Engage
Discretionary Use Proposal
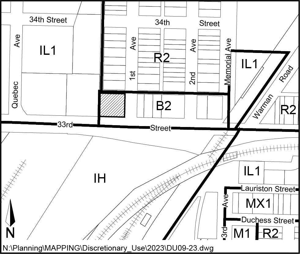
Kimberly Parent has submitted a Discretionary Use application requesting approval to operate a Private School in Unit H/I at 96 33rd Street East in the Kelsey-Woodlawn neighbourhood. This site is zoned B2 - District Commercial District under Bylaw No. 8770, 2009 The City of Saskatoon Zoning Bylaw (Zoning Bylaw). The purpose of the B2 District is to provide an intermediate range of commercial uses to serve the needs of two to five neighbourhoods.
The Zoning Bylaw defines defines a Private School as "a facility which meets Provincial requirements for elementary, secondary, post-secondary or other forms of education or training, and which does not secure the majority of its funding from taxation or any governmental agency, and may include vocational and commercial schools, music or dance schools and other similar schools."
Subject to Discretionary Use approval, Unit H/I at 96 33rd Street East will be permitted to operate as a Private School for up to 30 students at any one time. Unit H/I is currently a vacant unit within the existing Shopping Centre.
The Shopping Centre is required to provide a total of 24 parking spaces. A total of 26 parking spaces have been provided.
Location Map

Provide Feedback
Questions and comments on this proposal are invited at this time by contacting:
Tyler Kopp, Planner
306.986.3639
