Engage
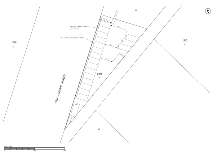
Catterall & Wright has applied for Discretionary Use approval to operate a Temporary Surface Parking Lot in the Downtown neighbourhood. This site is zoned M4 - Core Area Institutional Service District under the Zoning Bylaw, Bylaw No. 9990, 2024 (Zoning Bylaw).
The Zoning Bylaw defines a surface parking lot as a site in the Downtown used for parking motor vehicles on a permanent or temporary basis, with or without compensation, that is located at grade level, is not enclosed or located within a parking structure, and is not located in conjunction with a principal building on the site. A temporary surface parking lot is differentiated from a permanent surface parking lot through development standards related to surfacing and landscaping.
Following approval of the new Downtown surface parking regulations by Council on June 25, 2025 (Bylaw No. 10081), the applicant has indicated that they are applying as a temporary measure in order to continue operating until a suitable future land use has been decided. If the applicant decides to seek Permanent Surface Parking Lot status, a new Discretionary Use application would be required to establish them as this use.
Location Map

Provide Feedback
Questions and comments on this proposal are invited at this time by contacting:
Gavin MacMillan, Planner
306.975.7728