minimum of three exterior building materials with each material being no less than 25 square feet in area.
Executive Walk-Out Basement Lot - Attached Garage
| Executive Walk-Out Basement Lot | Highly Visible Lots (see Highly Visible Lot requirements below) |
Lots 1 to 26, Block 714 | Lots 1 to 26, Block 714 |
- No dwelling shall be constructed on any of the lots which have an above-grade floor area (excluding attached decks, patios and garages) less than:
- 1,200 square feet in the case of a bungalow, bi-level or split-level dwelling; or
- 1,500 square feet in the case of a two-storey dwelling.
- All dwellings must be constructed with a minimum double-wide attached garage. The garage must be constructed at the same time as the dwelling is built. Minimum inside dimensions shall be 5.4 metres wide and 6.0 metres long.
- The roof of the principal dwelling shall have a minimum 6-in-12 pitch except when it can be demonstrated that a lesser sloped roof pitch is integral to any architectural style and consistent with the intent of strengthening the streetscape and harmonizing the interface between housing forms. No roof pitch requirement exists for Lots 1 to 13, Block 714.
- Attached garages shall not protrude more than 2.4 metres (8 feet) from the facade of any habitable floor area of the dwelling.
- All attached garages require architecturally significant garage doors consistent with the architectural style of the dwelling.
- All dwellings require a minimum of two different exterior building materials on the front elevation with each material being no less than 75 square feet in area or a minimum of three exterior building materials with each material being no less than 40 square feet in area. Vinyl siding shall NOT be permitted on any building elevation.
- All dwellings shall be constructed with direct access from the basement level to the backyard (walk-out units).
Laned Lot - Detached Garage
Highly Visible Lots
Lots 1 & 11, Block 713
Lots 1 to 30, Block 714
Lots 1, 12, 13, & 22, Block 715
Lots 1 & 17, Block 716
Lots 1, 9, 10, & 16, Block 717
Lots 8 & 9, Block 718
Lots 7 & 8, Block 719
These controls are in addition to the controls noted in the previous sections. The intention of these controls are to avoid the monotony and the perceived cheapness of large expanses of blank walls on side and rear facades that are highly visible from streets and open spaces. The requirements listed below are an absolute minimum. Saskatoon Land reserves the right to require further treatment to any facade in order to satisfy the intention of the Phase 3 Architectural Controls.
In addition to the front facade requirements, any building elevation which flanks a street or faces open space:
- Requires a secondary exterior building material that covers no less than 1/3 (33%) of the elevation as defined as the total area of elevation from ground to under the eaves. For the purpose of this calculation, window and/or door areas shall be subtracted. A third material may also be used provided that the second and third materials, when combined, cover no less than 1/3 (33%) of the subject elevation. Horizontal banding of the base of the building is discouraged as landscaping tends to cover the material.
- Requires a secondary exterior colour that covers no less than 1/3 (33%) of the elevation as defined as the total area of elevation from ground to under the eaves. For the purpose of this calculation, window and/or door areas shall be subtracted. A third colour may also be used provided that the second and third colours, when combined, cover no less than 1/3 (33%) of the subject elevation.
- Requires the windows and/or doors to occupy no less than 5% of the elevation as defined as the total area of elevation from ground to under the eaves.
Depending on Saskatoon Land’s evaluation of any submitted plans, especially those that satisfy only the “minimum” requirements of this document, Saskatoon Land may require more architectural details such as the following:
- Accented wall build-outs or other interruptions in wall planes.
- Window and door accents.
- Break-ups in roof massing or roof lines such as dormers or cross gables.
- Other accents or placement of material or colour.
Highly Visible Lot Examples
![]() | ![]() |
| The area of the rear elevation (minus window area) totals 270 square feet. 90 square feet of stone has been provided, which satisfies the secondary material requirement. 140 square feet of window/door placement has also been provided, which satisfies the window and/ or door placement requirement on highly visible lots. | The area of side wall (minus window area) totals 300 square feet. 100 square feet of stone has been provided, which satisfies the secondary material requirement. 40 square feet of window placement has also been provided, which satisfies the window and/or door requirement on highly visible lots. |
Phase 4 (Feheregyhazi Boulevard, Thakur Street, Kalra Street, Barrett Street, Forsey Avenue, Whitehead Avenue, and Shevchenko Avenue)
Architecturally Significant Garage Doors
The street appeal of a home contributes to the general appeal of any residential area. Garage doors make up a significant portion of the facade of any attached garage home. Any home with a front or rear attached garage requires garage door styles that complement the home’s exterior. The garage door must include some architectural features. Examples of garage door types, design elements and corresponding architectural styles are outlined below:
Double Door: Minimum of three windows Single Door: Minimum of three windows unless installing two windows horizontally at the top |
|
|
|
|
Hardware and handles can be used on garage doors but are not counted towards the garage door architectural elements.
Windows above garage doors are permitted and count towards the garage door architectural elements.
Acceptable Garage Door Examples
![]() | ![]() | ![]() | ![]() | ![]() |
![]() | ![]() | ![]() | ![]() | ![]() |
Unacceptable Garage Door Examples
![]() | ![]() | ![]() | ![]() |
| Garage doors with no architectural elements are not permitted. | Coloured garage doors are permitted but still need architectural elements. Garage doors that look like wood but are not wood are not permitted without other architectural elements. | Flush garage doors with minimum architectural elements are not permitted. | Garage doors with random window spacings are not permitted. |
Note: Garage door supplier and model information must be submitted along with your building permit application. Garage doors will be reviewed and approved. Please include photos or brochures to help explain the garage door.
Roof Pitch
There is no roof pitch requirement; however, the roof pitch should complement the architectural style of the dwelling and be consistent with the intent of strengthening the streetscape and harmonizing the interface between housing forms.
Approval of roof pitches will be at the discretion of Saskatoon Land. Some examples that outline the acceptable use of roof pitches less than 6-in-12 are identified below.
![]() | ![]() | ![]() |
| The use of a low-pitched gabled roof for a craftsman style home. | The use of a flat roof or low-sloped roof in a modern contemporary style home. | The use of a low-pitched hip roof with wide overhanging eaves in a prairie style home. |
Lot Specific Architectural Controls
click on map
Phase 4 of Aspen Ridge features three lot types: Standard Lot - Attached Garage, Laned Lot - R1B and Laned Lot - R2. The architectural controls for each type are noted below:
Standard Lot - Attached Garage
| Standard Lot Attached Garage | Highly Visible Lots (see Highly Visible Lot requirements below) |
Lots 1 to 11, Block 720Lots 1 to 31, Block 721Lots 1 to 36, Block 722Lots 1 to 35, Block 726Lots 1 to 32, Block 727Lots 30 to 36, Block 728 | Lots 1 to 11, Block 720Lots 1, 15, 16 & 31, Block 721Lots 1, 17, 18, & 36, Block 722Lots 1, 18, 19, & 35, Block 726Lots 1, 16, 17, & 32, Block 727N/A |
- No dwelling shall be constructed on any of the lots which have an above-grade floor area (excluding attached decks, patios and garages) less than:
- 1,000 square feet in the case of a bungalow, bi-level or split-level dwelling; or
- 1,000 square feet in the case of a two-storey dwelling.
- All dwellings must be constructed with a minimum single-wide attached garage. The garage must be constructed at the same time as the dwelling is built. Minimum inside dimensions shall be 3.5 metres wide and 6.0 metres long.
- There is no roof pitch requirement; however, the roof pitch should complement the architectural style of the dwelling and be consistent with the intent of strengthening the streetscape and harmonizing the interface between housing forms.
- All attached or side facing detached garages on standard lots require architecturally significant garage doors consistent with the architectural style of the dwelling.
- The undersides of raised entries, verandas, and stair systems must be fully enclosed.
- All dwellings require a minimum of two different exterior building materials of different colour on the front elevation with each material being no less than 50 square feet in area, or a minimum of three different exterior building materials with each material being no less than 25 square feet in area.
- For lots 1 to 17, Block 722 and lots 19 to 35, Block 726, a rear garage or garage pad shall NOT be built on the rear easement and must include a paved apron that connects the garage or garage pad to the rear property line. In addition to the above noted lots in 7, the utility pedestal/transformer must not be inside the fence and must be accessible from the lane.
- A corner lot with a detached rear garage must comply with conditions 4 and 5 in the Highly Visible Lots section below.
- For lots 18 to 36, Block 722 and lots 1 to 18, Block 726, a front attached garage will be required.
Laned Lot - R1B
| Laned-Lot R1B | Highly Visible Lots (see Highly Visible Lot requirements below) |
Lots 1 to 43, Block 723Lots 1 to 40, Block 725 | Lots 1, 21, 22, 43, Block 723Lots 1, 20, 21, & 40, Block 725 |
- No dwelling shall be constructed on any of the lots which have an above-grade floor area (excluding attached decks, patios and garages) less than:
- 1,000 square feet in the case of a bungalow or bi-level;
- 1,000 square feet in the case of a two-storey dwelling.
- All dwelling units shall be bungalows, raised bungalows, bi-levels, or two-storeys. Split-level dwellings are NOT permitted.
- All dwellings shall be constructed with an architecturally significant entry feature which may include a covered veranda, a covered entry feature or a modern contemporary interpretation of a pergola. In the event that columns are used, column styles should be consistent with the overall architectural style of the dwelling, preferably 10 inches X 10 inches or greater.
- There is no roof pitch requirement; however, the roof pitch should complement the architectural style of the dwelling and be consistent with the intent of strengthening the streetscape and harmonizing the interface between housing forms.
- All dwellings must be constructed with a concrete garage pad with access from the rear lane only. The concrete garage pad must be constructed at the same time the dwelling is built with a minimum dimension of 6 metres X 6 metres. The garage pad shall NOT be built on the rear easement and must include a paved apron that connects the garage pad to the rear property line. An attached rear garage shall include a paved driveway that connects it to the rear property line. For laned corner lots, all dwellings must be constructed with a minimum 6 metres X 6 metres (20 feet X 20 feet) garage. The garage must be constructed at the same time as the dwelling is built. See Highly Visible Lots section below for more details.
- The undersides of raised entries, verandas, and stair systems must be fully enclosed.
- All dwellings require a minimum of two different exterior building materials of different colour on the front elevation with each material being no less than 50 square feet in area, or a minimum of three different exterior building materials with each material being no less than 25 square feet in area.
Laned Lot - R2
| Laned-Lot R2 | Highly Visible Lots (see Highly Visible Lot requirements below) |
Lots 1 to 26, Block 724 | Lots 1 & 26, Block 724 |
- No dwelling shall be constructed on any of the lots which have an above-grade floor area (excluding attached decks, patios and garages) less than:
- 800 square feet in the case of a bungalow or bi-level; or
- 1,000 square feet in the case of a two-storey dwelling.
- For duplex or semi-detached, these minimum floor areas apply to each dwelling. Split-level dwellings are NOT permitted.
- All dwellings shall be constructed with an architecturally significant entry feature which may include a covered veranda, a covered entry feature or a modern contemporary interpretation of a pergola. For duplexes or semi-detached dwellings, one dwelling must have a covered entry feature. In the event that columns are used, column styles should be consistent with the overall architectural style of the dwelling, preferably 10" x 10" or greater.
- There is no roof pitch requirement; however, the roof pitch should complement the architectural style of the dwelling and be consistent with the intent of strengthening the streetscape and harmonizing the interface between housing forms.
- All dwellings must be constructed with a concrete garage pad with access from the rear lane only. The concrete garage pad must be constructed at the same time the dwelling is built with a minimum dimension of 6 metres X 6 metres. The garage pad shall NOT be built on the rear easement and must include a paved apron that connects the garage pad to the rear property line. An attached rear garage shall include a paved driveway that connects it to the rear property line. For laned corner lots, all dwellings must be constructed with a minimum 6 metres X 6 metres (20 feet X 20 feet) garage. The garage must be constructed at the same time as the dwelling is built. See Highly Visible Lots section below for more details.
- The undersides of raised entries, verandas, and stair systems must be fully enclosed.
- All dwellings require a minimum of two different exterior dwelling materials of different colour on the front elevation with each material being no less than 50 square feet in area, or a minimum of three different exterior dwelling materials with each material being no less than 25 square feet in area. See Highly Visible Lots section below for more details. For duplexes and semi-detached dwellings, each unit must meet or exceed the minimum requirements above. The same front elevation shall NOT be repeated on the adjoining dwelling.
Highly Visible Lots
Lots 1 to 11, Block 720
Lots 1, 15, 16 & 31, Block 721
Lots 1, 17, 18, & 36, Block 722
Lots 1, 21, 22, 43, Block 723
Lots 1 & 26, Block 724
Lots 1, 20, 21, & 40, Block 725
Lots 1, 18, 19, & 35, Block 726
Lots 1, 16, 17, & 32, Block 727
These controls are in addition to the controls noted in the previous sections. The intention of these controls is to avoid the monotony and the perceived cheapness of large expanses of blank walls on side and rear facades that are highly visible from streets and open spaces. The lots that are relevant to these highly visible lot controls are identified in the map above. The following requirements listed are an absolute minimum. Saskatoon Land reserves the right to require further treatment to any facade in order to satisfy the intentions of the Phase 4 Architectural Controls.
In addition to the front facade requirements, any dwelling elevation which flanks a street or open space:
- Requires a secondary exterior dwelling material that covers no less than one third (33%) of the elevation defined as the total area of elevation from ground to under the eaves. For the purpose of this calculation, window and door areas shall be subtracted. A third material may also be used provided that the second and third materials, when combined, cover no less than one third (33%) of the subject elevation. Horizontal banding of the base of the dwelling is discouraged as landscaping and fences tend to hide the material.
- Requires a secondary exterior colour that covers no less than one third (33%) of the elevation defined as the total area of elevation from ground to under the eaves. For the purpose of this calculation, window and/or door areas shall be subtracted. A third colour may also be used provided that the second and third colours, when combined, cover no less than one third (33%) of the subject elevation.
- Requires the windows and doors to occupy no less than 5% of the elevation defined as the total area of elevation from ground to under the eaves.
- For laned corner lots, all dwellings must be constructed with a rear garage at the same time the dwelling is built. The garage elevation which flanks a street will require a second exterior dwelling material that is comparable to the materials used on the dwelling. The second material must cover no less than 20 square feet of the garage side closest to the lane or must band the top of the garage. Corner lots with a second detached garage would also need to comply with the second exterior dwelling material requirement noted above.
- Garage doors facing streets are required to meet the controls listed in the Architecturally Significant Garage Doors section above. Added architectural details such as doors and/or windows are encouraged for garage elevations that flank streets.
Depending on the quality of the submitted plans, especially those that satisfy only the “minimum” requirements of this document, the Design Review Committee may require more architectural details such as the following:
- Accented wall build-outs or other interruptions in wall planes.
- Window and door accents.
- Break-ups in roof massing or roof lines such as dormers or cross gables.
- Other accents or placement of additional materials and/or colour.
Highly Visible Lot Examples
![]() | ![]() |
| The area of the rear elevation (minus window area) totals 270 square feet. Ninty (90) square feet of stone has been provided, which satisfies the secondary material requirement. One hundred-forty (140) square feet of window/door placement has also been provided, which satisfies the window and/or door placement requirement on highly visible lots. | The area of side elevation (minus window area) totals 300 square feet. One hundred (100) square feet of stone has been provided, which satisfies the secondary material requirement. Forty (40) square feet of window placement has also been provided, which satisfies the window and/or door requirement on highly visible lots. |
![]() | ![]() |
| The garage side that flanks the street has two materials 20 square feet or greater and one window | The garage side that flanks the street has two materials greater than 20 square feet and is installed closest to the lane. |
Phase 5 (Barrett Street, Kalra Street, Feheregyhazi Boulevard, Woolf Place, Bend, and Bay)
Landscape & Driveway Requirement
Front yard landscaping and front driveways are mandatory in Phase 5 to improve the curb appeal of newly built dwellings in Aspen Ridge.
The work is to be completed within 18 months of the building permit issuance date and the dwelling/site must comply with all Architectural Controls, Landscape requirement standards, and Driveway requirement standards to the satisfaction of Saskatoon Land.
Architecturally Significant Garage Doors
The street appeal of a dwelling contributes to the general appeal of any residential area. Garage doors make up a significant portion of the facade of any attached garage dwelling. Any dwelling with a front or rear attached garage requires garage door styles that complement the dwelling’s exterior. The garage door must include some architectural elements. Examples of garage door types, design elements and corresponding architectural styles are outlined below:
Double Door: Minimum of three windows Single Door: Minimum of three windows unless installing two windows horizontally at the top |
|
|
|
|
Hardware and handles can be used on garage doors but are not counted towards the garage door architectural elements.
Full-width windows or trellis above garage doors are permitted and count towards the garage door architectural elements.
Wood tone garage doors (without windows) are permitted if the wood tone garage door compliments a structural architectural element on the dwelling such as columns or exposed beams.
Contemporary or Flush garage doors (without windows) may be approved if the garage door style is consistent with the dwelling style and only if no adjacent dwelling has been previously approved to have a garage door with no architectural elements.
Acceptable Garage Door Examples
![]() | ![]() | ![]() | ![]() | ![]() |
![]() | ![]() | ![]() | ![]() | ![]() |
![]() | Wood garage door (without windows) are permitted if the wood tone garage door compliments a structural architectural element on the dwelling such as columns or exposed beams. | |||
![]() | Contemporary or Flush garage doors with or without grove details and no windows may be approved if the garage door style is consistent with the dwelling style and only if no adjacent dwelling has been previously approved to have a garage door with no architectural elements. | |||
Unacceptable Garage Door Examples
![]() | Garage doors with random window spacings are not permitted. |
Note: Garage door supplier and model information must be submitted along with your architectural controls application form. Garage doors will be reviewed and approved. Please include photos or brochures to help explain the garage door that will be installed.
Roof Pitch
There is no roof pitch requirement; however, the roof pitch should complement the architectural style of the dwelling and be consistent with the intent of strengthening the streetscape and harmonizing the interface between housing forms.
Approval of roof pitches will be at the discretion of Saskatoon Land. Some examples that outline the acceptable use of roof pitches less than 6-in-12 are identified below.
![]() | ![]() | ![]() |
| The use of a low-pitched gabled roof for a craftsmen style dwelling. | The use of a flat roof or low-sloped roof in a modern contemporary style dwelling. | The use of a low-pitched hip roof with wide overhanging eaves in a prairie style dwelling. |
LOT SPECIFIC ARCHITECTURAL CONTROLS
click on map
Phase 5 of Aspen Ridge features one lot type: Standard Lot - Attached Garage. The architectural controls are noted below:
Standard Lot - Attached Garage
| Standard Lot Attached Garage | Highly Visible Lots (see Highly Visible Lot requirements below) |
Lots 1 to 29, Block 728 | Lots 1, 14, 15, 24, 25, 29, Block 728 |
1. No dwelling shall be constructed on any of the lots which have an above-grade floor area (excluding attached decks, patios and garages) less than:
a. 1,000 square feet in the case of a bungalow, bi-level or split-level dwelling; or
b. 1,200 square feet in the case of a two-storey dwelling.
2. All dwellings must be constructed with a minimum single-wide attached garage. The garage must be constructed at the same time as the dwelling is built. Minimum inside dimensions shall be 3.5 metres wide and 6.0 metres long.
3. There is no roof pitch requirement; however, the roof pitch should complement the architectural style of the dwelling and be consistent with the intent of strengthening the streetscape and harmonizing the interface between housing forms.
4. All attached or side-facing detached garages on standard lots require architecturally significant garage doors consistent with the architectural style of the dwelling.
5. The undersides of raised entries, verandas, and stair systems must be fully enclosed.
6. All dwellings require a minimum of two different exterior dwelling materials with visually different textures on the front elevation with each material being no less than 50 square feet in area. A third material may also be used provided that a different colour is added not in the adjacent tone/shade to the primary and secondary materials used. The second and third materials, when combined, must cover no less than 50 square feet of the front elevation. See Highly Visible Lots section below to determine if additional side or rear elevation materials are required.
7. For lots 1 to 38, Block 729 , the dwelling with front attached garage must be setback 6m from the front property line.
8. A corner lot with a detached rear garage must comply with conditions 3 and 4 in the Highly Visible Lots section below.
Highly Visible Lots
LOTS 1, 14, 15, 24, 25, 29, BLOCK 728
LOTS 1, 17, 18, 38, BLOCK 729
LOTS 1, 5, 28, BLOCK 730
LOTS 1 TO 7 AND 9 TO 13, BLOCK 731
LOTS 1 TO 17, BLOCK 732
These controls are in addition to the controls noted in the previous sections. The intention of these controls is to avoid the monotony and the perceived cheapness of large expanses of blank walls on side and rear facades that are highly visible from streets and open spaces. The lots that are relevant to these highly visible lot controls are identified in the map above. The following requirements listed are an absolute minimum. Saskatoon Land reserves the right to require further treatment to any facade in order to satisfy the intentions of the Phase 5 Architectural Controls.
In addition to the front facade requirements, any dwelling elevation which flanks a street or open space:
1. Requires a secondary exterior dwelling material with visually different texture when compared to the primary material. The secondary material must cover no less than one-third (33%) of the elevation defined as the total area of elevation from ground to under the eaves. For the purpose of this calculation, window and door areas shall be subtracted. A third material may also be used provided that a different colour is added not in the adjacent tone/shade to the primary and secondary materials used. The second and third materials, when combined, must cover no less than one-third (33%) of the subject elevation. Horizontal banding of the base of the dwelling is discouraged as landscaping and fences tend to hide the material.
2. Requires the windows and doors to occupy no less than 5% of the elevation defined as the total area of elevation from ground to under the eaves.
3. For corner lots that also want a rear garage, the garage elevation which flanks a street will require a second exterior material that is comparable to the materials used on the dwelling. The second material must cover no less than 20 square feet of the garage side closest to the lane or must band the top of the garage. If the garage door faces the street, the garage door requires architectural details see number 4 below.
4. Garage doors facing streets are required to meet the controls listed in the Architecturally Significant Garage Doors section above. Added architectural details such as doors and/or windows are encouraged for garage elevations that flank streets.
Depending on the quality of the submitted plans, especially those that satisfy only the “minimum” requirements, the Design Review Committee may require more architectural details such as the following:
- Accented wall build-outs or other interruptions in wall planes.
- Window and door accents.
- Break-ups in roof massing or roof lines such as dormers or cross gables.
- Other accents or placement of additional materials and/or colour.
Highly Visible Lot Examples
![]() | ![]() |
| The area of the rear elevation (minus window area) totals 270 square feet. Ninety (90) square feet of stone has been provided, which satisfies the secondary material requirement. One hundred-forty (140) square feet of window/door placement has also been provided, which satisfies the window and/or door placement requirement on highly visible lots. | The area of side elevation (minus window area) totals 300 square feet. One hundred (100) square feet of stone has been provided, which satisfies the secondary material requirement. Forty (40) square feet of window placement has also been provided, which satisfies the window and/or door requirement on highly visible lots. |
![]() | ![]() |
| The garage side that flanks the street has two materials 20 square feet or greater and one window | The garage side that flanks the street has two materials greater than 20 square feet and is installed closest to the lane. |
Phase 6 (Feheregyhazi Boulevard, Myles Heidt Manor, Myles Heidt Way, Myles Heidt Lane, Myles Heidt Avenue)
Phase 7 (Sharma Crescent, Way, Lane)
According to Bylaw No. 7990, The Fire and Protective Services Bylaw (2001), it is mandatory for all buildings or structures to prominently display a civic address. The following requirement must be fulfilled:
- All buildings or structures must prominently display a civic address to ensure identification during emergency situations for first responder staff.
- The civic address shall be prominently displayed on the front of the building or structure so as to be clearly visible from the street.
- Upon inspection, the civic address must be visible from the street to comply with the Architectural Controls.
Landscape & Driveway Requirement
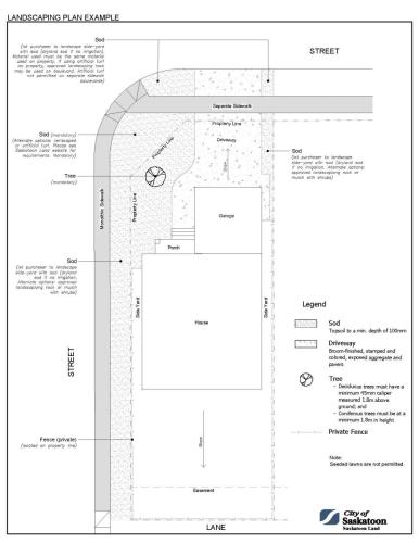
Front yard landscaping and front driveways are mandatory in Phase 7 to improve the curb appeal of newly built dwellings in Aspen Ridge. A landscaping plan is also mandatory for this phase. Example of a landscaping plan is given below.
Architecturally Significant Garage Doors
The street appeal of a dwelling contributes to the general appeal of any residential area. Garage doors make up a significant portion of the facade of any attached garage dwelling. Any dwelling with a front or rear attached garage that faces the street requires garage door styles that complement the dwelling’s exterior. The garage door must include some architectural elements. Examples of garage door types, design elements and corresponding architectural styles are outlined below:
Double Door: Minimum of three windows Single Door: Minimum of three windows unless installing two windows horizontally at the top |
|
|
|
|
Full-width windows or trellis above garage doors are permitted and count towards the garage door architectural elements.
Wood tone garage doors (without windows) are permitted if the wood tone garage door compliments a structural architectural element on the dwelling such as columns or exposed beams.
Contemporary or Flush garage doors or garage doors that use hardware and handles (without windows) may be approved if the garage door style is consistent with the dwelling style and only if no adjacent dwelling has been previously approved to have a garage door with no architectural elements or similar hardware. Please clearly request this garage door style if desired on the Architectural Controls Application Form so it can be reviewed.
Acceptable Garage Door Examples
![]() | ![]() | ![]() | ![]() | ![]() |
![]() | ![]() | ![]() | ![]() | ![]() |
![]() | Wood garage door (without windows) are permitted if the wood tone garage door compliments a structural architectural element on the dwelling such as columns or exposed beams. | |||
![]() | Contemporary or Flush garage doors with or without grove details and no windows may be approved if the garage door style is consistent with the dwelling style and only if no adjacent dwelling has been previously approved to have a garage door with no architectural elements. | |||
Unacceptable Garage Door Examples
![]() | Garage doors with random window spacings are not permitted. |
Note: Garage door supplier and model information must be submitted along with your architectural controls application form. Garage doors will be reviewed and approved. Please include photos or brochures to help explain the garage door that will be installed.
Roof Pitch
There is no roof pitch requirement; however, the roof pitch should complement the architectural style of the dwelling and be consistent with the intent of strengthening the streetscape and harmonizing the interface between housing forms.
Approval of roof pitches will be at the discretion of Saskatoon Land. Some examples that outline the acceptable use of roof pitches less than 6-in-12 are identified below.
![]() | ![]() | ![]() |
| The use of a low-pitched gabled roof for a craftsmen style dwelling. | The use of a flat roof or low-sloped roof in a modern contemporary style dwelling. | The use of a low-pitched hip roof with wide overhanging eaves in a prairie style dwelling. |
Lot-Specific Architectural Controls
![]()
Phase 7 of Aspen Ridge features three lot types: Standard Lot - Attached Garage, Executive Walk-Out Basement Lot - Attached Garage, and Laned Lot - Attached Garage. The architectural controls for each type are noted below:
Standard Lot - Attached Garage
| Standard Lot Attached Garage | Highly Visible Lots (see Highly Visible Lot requirements below) |
Lots 1 to 69, Block 738 | Lots 1, 37, 38, 69, Block 738 |
1. No dwelling shall be constructed on any of the lots which have an above-grade floor area (excluding attached decks, patios and garages) less than:
a. 1,000 square feet in the case of a bungalow, bi-level or split-level dwelling; or
b. 1,200 square feet in the case of a two-storey dwelling.
2. All dwellings must be constructed with a minimum single-wide attached garage. The garage must be constructed at the same time as the dwelling is built. Minimum inside dimensions shall be 3.5 metres wide and 6.0 metres long.
3. There is no roof pitch requirement; however, the roof pitch should complement the architectural style of the dwelling and be consistent with the intent of strengthening the streetscape and harmonizing the interface between housing forms.
4. All attached or side-facing detached garages on standard lots require architecturally significant garage doors consistent with the architectural style of the dwelling.
5. The undersides of raised entries, verandas, and stair systems must be fully enclosed.
6. All dwellings require a minimum of two different exterior dwelling materials with visually different textures on the front elevation with each material being no less than 50 square feet in area. A third material may also be used provided that a different colour is added not in the adjacent tone/shade to the primary and secondary materials used. The second and third materials, when combined, must cover no less than 50 square feet of the front elevation. See Highly Visible Lots section below to determine if additional side or rear elevation materials are required.
7. A corner lot with a detached rear garage must comply with conditions 3 and 4 in the Highly Visible Lots section below.
Executive Walk-Out Basement Lot - Attached Garage
| Laned - Lot R1B | Highly Visible Lots (see Highly Visible Lot requirements below) |
Lots 1 to 8, Block 739Lots 1 to 8, Block 740 | Lots 1 TO 8, Block 739Lots 1 TO 22, Block 740 |
- No dwelling shall be constructed on any of the lots which have an above-grade floor area (excluding attached decks, patios and garages) less than:
a. 1,200 square feet in the case of a bungalow, bi-level or split-level dwelling; o
b. 1,500 square feet in the case of a two-storey dwelling. - All dwellings must be constructed with a minimum double-wide attached garage. The garage must be constructed at the same time as the dwelling is built. Minimum inside dimensions shall be 5.4 metres wide and 6.0 metres long.
- There is no roof pitch requirement; however, the roof pitch should complement the architectural style of the dwelling and be consistent with the intent of strengthening the streetscape and harmonizing the interface between housing forms.
- All attached or side-facing detached garages on Executive Walk-out lots require architecturally significant garage doors consistent with the architectural style of the dwelling.
- The undersides of raised entries, verandas, and stair systems must be fully enclosed.
- All dwellings require a minimum of two different exterior dwelling materials with visually different textures on the front elevation with each material being no less than 50 square feet in area. A third material may also be used provided that a different colour is added not in the adjacent tone/shade to the primary and secondary materials used. The second and third materials, when combined, must cover no less than 50 square feet of the front elevation. See Highly Visible Lots section below to determine if additional side or rear elevation materials are required.
- All dwellings shall be constructed with direct access from the basement level to the backyard (walk-out units).
Laned Lot - Attached Garage
| Laned - Lot R2 | Highly Visible Lots (see Highly Visible Lot requirements below) |
Lots 1 to 12, Block 736Lots 1 to 22, Block 737 | Lots 1 & 12, Block 736Lots 1 & 22, Block 737 |
- No dwelling shall be constructed on any of the lots which have an above-grade floor area (excluding attached decks, patios, and garages) less than:
a. 800 square feet in the case of a bungalow or a bi-level;
b. 1,000 square feet in the case of a two-storey dwelling. - All dwellings must be constructed with a minimum single-wide attached garage. The garage must be constructed at the same time as the dwelling is built. Minimum inside dimensions shall be 3.5 metres wide and 6.0 metres long.
- For duplex or semi-detached, these minimum floor areas apply to each dwelling. Split-level dwellings are NOT permitted.
- There is no roof pitch requirement; however, the roof pitch should complement the architectural style of the dwelling and be consistent with the intent of strengthening the streetscape and harmonizing the interface between housing forms.
- Dwellings with front attached garages, must be setback a minimum of 8 metres from the front property line to allow the service connection to be not under any part of the garage. See Lot Information Package for Block 736 and 737 Water and Sewer Requirements Detail.
- If a secondary garage or concrete garage pad is desired, the pad must be constructed at the same time the dwelling is built with a minimum dimension of 6 metres X 6 metres. The garage pad shall NOT be built on the rear easement and must include a paved apron that connects the garage pad to the rear property line. An attached rear garage shall include a paved driveway that connects it to the rear property line. For laned corner lots with secondary garages, the garage must be constructed at the same time as the dwelling is built. See Highly Visible Lots section below for more details.
- The undersides of raised entries, verandas, and stair systems must be fully enclosed.
- All dwellings require a minimum of two different exterior dwelling materials with visually different textures on the front elevation with each material being no less than 50 square feet in area. A third material may also be used provided that a different colour is added not in the adjacent tone/shade to the primary and secondary materials used. The second and third materials, when combined, must cover no less than 50 square feet of the front elevation. See Highly Visible Lots section below to determine if additional side materials are required. The same front elevation shall NOT be repeated on the adjoining or adjacent dwellings.
Highly Visible Lots
LOT 12, BLOCK 736
LOT 1, BLOCK 737
LOT 1, 37, 38, 69, BLOCK 738
LOTS 1 TO 8, BLOCK 739
LOTS 1 TO 8 & 33 BLOCK 740
LOTS 1, 21, 22, 36, BLOCK 741
These controls are in addition to the controls noted in the previous sections. The intention of these controls is to avoid the monotony and the perceived cheapness of large expanses of blank walls on side and rear facades that are highly visible from streets and open spaces. The lots that are relevant to these highly visible lot controls are identified in the map above. The following requirements listed are an absolute minimum. Saskatoon Land reserves the right to require further treatment to any facade in order to satisfy the intentions of the Phase 7 Architectural Controls.
In addition to the front facade requirements, any dwelling elevation which flanks a street or open space:
1. Requires a secondary exterior dwelling material with visually different texture when compared to the primary material. The secondary material must cover no less than one-third (33%) of the elevation defined as the total area of elevation from ground to under the eaves. For the purpose of this calculation, window and door areas shall be subtracted. A third material may also be used provided that a different colour is added not in the adjacent tone/shade to the primary and secondary materials used. The second and third materials, when combined, must cover no less than one-third (33%) of the subject elevation. Horizontal banding of the base of the dwelling is discouraged as landscaping and fences tend to hide the material.
2. Requires the windows and doors to occupy no less than 5% of the elevation defined as the total area of elevation from ground to under the eaves.
3. For corner lots that also want a rear garage, the garage elevation which flanks a street will require a second exterior material that is comparable to the materials used on the dwelling. The second material must cover no less than 20 square feet of the garage side closest to the lane or must band the top of the garage. If the garage door faces the street, the garage door requires architectural details see number 4 below.
4. Garage doors facing streets are required to meet the controls listed in the Architecturally Significant Garage Doors section above. Added architectural details such as doors and/or windows are encouraged for garage elevations that flank streets.
Depending on the quality of the submitted plans, especially those that satisfy only the “minimum” requirements, the Design Review Committee may require more architectural details such as the following:
- Accented walls build-outs or other interruptions in wall planes.
- Window and door accents.
- Break-ups in roof massing or roof lines such as dormers or cross gables.
- Other accents or placement of additional materials and/or colour.
Highly Visible Lot Examples
![]() | ![]() |
| The area of the rear elevation (minus window area) totals 270 square feet. Ninety (90) square feet of stone has been provided, which satisfies the secondary material requirement. One hundred-forty (140) square feet of window/door placement has also been provided, which satisfies the window and/or door placement requirement on highly visible lots. | The area of side elevation (minus window area) totals 300 square feet. One hundred (100) square feet of stone has been provided, which satisfies the secondary material requirement. Forty (40) square feet of window placement has also been provided, which satisfies the window and/or door requirement on highly visible lots. |
![]() | ![]() |
| The garage side that flanks the street has two materials 20 square feet or greater and one window | The garage side that flanks the street has two materials greater than 20 square feet and is installed closest to the lane. |
Phase 8 (Yuel Crescent, Link, Lane, Bend, Road)
Property Identification
According to Bylaw No. 7990, The Fire and Protective Services Bylaw (2001), it is mandatory for all buildings or structures to prominently display a civic address. The following requirement must be fulfilled:
- All buildings or structures must prominently display a civic address to ensure identification during emergency situations for first responder staff.
- The civic address shall be prominently displayed on the front of the building or structure so as to be clearly visible from the street.
- Upon inspection, the civic address must be visible from the street to comply with the Architectural Controls.
Landscape & Driveway Requirement
Front yard landscaping and front driveways are mandatory in Phase 8 to improve the curb appeal of newly built dwellings in Aspen Ridge. A landscaping plan is also mandatory for this phase. Example of a landscaping plan is given below.
Architecturally Significant Garage Doors
The street appeal of a dwelling contributes to the general appeal of any residential area. Garage doors make up a significant portion of the facade of any attached garage dwelling. Any dwelling with a front or rear attached garage that faces the street requires garage door styles that complement the dwelling’s exterior. The garage door must include some architectural elements. Examples of garage door types, design elements and corresponding architectural styles are outlined below:
|
|
|
|
|
|
Full-width windows or trellis above garage doors are permitted and count towards the garage door architectural elements.
Wood tone garage doors (without windows) are permitted if the wood tone garage door compliments a structural architectural element on the dwelling such as columns or exposed beams.
Contemporary or Flush garage doors or garage doors that use decorative hardware and handles (without windows) may be approved if the garage door style is consistent with the dwelling style and only if no adjacent dwelling has been previously approved to have a garage door with no architectural elements or similar hardware. A minimum set of six (6) decorative hardware pieces (4 hinges and 2 handles) is required. Black garage doors with decorative hardware will not be approved. Please clearly request this garage door style if desired on the Architectural Controls Application Form so it can be reviewed.
Acceptable Garage Door Examples
![]() | ![]() | ![]() | ![]() | ![]() |
![]() | ![]() | ![]() | ![]() | ![]() |
![]() | Wood garage door (without windows) are permitted if the wood tone garage door compliments a structural architectural element on the dwelling such as columns or exposed beams. | |||
![]() | Contemporary or Flush garage doors with or without grove details and no windows may be approved if the garage door style is consistent with the dwelling style and only if no adjacent dwelling has been previously approved to have a garage door with no architectural elements. | |||
Unacceptable Garage Door Examples
![]() | Garage doors with random window spacings are not permitted. |
Note: Garage door supplier and model information must be submitted along with your architectural controls application form. Garage doors will be reviewed and approved. Please include photos or brochures to help explain the garage door that will be installed.
Roof Pitch
There is no roof pitch requirement; however, the roof pitch should complement the architectural style of the dwelling and be consistent with the intent of strengthening the streetscape and harmonizing the interface between housing forms.
Approval of roof pitches will be at the discretion of Saskatoon Land. Some examples that outline the acceptable use of roof pitches less than 6-in-12 are identified below.
![]() | ![]() | ![]() |
| The use of a low-pitched gabled roof for a craftsmen style dwelling. | The use of a flat roof or low-sloped roof in a modern contemporary style dwelling. | The use of a low-pitched hip roof with wide overhanging eaves in a prairie style dwelling. |
Lot-Specific Architectural Controls
Phase 8 of Aspen Ridge features two lot types: Standard Lot - Attached Garage and Executive Walk-Out Basement Lot - Attached Garage. The architectural controls for each type are noted below:
Standard Lot - Attached Garage
| Standard Lot Attached Garage | Highly Visible Lots (see Highly Visible Lot requirements below) |
LOTS 1 to 38, BLOCK 743 | LOTS 10, 18, 19, 38, block 743 |
- No dwelling shall be constructed on any of the lots which have an above-grade floor area (excluding attached decks, patios and garages) less than:
a. 1,000 square feet in the case of a bungalow, or bi-level dwelling; or
b. 1,200 square feet in the case of a two-storey dwelling. - For duplex or semi-detached, these minimum floor areas apply to each dwelling. Split-level dwellings are NOT permitted.
- All dwellings must be constructed with a minimum single-wide attached garage. The garage must be constructed at the same time as the dwelling is built. Minimum inside dimensions shall be 3.5 metres wide and 6.0 metres long.
- There is no roof pitch requirement; however, the roof pitch should complement the architectural style of the dwelling and be consistent with the intent of strengthening the streetscape and harmonizing the interface between housing forms.
- All attached or side-facing detached garages on standard lots require architecturally significant garage doors consistent with the architectural style of the dwelling.
- The undersides of raised entries, verandas, and stair systems must be fully enclosed.
- All dwellings require a minimum of two different exterior dwelling materials with visually different textures on the front elevation with each material being no less than 50 square feet in area. A third material may also be used provided that a different colour is added not in the adjacent tone/shade to the primary and secondary materials used. The second and third materials, when combined, must cover no less than 50 square feet of the front elevation. See Highly Visible Lots section below to determine if additional side or rear elevation materials are required. For duplexes and semi-detached, each dwelling must meet or exceed the minimum dwelling material requirements above. The same front elevation shall NOT be repeated on the adjoining dwelling.
- A corner lot with a detached rear garage must comply with conditions 3 and 4 in the Highly Visible Lots section below.
Executive Walk-Out Basement Lot - Attached Garage
| Executive Walk-Out Basement Lot Attached Garage | Highly Visible Lots (see Highly Visible Lot requirements below) |
LOTS 1 TO 16, BLOCK 744 | LOTS 1 TO 16, BLOCK 744 |
- No dwelling shall be constructed on any of the lots which have an above-grade floor area (excluding attached decks, patios and garages) less than:
a. 1,200 square feet in the case of a bungalow, bi-level or split-level dwelling;
b. 1,500 square feet in the case of a two-storey dwelling. - All dwellings must be constructed with a minimum double-wide attached garage. The garage must be constructed at the same time as the dwelling is built. Minimum inside dimensions shall be 5.4 metres wide and 6.0 metres long.
- There is no roof pitch requirement; however, the roof pitch should complement the architectural style of the dwelling and be consistent with the intent of strengthening the streetscape and harmonizing the interface between housing forms.
- All attached or side-facing detached garages on Exclusive Walk-out lots require architecturally significant garage doors consistent with the architectural style of the dwelling.
- The undersides of raised entries, verandas, and stair systems must be fully enclosed.
- All dwellings require a minimum of two different exterior dwelling materials with visually different textures on the front elevation with each material being no less than 50 square feet in area. A third material may also be used provided that a different colour is added not in the adjacent tone/shade to the primary and secondary materials used. The second and third materials, when combined, must cover no less than 50 square feet of the front elevation. See Highly Visible Lots section below to determine if additional side or rear elevation materials are required.
- All dwellings shall be constructed with direct access from the basement level to the backyard (walk-out units).
Highly Visible Lots
LOTS 10, 18, 19, 38, block 743
LOTS 1 TO 16, BLOCK 744
LOTS 1 TO 10, BLOCK 745
LOTS 1, 18, 19, 33, block 746
LOTS 1, 14, 15, 24, block 747
LOTS 1, 15, 16, 30, block 748
LOTS 1, 20, 21, 44, block 749
LOTs 1 to 12, 67, block 751
LOTS 1, 16, 17, 35, block 752
These controls are in addition to the controls noted in the previous sections. The intention of these controls is to avoid the monotony and the perceived cheapness of large expanses of blank walls on side and rear facades that are highly visible from streets and open spaces. The lots that are relevant to these highly visible lot controls are identified in the map above. The following requirements listed are an absolute minimum. Saskatoon Land reserves the right to require further treatment to any facade in order to satisfy the intentions of the Phase 8 Architectural Controls.
In addition to the front facade requirements, any dwelling elevation which flanks a street or open space:
1. Requires a secondary exterior dwelling material with visually different texture when compared to the primary material. The secondary material must cover no less than one-third (33%) of the elevation defined as the total area of elevation from ground to under the eaves. For the purpose of this calculation, window and door areas shall be subtracted. A third material may also be used provided that a different colour is added not in the adjacent tone/shade to the primary and secondary materials used. The second and third materials, when combined, must cover no less than one-third (33%) of the subject elevation. Horizontal banding of the base of the dwelling is discouraged as landscaping and fences tend to hide the material.
2. Requires the windows and doors to occupy no less than 5% of the elevation defined as the total area of elevation from ground to under the eaves.
3. For corner lots that also want a rear garage, the garage elevation which flanks a street will require a second exterior material that is comparable to the materials used on the dwelling. The second material must cover no less than 20 square feet of the garage side closest to the lane or must band the top of the garage. If the garage door faces the street, the garage door requires architectural details see number 4 below.
4. Garage doors facing streets are required to meet the controls listed in the Architecturally Significant Garage Doors section above. Added architectural details such as doors and/or windows are encouraged for garage elevations that flank streets.
Depending on the quality of the submitted plans, especially those that satisfy only the “minimum” requirements, the Design Review Committee may require more architectural details such as the following:
- Accented walls build-outs or other interruptions in wall planes.
- Window and door accents.
- Break-ups in roof massing or roof lines such as dormers or cross gables.
- Other accents or placement of additional materials and/or colour.
Highly Visible Lot Examples
![]() | ![]() |
| The area of the rear elevation (minus window area) totals 270 square feet. Ninety (90) square feet of stone has been provided, which satisfies the secondary material requirement. One hundred-forty (140) square feet of window/door placement has also been provided, which satisfies the window and/or door placement requirement on highly visible lots. | The area of side elevation (minus window area) totals 300 square feet. One hundred (100) square feet of stone has been provided, which satisfies the secondary material requirement. Forty (40) square feet of window placement has also been provided, which satisfies the window and/or door requirement on highly visible lots. |
![]() | ![]() |
| The garage side that flanks the street has two materials 20 square feet or greater and one window | The garage side that flanks the street has two materials greater than 20 square feet and is installed closest to the lane. |
Phase 9
Coming Soon!
Phase 10
Property Identification
According to Bylaw No. 7990, The Fire and Protective Services Bylaw (2001), it is mandatory for all buildings or structures to prominently display a civic address. The following requirement must be fulfilled:
- All buildings or structures must prominently display a civic address to ensure identification during emergency situations for first responder staff.
- The civic address shall be prominently displayed on the front of the building or structure so as to be clearly visible from the street.
- Upon inspection, the civic address must be visible from the street to comply with the Architectural Controls.
Landscape & Driveway Requirement
Front yard landscaping and front driveways are mandatory in Phase 10 to improve the curb appeal of newly built dwellings in Aspen Ridge. A landscaping plan is also mandatory for this phase. Example of a landscaping plan is given below.
Architecturally Significant Garage Doors
The street appeal of a dwelling contributes to the general appeal of any residential area. Garage doors make up a significant portion of the facade of any attached garage dwelling. Any dwelling with a front or rear attached garage that faces the street requires garage door styles that complement the dwelling’s exterior. The garage door must include some architectural elements. Examples of garage door types, design elements and corresponding architectural styles are outlined below:
|
|
|
|
|
|
Full-width windows or trellis above garage doors are permitted and count towards the garage door architectural elements.
Wood tone garage doors (without windows) are permitted if the wood tone garage door compliments a structural architectural element on the dwelling such as columns or exposed beams.
Contemporary or Flush garage doors or garage doors that use decorative hardware and handles (without windows) may be approved if the garage door style is consistent with the dwelling style and only if no adjacent dwelling has been previously approved to have a garage door with no architectural elements or similar hardware. A minimum set of six (6) decorative hardware pieces (4 hinges and 2 handles) is required. Black garage doors with decorative hardware will not be approved. Please clearly request this garage door style if desired on the Architectural Controls Application Form so it can be reviewed.
Acceptable Garage Door Examples
![]() | ![]() | ![]() | ![]() | ![]() |
![]() | ![]() | ![]() | ![]() | ![]() |
![]() | Wood garage door (without windows) are permitted if the wood tone garage door compliments a structural architectural element on the dwelling such as columns or exposed beams. | |||
![]() | Contemporary or Flush garage doors with or without grove details and no windows may be approved if the garage door style is consistent with the dwelling style and only if no adjacent dwelling has been previously approved to have a garage door with no architectural elements. | |||
Unacceptable Garage Door Examples
![]() | Garage doors with random window spacings are not permitted. |
Note: Garage door supplier and model information must be submitted along with your architectural controls application form. Garage doors will be reviewed and approved. Please include photos or brochures to help explain the garage door that will be installed.
Roof Pitch
There is no roof pitch requirement; however, the roof pitch should complement the architectural style of the dwelling and be consistent with the intent of strengthening the streetscape and harmonizing the interface between housing forms.
Approval of roof pitches will be at the discretion of Saskatoon Land. Some examples that outline the acceptable use of roof pitches less than 6-in-12 are identified below.
![]() | ![]() | ![]() |
| The use of a low-pitched gabled roof for a craftsmen style dwelling. | The use of a flat roof or low-sloped roof in a modern contemporary style dwelling. | The use of a low-pitched hip roof with wide overhanging eaves in a prairie style dwelling. |
Lot-Specific Architectural Controls
Phase 10 of Aspen Ridge features three lot types: Standard Lot - Attached Garage, Laned Lot - Attached Garage, and Laned Lot - Detached Garage. The architectural controls for each type are noted below:
Standard Lot - Attached Garage
- No dwelling shall be constructed on any of the lots which have an above-grade floor area (excluding attached decks, patios and garages) less than:
a. 1,000 square feet in the case of a bungalow, or bi-level dwelling; or
b. 1,200 square feet in the case of a two-storey dwelling. - For duplex or semi-detached, these minimum floor areas apply to each dwelling. Split-level dwellings are NOT permitted.
- All dwellings must be constructed with a minimum single-wide attached garage. The garage must be constructed at the same time as the dwelling is built. Minimum inside dimensions shall be 3.5 metres wide and 6.0 metres long.
- There is no roof pitch requirement; however, the roof pitch should complement the architectural style of the dwelling and be consistent with the intent of strengthening the streetscape and harmonizing the interface between housing forms.
- All attached or side-facing detached garages on standard lots require architecturally significant garage doors consistent with the architectural style of the dwelling.
- The undersides of raised entries, verandas, and stair systems must be fully enclosed.
- All dwellings require a minimum of two different exterior dwelling materials with visually different textures on the front elevation with each material being no less than 50 square feet in area. A third material may also be used provided that a different colour is added not in the adjacent tone/shade to the primary and secondary materials used. The second and third materials, when combined, must cover no less than 50 square feet of the front elevation. See Highly Visible Lots section below to determine if additional side or rear elevation materials are required. For duplexes and semi-detached, each dwelling must meet or exceed the minimum dwelling material requirements above. The same front elevation shall NOT be repeated on the adjoining dwelling.
Laned Lot - Attached Garage
- No dwelling shall be constructed on any of the lots which have an above-grade floor area (excluding attached decks, patios, and garages) less than:
a. 1,000 square feet in the case of a bungalow, or bi-level dwelling; or
b. 1,200 square feet in the case of a two-storey dwelling. - For duplex or semi-detached, these minimum floor areas apply to each dwelling. Split-level dwellings are NOT permitted.
- All dwellings must be constructed with a minimum single-wide attached garage. The garage must be constructed at the same time as the dwelling is built. Minimum inside dimensions shall be 3.5 metres wide and 6.0 metres long.
- There is no roof pitch requirement; however, the roof pitch should complement the architectural style of the dwelling and be consistent with the intent of strengthening the streetscape and harmonizing the interface between housing forms.
- Dwellings with front attached garages, must be setback from the front property line to allow the service connection to NOT be under any part of the garage.
- If a secondary garage or concrete garage pad is desired, the pad must be constructed at the same time the dwelling is built with a minimum dimension of 6 metres X 6 metres. The garage pad shall NOT be built on the rear easement and must include a paved apron that connects the garage pad to the rear property line. An attached rear garage shall include a paved driveway that connects it to the rear property line. For laned corner lots with secondary garages, the garage must be constructed at the same time as the dwelling is built. See Highly Visible Lots section below for more details.
- The undersides of raised entries, verandas, and stair systems must be fully enclosed.
- All dwellings require a minimum of two different exterior dwelling materials with visually different textures on the front elevation with each material being no less than 50 square feet in area. A third material may also be used provided that a different colour is added not in the adjacent tone/shade to the primary and secondary materials used. The second and third materials, when combined, must cover no less than 50 square feet of the front elevation. See Highly Visible Lots section below to determine if additional side or rear elevation materials are required. For duplexes and semi-detached, each dwelling must meet or exceed the minimum dwelling material requirements above. The same front elevation shall NOT be repeated on the adjoining dwelling.
Laned Lot - Detached Garage
- No dwelling shall be constructed on any of the lots which have an above-grade floor area (excluding attached decks, patios and garages) less than:
- 1,000 square feet in the case of a bungalow or bi-level; or
- 1,200 square feet in the case of a two-storey dwelling.
- For duplex or semi-detached, these minimum floor areas apply to each dwelling. Split-level dwellings are NOT permitted.
- All dwellings must be constructed with a minimum single-wide attached garage. The garage must be constructed at the same time as the dwelling is built. Minimum inside dimensions shall be 3.5 metres wide and 6.0 metres long.
- All dwellings shall be constructed with an architecturally significant entry feature which may include a covered veranda, a covered entry feature or a modern contemporary interpretation of a pergola. In the event that columns are used, column styles should be consistent with the overall architectural style of the dwelling. Preferably 10 inches by 10 inches or greater. The undersides of raised entries, verandas, and stair systems must be fully enclosed.
- There is no roof pitch requirement; however, the roof pitch should complement the architectural style of the dwelling and be consistent with the intent of strengthening the streetscape and harmonizing the interface between housing forms.
- All dwellings must be constructed with a concrete garage pad with access from the rear lane only. The concrete garage pad must be constructed at the same time the dwelling is built with a minimum dimension of 6 metres in width and 6 metres in length. The concrete garage pad shall not be built on the rear easement and must include a paved apron that connects it to the rear property line. An attached rear garage shall include a paved driveway that connects it to the rear property line.
- All dwellings require a minimum of two different exterior dwelling materials with visually different textures on the front elevation with each material being no less than 50 square feet in area. A third material may also be used provided that a different colour is added not in the adjacent tone/shade to the primary and secondary materials used. The second and third materials, when combined, must cover no less than 50 square feet of the front elevation. See Highly Visible Lots section below to determine if additional side or rear elevation materials are required. For duplexes and semi-detached, each dwelling must meet or exceed the minimum dwelling material requirements above. The same front elevation shall NOT be repeated on the adjoining dwelling.
- A corner lot with a detached rear garage must comply with conditions 3 and 4 in the Highly Visible Lots section below.
Highly Visible Lots
These controls are in addition to the controls noted in the previous sections. The intention of these controls is to avoid the monotony and the perceived cheapness of large expanses of blank walls on side and rear facades that are highly visible from streets and open spaces. The lots that are relevant to these highly visible lot controls are identified in the map above. The following requirements listed are an absolute minimum. Saskatoon Land reserves the right to require further treatment to any facade in order to satisfy the intentions of the Phase 10 Architectural Controls.
In addition to the front facade requirements, any dwelling elevation which flanks a street or open space:
1. Requires a secondary exterior dwelling material with visually different texture when compared to the primary material. The secondary material must cover no less than one-third (33%) of the elevation defined as the total area of elevation from ground to under the eaves. For the purpose of this calculation, window and door areas shall be subtracted. A third material may also be used provided that a different colour is added not in the adjacent tone/shade to the primary and secondary materials used. The second and third materials, when combined, must cover no less than one-third (33%) of the subject elevation. Horizontal banding of the base of the dwelling is discouraged as landscaping and fences tend to hide the material.
2. Requires the windows and doors to occupy no less than 5% of the elevation defined as the total area of elevation from ground to under the eaves.
3. For corner lots that want a secondary rear detached garage, the garage elevation which flanks a street will require a second exterior material that is comparable to the materials used on the dwelling. The second material must cover no less than 20 square feet of the garage side closest to the lane or must band the top of the garage. If the garage door faces the street, the garage door requires architectural details see number 4 below.
4. Garage doors facing streets are required to meet the controls listed in the Architecturally Significant Garage Doors section above. Added architectural details such as doors and/or windows are encouraged for garage elevations that flank streets.
5. For laned corner lots, all dwellings must be constructed with a rear garage at the same time the dwelling is built. The garage elevation which flanks a street will require a second exterior dwelling material that is comparable to the materials used on the dwelling. The second material must cover no less than 20 square feet of the garage side closest to the lane or must band the top of the garage.
Depending on the quality of the submitted plans, especially those that satisfy only the “minimum” requirements, the Design Review Committee may require more architectural details such as the following:
- Accented walls build-outs or other interruptions in wall planes.
- Window and door accents.
- Break-ups in roof massing or roof lines such as dormers or cross gables.
- Other accents or placement of additional materials and/or colour.
Highly Visible Lot Examples
![]() | ![]() |
| The area of the rear elevation (minus window area) totals 270 square feet. Ninety (90) square feet of stone has been provided, which satisfies the secondary material requirement. One hundred-forty (140) square feet of window/door placement has also been provided, which satisfies the window and/or door placement requirement on highly visible lots. | The area of side elevation (minus window area) totals 300 square feet. One hundred (100) square feet of stone has been provided, which satisfies the secondary material requirement. Forty (40) square feet of window placement has also been provided, which satisfies the window and/or door requirement on highly visible lots. |
![]() | ![]() |
| The garage side that flanks the street has two materials 20 square feet or greater and one window | The garage side that flanks the street has two materials greater than 20 square feet and is installed closest to the lane. |
For more information on lots in Aspen Ridge please review the Aspen Ridge Lot Information Package for more details.
PLAN APPROVAL PROCESS
Saskatoon Land’s approval of dwelling plans is required prior to the submission of a building permit application. Builders are encouraged to meet with Saskatoon Land during the design stage to avoid potential delays.
The following information must be submitted to Saskatoon Land prior to the submission of a Building Permit Application:
- Completed Application Form with garage door image or brochure for attached garages and highly visible garages.
- One digital copy of the dwelling drawing package, including:
- site plan: property boundary, dwelling and garage location, garage pad and apron (if required), driveway and landscaping requirements that extend to the curb on the boulevard;
- floor plans;
- dwelling elevations: all exterior dwelling materials and square footage must be identified on the elevation plans; and
- drawings package should be unlocked and in PDF format.
To avoid delays, application forms and dwelling plans should be submitted to Saskatoon Land well in advance of applying for a Building Permit. Incomplete submissions will be set back or held until the complete application is submitted. Plans will be reviewed for adherence to the architectural controls, and Saskatoon Land may contact the applicant to discuss any required revisions. Plans which do not meet all the architectural controls will be reviewed by Saskatoon Land’s Design Review Committee. The Design Review Committee’s decision is final, and any revisions will be required to be made before approval.
Upon approval of the drawing set, Saskatoon Land will issue an approval letter to the applicant. Following this, builders may apply for their respective Building Permit. At the building permit stage, Saskatoon Land may review the Building Permit drawings again to ensure they are substantially consistent with the plans submitted during the architectural controls review process.
Periodically, Saskatoon Land will inspect the project to ensure it is in substantial accordance with the approved plans. Builders/homeowners will be responsible for correcting any deficiencies to dwelling elevations that deviate from the approved architectural control plans.
All dwellings must pass architectural inspection.
Architectural Control Application Form Please fill out the application form and send via email to: landarchcontrols@saskatoon.ca






































































