News Releases
Saskatoon Fire - News Releases
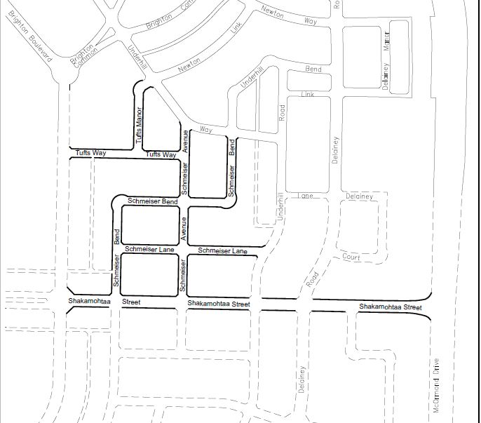
Brighton street name honours Michif language
April 21, 2021 - 3:55am
The City's Naming Committee has selected what is thought to be the first Michif street name in Saskatoon. The name "Shakamohtaa" (shaa-KAM'-moh-TAHH') was assigned to a street in the southeast quadrant of Brighton. “Shakamohtaa” is the Michif word for “connect” and symbolizes the importance of coming together and building relationships.
The Métis in Saskatchewan speak three Michif languages. The most widely known Michif is a Cree-French mixed language composed of Plains Cree (nêhiyawêwin) with some Plains Ojibway (nakawēmowin) verbs/verb phrases and French (with some English) nouns/noun phrases. A world-renowned language, Michif is spoken in all three prairie provinces and into Montana and North Dakota. Michif-French—which is a French-based language blended with an Algonquian syntax—is spoken by the Métis in Batoche/St. Louis, Saskatchewan and in St. Laurent and St. Eustache, Manitoba. Northern Michif—a Cree-based language with a small amount of French word (noun) borrowings—is spoken in the northwest corner of Saskatchewan, with most speakers living in or near Ile-à-la Crosse, Buffalo Narrows, Beauval, and Green Lake. (SOURCE: Gabriel Dumont Institute)
“The Michif language is an integral language to this land,” says Mayor Clark. “While it is long overdue, I am glad we will see the Michif language reflected on this street in Brighton. Imagine the impact for kids growing up in this neighbourhood, living on or near Shakamohtaa Street. They will feel a greater connection to these roots and the beauty of the Michif language.”
Harriet St. Pierre, a Métis Elder who has spent most of her life living in Saskatoon, says: “I am happy that the City of Saskatoon is using our Métis language. It is our Michif language that gives us a community, culture, nation, and sense of belonging – all of which makes us Métis. This makes me very proud to have a street named in our language Michif; it will make a lot of Métis Elders and Nations very happy. It’s a good start to learning more about and understanding our Métis people and culture; I look forward to seeing more like this in the future.”
The Civic Naming Committee is comprised of three members of Council and non-voting administrators who provide support and information. The Committee’s mandate is to review all requests and suggestions for naming municipally-owned or controlled facilities, streets, developments, neighbourhoods and parks. The Naming Committee works with the Diversity, Equity and Inclusion Advisory Committee to ensure there is representation from all segments of our population.
Since street names are selected during the neighbourhood planning stage, the physical street does not yet exist anywhere other than on planning maps. It’s expected that the road will be in place along with its accompanying street sign in about two years’ time. Please see the below map to see where Shakamohtaa Street will be located.

Important information for Commercial property owners: 2022 Amended Assessment Notices, Appeal dates
April 21, 2022 - 3:59am
Over the next week, the City of Saskatoon will be mailing out Amended Assessment Notices to commercial property owners where an update to the assessed value of their property is required for a full year.
“We’ve had several longstanding commercial assessment appeal decisions ruled on by the Court of Appeal and these also affected the Board of Revision in 2021,” says Bryce Trew, City Assessor. “This has led to implications for retail, warehouse and office buildings greater than 5800 square feet.”
Property owners who receive an Amended Assessment Notice will have a 30-Day Assessment Review and Appeal period from the date an Amended or Supplementary Notice is mailed to them in which to file a formal appeal on their property's assessment.
“It's important to note that not all commercial property assessments changed as a result of the recently finalized appeal decisions,” adds Trew. “If an assessment changed in 2022, it could be because of physical alterations to the property such as new builds, additions, renovations, or demolitions, changes in tax status or ownership, and/or a Board of Revision decision.”
Currently, there are Board of Revision appeals from 2021 that are with the Saskatchewan Municipal Board. Appeals filed in 2022 are with the Board of Revision. If decisions from these appeals require further changes to assessment models, property owners will be issued amended notices.
Following the provincially legislated reassessment year in 2021, property owners who since January 1, 2021, had a change in the assessment, tax status, or ownership of their property would have received a 2022 Assessment Notice earlier this year. The 2022 Assessment Roll was open until February 4, 2022, also the deadline to file a commercial or residential 2022 appeal with the Board of Revision. The Province is on a four-year assessment cycle with current property assessments in place from 2021 to 2024.
Visit saskatoon.ca/assessment for more information or contact 306-975-3227 for assessment-related questions. We’re here to help.
We want to hear from you; how are we doing? Civic Satisfaction & Performance Survey open for public input April 19 - May 23
April 19, 2021 - 9:33am
- How satisfied are you living in Saskatoon?
- How satisfied are you with the quality of the services provided by the City?
- What is your perception of quality of life in Saskatoon?
- What do you believe is the most important issue facing the City?
- Your opinions on the City’s performance in various areas such as communications, engagement, online services, community safety, mobility and growth
- Opinions on how the City is doing on delivering 29 different services
- Feedback on civic service priorities
- Preferences on level of service in 12 different areas
- Civic Satisfaction & Performance Survey #1 open April 19- May 23
- Civic Services Survey #2: Performance, Priorities & Preferences
We all know last – and this – year, has been challenging, ever-changing and unprecedented for everyone as we continue to help each other as one community. Many people have spent many days working and even living apart from family, friends and neighbours to protect each other’s health and safety.
The City of Saskatoon is proud to have kept delivering the civic services, programs and communication that residents rely on every day; we are fortunate to have kept service disruptions to a minimum during the pandemic while following guidelines set by the provincial Public Health Orders.
So now -- more than ever – over the course of two surveys we'd like to hear the thoughts and opinions of Saskatoon residents on a wide variety of topics including how we are delivering services, programs, and communication.
The City is conducting two public surveys in the first half of 2021:
These civic surveys are one way the City can check in with residents to gather input and better understand the needs and perceptions of community members. Your survey responses help us identify priority areas, areas where we can continue to improve, and much more.
Both surveys will be conducted through telephone and a professional online panel to collect survey data that is reliable, valid and representative of our community. In addition, the survey is open for public feedback on saskatoon.ca/engage for all interested residents over the age of 18 to participate. The Civic Satisfaction & Performance survey opens today and the survey takes approximately 10-15 minutes to complete.
Saskatoon residents: if you are 18 years old or more you may be contacted over the telephone by a research firm interviewer asking you to complete the Civic Satisfaction & Performance Survey.
The City’s civic surveys were last conducted in 2018. The surveys were scheduled to be conducted in summer 2020 however due to the City's pause on public engagement in response to the COVID-19 pandemic, the surveys had to be delayed until 2021.
Results from the 2021 surveys will be compared to past surveys to determine trends. Review the results of the 2018 Civic Surveys.
Visit saskatoon.ca/engage to complete your 2021 Civic Satisfaction & Performance Survey. Phone inquiries please call 306-975-2476.
Residents Of Saskatoon Area To Benefit From Upgrades To Water, Wastewater And Solid Waste Infrastructure, And Other Community And Green Infrastructure Projects
April 16, 2021 - 4:45am
- Through the Investing in Canada plan, the federal government is investing more than $180 billion over 12 years in public transit projects, green infrastructure, social infrastructure, trade and transportation routes, and Canada's rural and northern communities.
- In Saskatchewan, the Government of Canada has invested more than $773 million in more than 450 infrastructure projects since 2015 under the Investing in Canada Plan.
- Investing in Canada: Canada's Long-Term Infrastructure Plan http://www.infrastructure.gc.ca/plan/icp-publication-pic-eng.html
- Investing in Canada Plan Project Map http://www.infrastructure.gc.ca/map
- Federal infrastructure investments in Saskatchewan https://www.infrastructure.gc.ca/plan/prog-proj-sk-eng.html
Canadians everywhere have felt the impact of COVID-19 on their families, their livelihoods, and their way of life. Canada and Saskatchewan have worked together to ensure health and safety, support families and businesses, and sustain local economies. Investments in infrastructure for the Saskatoon area during this extraordinary time provide an opportunity to make public facilities and utility networks more sustainable, improve the environment and quality of life, and create jobs at a time when they are needed most.
Today, Jim Carr, the Government of Canada's Special Representative for the Prairies, on behalf of Catherine McKenna, Minister of Infrastructure and Communities, Saskatchewan's Government Relations Minister Don McMorris, and City of Saskatoon Mayor Charlie Clark, announced more than $102 million in joint funding for 11 green infrastructure and COVID-19 resilience projects.
The green infrastructure projects include upgrades to drinking water and wastewater systems, improvements to solid waste management, sidewalk expansion, and a new solar power plant. Several of those projects will help provide long-term reliable services to local communities while also contributing to a reduction in greenhouse gas emissions.
Three projects are receiving funding under the new COVID-19 Resilience Stream. Among those, the Meewasin Trail Enhancements project will increase the capacity and accessibility of the Meewasin trail network, which has seen an important increase in usage since the start of the pandemic. The Kinsmen Riverfront, Downtown Core, Southwest and River Heights sectors will all be expanded, and new equipment will be added to increase visitor safety and comfort.
Providing communities with reliable, ecofriendly, and sustainable infrastructure is a shared priority for both governments. The Government of Canada is investing more than $41.1 million in these 11 projects through the Investing in Canada Infrastructure Program. For the projects requiring consultations with Indigenous groups, funding is conditional on all consultation requirements being met. The Government of Saskatchewan is investing more than $34.3 million toward these projects. The City of Saskatoon is providing $25.8 million to support seven of these projects.
"Through our collaboration with our provincial and municipal partners, we are funding important infrastructure projects in Saskatoon," said Carr. "With the COVID-19 Resilience Stream, we are also responding to the impacts of the pandemic through flexible and accelerated investments in key infrastructure upgrades as quickly as possible. The funding announced today will help communities build back better, create jobs, and build cleaner, more inclusive communities."
"The Government of Saskatchewan is proud to be directly investing more than $34.3 million into the City of Saskatoon and the surrounding area," McMorris said. "Infrastructure projects like these, not only protect the local economy as it recovers from the affects of the COVID-19 pandemic, but also helps build a strong and growing province."
"These investments of more than $100 million come at a crucial time for helping drive economic recovery and helping position the Saskatoon region for a strong future," Clark said. "Our community is very grateful for this support from both the Federal and Provincial Governments. These projects will improve our core infrastructure and ability to provide services, help make Saskatoon build toward a more sustainable lower-carbon future, and promote more health and activity for families."
"On behalf of Meewasin's board, staff and the broader community, we want to thank the Provincial and Federal governments for making investments into important trail infrastructure," Meewasin Board of Directors Chair Colin Tennent said. "The Meewasin Trail network is built with goals for the lowest possible environmental impact and highest standards for safety and accessibility. Meewasin recorded almost two million visits in 2020, seeing increased demand during the pandemic. The planned enhancements are invaluable outdoor spaces where community members and future visitors can stay active, learn about the environment, and experience nature that supports physical and mental wellbeing."
Quick facts:
Backgrounder:
Associated links:
City Explores Non-Traditional Funding Strategy To Realize Its Vision for Downtown Saskatoon
April 14, 2021 - 10:40am
- A new entertainment facility/arena
- A convention centre
- A high functioning transit system (including Bus Rapid Transit)
As the City continues to finalize its vision of a vibrant Downtown into the future, some key components are clear and will require:
Other Downtown priorities include upgrades to roadway, walking and cycling infrastructure, Fire Hall #1 replacement, advancement of the outdoor festival sites along the riverbank, and reducing homelessness.
Achieving this vision of enhanced vibrancy Downtown is fundamental to the City’s future success. We have been and continue to be a destination city because of the vision and amenities put in place by our predecessors. Approximately 50 years ago, the train station became Midtown Plaza, Sid Buckwold Bridge opened, and the Meewasin vision became a reality. This is a similar moment in the City’s life, planning for a Downtown that will meet the needs of the future. To maintain our competitive advantage and position, we must continue to provide world class amenities that support our quality of life and our economic foundation.
In a report for the Governance and Priorities Committee, three main projects -- an arena, a convention centre, and the Bus Rapid Transit (BRT) system -- are outlined as key priorities with the potential to transform Downtown, boost our economy, and further increase our attractiveness and improve our quality of life.
“Sasktel Centre and TCU Place are both nearing the end of their useful service lives and, without substantial renovations, cannot maintain market competitiveness in their current state,” says Lesley Anderson, Director of Planning and Development.
“Locating a new arena Downtown would have many mutual benefits for other major facilities such as the convention centre, and existing Downtown attractions including dining, hotels, and retail – creating the conditions for a fully-animated event and entertainment district.”
“A Bus Rapid Transit system, which has already received City Council approval to proceed, is an integral piece of building a successful and thriving entertainment district in Downtown Saskatoon,” notes Dan Willems, Director of Technical Services.
“Advancing a plan to provide core entertainment amenities located in Downtown which are supported by a rapid, reliable transit system will strengthen our position as a destination city.”
Construction of these types of amenities has been accomplished in many other jurisdictions through use of multiple funding streams, many of which have not been used before in Saskatoon. Examples of funding tools used elsewhere for similar projects include taxes on hotel room and other short-term accommodation rentals, motor vehicle rental charges, and tax increment financing, to name a few. Exploration and implementation of non-traditional funding sources will be key to achieving the vision of Saskatoon’s future in a way that minimizes reliance on property tax.
The Administration estimates that over a 25 year-period, there will be the potential for significant revenue generated to offset the need to rely on property taxes for these projects. These sources include a combination of new possible revenue streams and existing funding, such as the Investing in Canada Infrastructure Program contributions expected from all three levels of government. This combination of funding would be more than enough to cover the estimated costs of a new downtown arena, upgraded convention centre, and BRT.
“The aim of this funding/financing strategy is to minimize contributions from property taxes to pay for the bundle of sub-projects within this transformational project. It also attempts to improve fairness by generating revenues from those who benefit from the amenities, particularly, non-residents who tend to benefit from tourism-based infrastructure,” says Mike Jordan, Chief Public Policy and Government Relations Officer.
“However, achieving this outcome requires a substantial long-term investment and a partnership between the City, other orders of government, and industry.”
The report will be presented to GPC at its April 19 meeting.
City Council and Committees to resume in-person meetings in April
April 8, 2022 - 7:34am
After more than two years, Saskatoon City Council and its Committees will resume in-person meetings in April and will reopen Council Chamber to the public. Meetings have been conducted virtually online since shortly after the onset of the COVID-19 pandemic.
“With COVID-19 restrictions lifting, it’s exciting to welcome back Council members and members of the public to attend City Council proceedings in Council Chamber or to other public committee meetings,” says Adam Tittemore, City Clerk. “While there are no COVID-related restrictions or a capacity limit in Chambers at present, public visitors may still choose to physically distance themselves and or wear an optional face-covering.”
Meeting participants and the public will have the option to attend upcoming meetings in person or virtually from another location. City Council proceedings will continue to be made available for public viewing via a live stream video link.
To add greater accessibility to City Council’s live-streamed video of public meetings, the City has added a closed captioning service whereby people with impaired hearing can toggle the “cc” icon on or off to make text appear on the screen below the video. Closed captioning may at times convey inaccurate spellings or words interpreted incorrectly due to the technology or speaker. “The City is committed to providing an open municipal government and this includes adding accessibility supports to best serve all members of the community,” adds Tittemore.
Visitor Screening Procedures introduced pre-pandemic will also be in place, including the visual bag inspection, for the public attending Council Chambers for City Council or Committee meetings. This safety measure is the City’s commitment to making Council Chamber as open, accessible and secure as possible for all visitors and City employees.
Helpful Links
Interacting with City Council & Committees
Watch live-streamed video of public City Council meetings
Visit saskatoon.ca .
Funding Increase Proposed for Saskatoon SPCA
April 8, 2022 - 2:44am
A recommendation to increase funding to the Saskatoon SPCA (SPCA) for pound services in 2022 will be presented to the Standing Policy Committee on Planning, Development & Community Services at its meeting on Tuesday, April 12.
The City of Saskatoon and the SPCA have had a longstanding relationship to ensure pound services – the capture and hold of stray companion animals for up to 96 hours – are available to the residents of Saskatoon. The SPCA is an organization able to provide pound services and is also suited to provide extra animal services such as pet adoption, animal shelter and education programs.
Through a lease agreement* and Pound Services Agreement, the SPCA provides pound services for the City. In turn, the City permits the SPCA to provide its own extra animal services out of the City-owned facility on Clarence Avenue South. Beyond the 96 hours required under the Pound Services Agreement, the animals then transition to the subsequent shelter services, which have always been fully funded by the SPCA.
A recent review of the current funding structure for pound services delivered by the SPCA was undertaken collaboratively by the City and SPCA Administration and determined that the total amount allocated in the 2022/2023 Operating Budget for pound services is not meeting the current costs to deliver the program. Administration is recommending a 50 per cent increase in total funding to the SPCA for pound services in 2022 to $698,000 to more accurately reflect the cost of the pound services operations.
“We know that the SPCA has the experience and expertise to provide adequate animal care to animals dropped off at the pound, and an increase in funding will allow the City and the SPCA to continue this longstanding relationship to ensure pound services are available to the residents of Saskatoon,” says Lynne Lacroix, General Manager, Community Services.
If approved, Administration will continue working with the SPCA to determine the actual funding required to deliver pound services for 2023 and will also review funding options and service level changes that may be implemented which could reduce the costs associated with pound services. A report on a detailed plan and future level of funding would be presented in advance of the 2023 Budget approval.
For more information on pound services provided in the City of Saskatoon, visit https://www.saskatoon.ca/services-residents/pet-licensing-animal-services/enforcement.
*In 2005, when the SPCA was experiencing financial difficulties and needed help to address the situation, they approached the City about purchasing their land and building to provide some much-needed funding for operations and ensure the ongoing provision of pound services for Saskatoon. The City agreed to the purchase and in addition, invested $100,000 into capital improvements to the facility.
Dedicated funding and financial strategy help offset 2020 deficit
April 7, 2021 - 10:35am
With the help of careful spending and provincial and federal financial support, the City will be able to cover a $701,813 deficit with a transfer from the Fiscal Stabilization Reserve.
Details of the financial strategy’s outcome are in a report for the City’s Standing Policy Committee on Finance April 12 meeting. The report outlines the 2020 fiscal year-end subject to the confirmation of the external audit.
“Without a doubt, 2020 was a challenging year for the City,” says Kari Smith, Director of Finance. “The COVID-19 pandemic, a major blizzard, implementation of our new FUSION Enterprise Resource Planning system and the 2020 civic election all presented significant financial impacts on our operations and organization.”
“Through the assistance of the provincial and federal governments and the results of our discretionary hiring and spending restrictions throughout most of 2020, the Administration made some astute fiscal projections given the information we had on hand at the beginning of the pandemic.”
2020 Preliminary Year-End Financials at a Glance
The deficit remaining for the year ended December 31, 2020, is $701,813, which the Administration recommends being funded from the Fiscal Stabilization Reserve. Included in this deficit is the $15 million reduction in the transfer to the Paved Roadways Infrastructure Reserve by using the Municipal Economic Enhancement Program (MEEP) funding to replace the reduction of the reserve contribution for the Paved Roadways program. This also assumes that the following recommended items will be approved by City Council:
• The transfer from the Snow and Ice Management Contingency Reserve as per Council Policy No. C03-003 in the amount of $3,453,144; and
• Waiving the transfer to the Internal Audit Program Reserve for $316,740.
“We view the 2020 Preliminary Year-End Financials as having a successful overall result, considering the extensive costs incurred due to cleanup of the 2020 blizzard, which resulted in the Snow and Ice Program being more than $10 million overspent, all included as part of the 2020 year-end figures,” Smith says.
The Administration recommends the City’s Fiscal Stabilization Reserve be used to cover the remaining $701,813 deficit leaving just over $4 million in that reserve.
The transfer of funds to the Fiscal Stabilization Reserve is an annual process based on Council Policy. It helps offset any tax-supported operating deficits incurred in a year.
“Several of the challenges presented to the City proved difficult to predict, given we had no previous historical data to rely on. We will continue our prudent fiscal management, accountability, and transparency, which will allow for the strengthening of this important Reserve as we navigate 2021 and the ongoing economic impacts of the pandemic,” adds Smith.
City utilities posted surpluses and the Saskatoon Police Service was under budget by $914,000. All three of the controlled corporations (SaskTel Centre, TCU Place, and Remai Modern) were able to cover their deficits through their own means, having no impact on the City’s year-end results.
View Preliminary Year-End Results Year Ending December 31, 2020
View all surpluses and variances within the Detailed Overview of Preliminary Year-End Financial Results
Visit saskatoon.ca
City recommends permanent closure of Meadowgreen Recycling Depot
April 7, 2021 - 10:05am
Following continuous public safety concerns from illegal dumping, scavenging, nuisance and criminal behaviour, the City Administration recommends a permanent closure of the Meadowgreen Recycling Depot located at 22nd Street & Whitney Avenue. The proposal is presented in a report going to the Standing Policy Committee on Planning, Development and Community Services on Monday, April 12.
The Meadowgreen Local Area Plan (LAP) approved by City Council in June 2017 included 25 recommendations as a result of input from over 90 residents, stakeholders and 50 members of City Administration. One of these recommendations addressed the north back lane of the 2700, 2800 and 2900 blocks of 21st Street West (adjacent to the Meadowgreen Recycling Depot) as an area that experienced nuisance conditions and criminal activity; many of which are related to the depot.
As a temporary measure, the City recently reduced operating hours, installed fencing around the site, and implemented 24/7 security surveillance.
“We regret that it has come to this, but ongoing issues have left us with no choice but to recommend permanent closure,” says Lynne Lacroix, General Manager Community Services. “The actions of some individuals have led to the possibility of removing a public facility that allows well-intentioned residents to responsibly divert their recycling from the City landfill.”
“Unfortunately, we can no longer commit the resources required to maintain the site, keep residents safe, and uphold the appearance of the lanes adjacent to the depot; nor do we wish to enable nuisance or criminal activity in any way,” says Lacroix.
The closure and partial remediation of the site are estimated at $8,000 and could be carried out immediately following a final decision by City Council on Monday, April 26.
“We fully expect that the positive social implications of this closure for the Meadowgreen area and its residents will far outweigh the financial and environmental implications,” says Angela Gardiner, General Manager Utilities & Environment.
Review the Meadowgreen Recycling Depot Closure report and attachments here. Updates will be shared as they become available.
Residents are encouraged to make use of the other 24/7 recycling depots throughout the city in addition to their residential curbside and multi-unit recycling bins. Alternate recycling depots are listed at saskatoon.ca/recyclingdepots.
City of Saskatoon awarded 14th consecutive financial reporting award
April 7, 2022 - 8:42am
For the 14th consecutive year, the City of Saskatoon has won the Canadian Award for Financial Reporting (CAnFR) from the Government Finance Officers Association (GFOA) of the United States and Canada.
The CAnFR award, presented for the City’s 2020 Annual Report, represents a significant accomplishment for municipal government and its financial management. The award recognizes the City’s commitment to high standards and excellence in financial transparency and accountability.
“We are committed to financial transparency and openly communicating to the citizens of Saskatoon with full disclosure in our annual reporting,” says Kari Smith, Director of Finance. “We are proud to receive this award and proud of our employees who are dedicated to making the City of Saskatoon a leader in producing high-quality financial reports year after year.”
The City’s 2020 Annual Report has been judged by impartial Canadian Review Committee members to meet the high standards of the program, including demonstrating a constructive “spirit of full disclosure” designed to clearly communicate the municipality’s financial story and to motivate potential users and user groups to read the report.
The Canadian Award for Excellence in Financial Reporting Program (CAnFR) was established to encourage municipal governments across Canada to publish high-quality financial reports and to provide peer recognition and technical guidance for officials preparing these reports.
Visit saskatoon.ca to view additional financial reports from the City of Saskatoon.
New pay parking app planned to launch in June
April 6, 2022 - 4:30pm
The vendor of the City’s current pay parking application (app), WayToPark, will be releasing a new app in June called Parkedin. Beginning July 1, Parkedin will officially replace WayToPark as the City’s app-based parking payment service.
The Parkedin app will be available for public download and use starting June 1. Both WayToPark and Parkedin will be available in tandem during a transition period from June 1 to June 30, 2022.
The new Parkedin app will operate and function similar to the WayToPark app, with some additional features such as the ability to pay for parking by scanning a QR code on the nearest pay station as well as support for debit payments.
“Our Parking Services team is looking forward to the implementation of the new app to provide an improved offering for customers and to ensure that there is no service disruption.” says Matt Grazier, Director of Community Standards.
A report on proposed amendments to the Traffic Bylaw to facilitate usage of the new app will be presented to the Standing Policy Committee on Transportation on Monday, April 11.
For more information on Pay Parking, visit saskatoon.ca/payparking.
Targeted financial plan & use of reserves recommended to offset 2021 preliminary deficit
April 6, 2022 - 10:25am
- $3.71 million from the reallocation of Canada Community Building Funds originally put into contingency for this specific purpose;
- $1.72 million through a one-time increase from the Water Utility Return on Investment (ROI); and
- $1.11 million to be transferred from the Fiscal Stabilization Reserve.
- Saskatoon Light & Power (SL&P) reported a surplus of $4.49 million.
- Saskatoon Water reported a year-end surplus of $3.63 million.
- Wastewater Utility reported a year-end surplus of $2.74 million.
- Storm Water Management Utility reported a year-end surplus of $345,485.
- Waste Services Utility reported a year-end surplus of $1.04 million.
- the Police Board was under budget by $860,000, this is included in the preliminary year-end deficit.
- SaskTel Centre and TCU Place posted preliminary deficits of $3.96 million and $3.37 million respectively, to be balanced through contributions from their facility and capital reserves.
- Remai Modern posted a preliminary surplus of $310,526.
The City of Saskatoon has released its 2021 preliminary year-end financials showing a $6.54 million deficit in the civic operating programs and a $12.25 million surplus in the utility programs, before year-end audit confirmation.
Although last year brought ongoing change and uncertainty, the City remained dedicated to the delivery of core services residents rely on while continuing to find corporate-wide savings and reduce overall spending. Through the saving strategy, the City reduced training budgets and carefully examined discretionary spending to help make up for reduced revenue and other budget pressures arising from the pandemic. Fuel savings also helped reduce the deficit.
Under provincial law, municipalities are not allowed to operate with a deficit. On April 12, 2022, the City Administration will present a report to the Standing Policy Committee on Finance (7.2.4) that sets out the City’s financial strategy to offset this deficit.
“The preliminary $6.54 million deficit represents a variance of just over one per cent from the City’s overall Civic Operating Budget of $546.6 million,” says Director of Finance, Kari Smith. “Our shortfall is largely the result of snow & ice removal costs resulting from the November 2020 blizzard, higher than anticipated Information Technology costs, and lower than budgeted operating revenues. I’m confident in the well-laid financial plan and strategy Administration is recommending to address the preliminary deficit, and importantly, it won’t impact our future service delivery to residents.”
The Administration is recommending the deficit of $6.54 million be funded by:
“While the City has continued to face significant non-tax revenue challenges in user fees and our other forms of revenue have remained flat or decreased year over year, it is important to recognize that several of our businesses also achieved surpluses in 2022 including Saskatoon Light & Power and Saskatoon Water,” Smith says.
2021 Preliminary Year-end Yields Surplus Utility-Related Results
In addition to the utility posted surpluses:
The City’s Financial Position Remains Future Healthy
The City’s overall and future financial standing continues to be strong and sound, having its ‘AAA’/Stable credit rating reaffirmed by S&P Global in January 2022. In planning for a bright and sustainable future, the City is committed to finding year-over-year increased operational efficiencies, creating greater savings across the organization and recovering from the financial impact of COVID-19.
The external audit of the 2021 financial statements is expected to be completed in June 2022. Following the external audit, the audited financial statements will be presented to City Council for approval. At that time, the year-end financial results will be confirmed or adjusted based on the recommendations of the external audit and presented in the 2021 Annual Report later this year.
Roof Repaired on 137-year-old Marr Residence
April 1, 2022 - 10:00am
The roof of the 137-year-old Marr Residence was replaced after a leak was identified in 2020. City Council approved a plan to use the capital expenditures reserve, grant funding from the Saskatchewan Heritage Foundation, as well as donations from the public to fund the repairs and build capital for any future maintenance of the building.
“The generous donations and support from the public and the grant from the Saskatchewan Heritage Foundation were essential to the successful completion of this project,” says Troy LaFreniere, Director of Facilities Management. “The oldest building in Saskatoon on it’s original site, an important heritage site for our community can continue to be maintained for many years to come for residents of Saskatoon and visitors to enjoy.”
The entire roof of the Marr Residence was removed and replaced as well as replacement and repair of rotten wood, soffit and facia. The roof was rebuilt to match the prior structure to maintain the character and heritage of the building. The total cost of the project was $88,689. With the new roof, the building remains in a good state of repair.
“We’re so grateful for the generosity of all those who have donated to the project as the Marr Residence is a piece of history in our City and such an important part of Saskatoon’s story,” says Della Marshall, volunteer board chair for the Marr Residence. “We welcome everyone back to the house.”
City unveils new and improved Boulevard Garden guidelines
March 31, 2021 - 4:30pm
- Photos and diagrams have been added for easy understanding. Readers will also find clear information on how far their gardens need to be from trees and streets.
- Temporary raised beds and other moveable containers/structures are now permitted during the gardening season, but must be removed by October 15th.
Saskatoon’s Boulevard Garden guidelines have been refreshed and are now available on the City’s website. Accompanying the Guidelines is a proposed expansion of the program to additional spaces, such as centre medians, which will be presented to the Standing Policy Committee on Environment, Utilities and Corporate Services on April 6, 2021.
“The updates to the guidelines will provide more clarity, encourage residents to join the program, and ensure fairness among neighbours and gardeners,” explains Jeanna South, Director of Sustainability. “Gardening can reduce stress, provide food for ourselves or for pollinators, and is an outdoor activity that can be done alone or distanced, which is especially important during the COVID-19 pandemic,” she adds.
Two noteworthy updates to the guidelines include:
Earlier this year, public engagement was conducted and two online surveys were completed by more than 1,800 residents. The response to the surveys indicated a very high interest in gardening on additional public land, not just boulevards. Because of this, the option to expand to centre medians and assess additional opportunities for expansion is being presented to the Committee on April 6.
The updated guidelines reflect safety, maintenance, and community stewardship throughout and can be found at: saskatoon.ca/boulevardgardens.
Climate Action Progress Report measures City’s progress on reducing greenhouse gas emissions
March 31, 2021 - 4:00pm
- The Home Energy Loan Program will enable Saskatoon residents to invest in energy improvements for their homes, while saving money, reducing GHGs, and stimulating our economy.
- The Bus Rapid Transit initiative, once built, will make it easier for Saskatoon residents to get around using Transit and reduce transportation-related emissions.
- A feasibility study is underway for a utility-scale solar facility and, if the results of the study indicate it will be effective, is expected to be constructed within the next year. This will generate renewable energy and offset community electricity use.
- An electric vehicle pilot project is underway to test the effectiveness of electric vehicles for the City’s fleet.
A report headed to the Standing Policy Committee on Environment, Utilities and Corporate Services will outline the advances the City has made toward greater sustainability and lower greenhouse gas (GHG) emissions. Climate Action Plan: Progress Report 2020 (2020 Progress Report) will be presented to the committee on April 6, 2021. It is a culmination of progress that has been made on the Climate Action Plan, which includes The Low Emissions Community Plan and the Corporate Climate Adaptation Strategy.
“This report summarizes Saskatoon’s GHG emissions from 2019 and tracks the progress of the LEC and Adaptation actions that started in 2020,” says Jeanna South, Director of Sustainability. “While it’s too early to see significant greenhouse gas reductions, it’s important to stress that these first steps, including strategies, feasibility studies, and pilots, lay the groundwork to increase future emissions savings.”
According to the report, emissions belonging to the City have increased, while Saskatoon’s overall community emissions have decreased. The LEC Plan is a 30-year roadmap with 40 actions and was received by Council in late 2019. The 2020 Progress Report finds that some actions have progressed as scheduled, while others are not yet meeting the pace set in the plan.
Angela Gardiner, General Manager of Utilities & Environment, says it will take a bit of time before more benefits are noticeable. “While we have a number of initiatives under way or in early development, the results won't be seen until they are fully implemented. For example, Saskatoon Light & Power is replacing streetlight fixtures with LED technology. To date the project has realized savings of 179 tonnes of carbon dioxide emissions with estimated savings of 5,500 tonnes annually once all 17,000 fixtures have been replaced.”
A few more initiatives that are underway, but haven’t yet shown their impact include:
The report also provides an update on progress made towards the actions identified in the Corporate Climate Adaptation Strategy, that relate directly to initiatives the City of Saskatoon should implement to improve its resiliency to the impacts of a changing climate.
For more information, or to view the 2020 Progress Report, please visit: saskatoon.ca/climatechange.
Council lifts mask requirement for City facilities, maintains masks for Transit
March 28, 2022 - 10:58am
City Council continues to guide the City of Saskatoon’s response to COVID-19 in the community to protect the health and safety of residents and customers, following the provincial government's previous decision to lift provincial Public Health Orders.
At its meeting today, City Council considered a monthly COVID-19 update on masking in City facilities and Saskatoon Transit. Council approved a transition from a mandatory to discretionary approach for masking in City facilities. As noted in the February 8, 2022 City Council resolution, the City extended the masking requirement in City facilities beyond the expiration of the Public Health Order as a temporary measure to help transition the community to a new COVID-19 environment.
As of Monday, April 4, people accessing City facilities, including City Hall, Leisure Centres, indoor arenas, golf course buildings, indoor spaces at the Saskatoon Forestry Farm Park & Zoo and the downtown Saskatoon Transit Customer Service Centre are no longer required to wear a face mask. Masks are welcome and will be available upon request.
Masks will continue to be required when travelling on Saskatoon Transit vehicles. Mask education will continue with riders through signage and interior and exterior audible announcements on each bus. Masks will continue to be made available to Transit customers.
The Saskatoon Emergency Management Organization continues to monitor the COVID-19 impacts on City staff and services in accordance with the COVID-19 Response Levels. A monthly update will be presented at the next meeting of City Council in April.
For the latest updates, visit saskatoon.ca/covid-19.
Downtown Event & Entertainment District Advisory Group named
March 28, 2022 - 11:30am
-
Ali Abukar – CEO, Open Door Society
-
Bertrand Bartake – Architect, Kindrachuk Agrey Architecture
-
Alisha Esmail – CEO/Owner, Road Coffee Inc.
-
Geri Fernet – Retired Business Proprietor
-
Shawna Nelson – Hotel Marketing/Management, James Hotel
-
Stephen Yee – Product Manager, Andgo Systems
-
Saskatoon Tribal Council – Tribal Chief Mark Arcand
-
Métis Nation-Saskatchewan Western Region 2A – Kathie Pruden-Nansel
-
Downtown Business Improvement District – Brent Penner
-
Riversdale Business Improvement District – Randy Pshebylo
-
Tourism Saskatoon – Stephanie Clovechok
-
North Saskatoon Business Association – Keith Moen
-
The Greater Saskatoon Chamber of Commerce – Jason Aebig
As the City moves toward the development of a Downtown Event and Entertainment District, anchored by a new arena and a new or renovated convention centre, the Downtown Event and Entertainment District Advisory Group has been established to foster connections between business, community partners, the provincial government and the City to support the successful implementation of the project.
Planning for the development of a Downtown Event and Entertainment District is in the preliminary stages, with the current phase focused on the selection of a future site location for a new arena. While the City will retain overall ownership of these new facilities and infrastructure once constructed, numerous community partners, key project partners, and sponsors will be integral in driving the successful development and delivery of the project.
“Having key community agencies represented on the Advisory Group will be tremendously important for the successful development and funding of this project,” says Dan Willems, Director of Technical Services. "In addition, having representation from the Province of Saskatchewan provides a reasonable balance of designated agency representation.”
The open call for public applications to the Advisory Group resulted in an overwhelming response, and the Governance and Priorities Committee sincerely thanks all valued applicants for their interest. In considering the applications, the Governance and Priorities Committee recommended expanding the number of public representatives from five to six to capture a slightly broader cross-section of the community, while agreeing that the Advisory Group’s overall size and composition need limits to allow for the work of the group to be conducted efficiently and effectively.
At its meeting Thursday, March 24, the Governance and Priorities Committee of City Council recommended appointment of the following individuals to serve as public representatives on the Advisory Group:
The Committee also accepted the Province of Saskatchewan's recommendation for Ken Cheveldayoff, MLA for Saskatoon Willowgrove, to serve as the Province of Saskatchewan's representative, joining the Advisory Group’s previously appointed agency representation:
Council representatives on the Advisory Group are Mayor Charlie Clark, Councillor Troy Davies and Councillor Cynthia Block. Councillor Block and Councillor Davies will be the co-chairs of the Advisory Group.
The recommended appointments will be formally approved by City Council at its meeting on Monday, March 28.
More information about the Downtown Event & Entertainment District project can be found at saskatoon.ca/entertainmentdistrict.
Public safety concerns forcing modified operations for Meadowgreen Recycling Depot
March 23, 2021 - 3:00pm
- Lawson Heights (Primrose Drive by the Lawson Civic Centre)
- University Heights (Lowe Road behind Fire Station #9)
- Lakewood (McKercher Drive by the Lakewood Civic Centre)
- Cosmopolitan Industries (1300 block Ontario Ave.)
- Loraas Recycle (1902 1st Ave. North)
The City of Saskatoon will be introducing new measures at the Meadowgreen Recycling Depot (22nd Street & Whitney Avenue) in hopes of mitigating the ongoing public safety concerns and illegal dumping. Beginning Friday, March 26 the depot will be operating under reduced hours from 7 a.m. to 9 p.m. daily, with gates locked after hours to prevent entry. The depot will also be under security surveillance at all times.
“It’s unfortunate that it’s come to this, but ongoing issues have left us with no choice but to take these measures,” says Angela Gardiner, General Manager Utilities & Environment. “While we recognize that many residents make use of this depot with the good intention of diverting their waste, the ongoing behaviour by some residents has resulted in unfavourable site conditions. We take the health and safety of residents and our crews very seriously and will continue to monitor the depot to assess whether additional long-term measures are necessary.”
The City reminds residents that Waste Operations crews visit the recycling depots several times per week to conduct collections and site clean-up.
Residents are encouraged to also make use of other 24/7 recycling depots throughout the city, including:
Administration will deliver a formal report to City Council in April to discuss this matter.
Future updates on the Meadowgreen Recycling Depot will be made available at saskatoon.ca/recyclingdepots.
Prairieland Park separate business, neither City nor Council controlled: Solicitor
March 22, 2021 - 7:54am
- The City has a long-term lease with Prairieland Park for land, and until the lease expires the City cannot unilaterally make changes to the lease terms.
- The 50-year lease is $100 per year until April 30, 2045, but Prairieland Park has the option to renew the lease until April 30, 2065.
- The City purchased the current site of Prairieland Park in 1908 and while the name has changed over the years, Prairieland Park has continuously occupied the site since that time.
- The lease allows for a wide range of uses and the City believes that Prairieland Park is in compliance with the terms of the lease.
- The lease requires Prairieland Park to obtain the written approval of Council prior to the construction of additional development on the land. This provision does not give the City the ability to make business decisions at Prairieland Park.
- Council only approves the construction of additional development on the land.
- Saskatoon Prairieland Park Corporation is exempt from taxation.
- Any tax exemption granted to Prairieland Park is the result of a specific exemption in provincial law –The Cities Act. The City of Saskatoon is required to follow the provisions of the provincial legislation.
- Under Bylaw No. 7978, the Amusement Tax Bylaw, Prairieland collects amusement tax as part of the admission to the annual exhibition at Prairieland. In 2019 this amount was $71,000.00. The City then pays that back to Prairieland to allow the corporation to make capital improvements to the property that Prairieland owns.
- Currently, the bylaws of Prairieland allow for the City of Saskatoon to appoint one person to the Board. Historically, Council has appointed a member of Council to sit on the Board.
- Appointments by Council are a matter of public record. At all times material to this discussion the members of Council on the Prairieland board were appointed as representatives of Council.
- The Cities Act contains conflict of interest provisions. The Act specifically states that a member of Council does not have a financial interest so as to create a conflict of interest in the following situations:
- By reason of being appointed as the representative of the Council on another body; or
- That the member may have by being a director of a non-profit organization.
- The City has not identified any Zoning Bylaw contraventions at Prairieland Park and does not intend to take further action under The Zoning Bylaw.
The City Solicitor today outlined Prairieland Park is not operated by the City nor does City Council direct or control the business decisions of Saskatoon Prairieland Park Corporation (Prairieland). At the regular business meeting of Council Monday afternoon, Cindy Yelland further explained Prairieland is a non-profit and external third-party corporation not created by the City of Saskatoon.
Yelland was responding to an inquiry from Coun. Bev Dubois during the question period portion of the agenda.
“Saskatoon Prairieland Park Corporation is an external corporation and is not created by the City of Saskatoon, and as such, the City has no say with respect to the operation of the facility at Prairieland Park including Marquis Downs. What the City does have is a lease for the land at Prairieland Park and there is a wide range of uses that are available to Prairieland Park under that lease and everything we’ve seen to date, Prairieland Park is in compliance with the in terms of their lease,” Yelland said.
Ever since Prairieland announced horse racing would end at Marquis Downs in favour of pursuing a professional soccer team in the Canadian Premier League, Coun. Dubois said many in the community had questions about the operation of Prairieland Park Corporation.
Other key points:
Saskatoon has a lot to celebrate during Canada Water Week
March 21, 2022 - 2:23am
Canada Water Week (March 21-27, 2022) is a national celebration of water that is held annually to coincide with World Water Day on March 22.
“Saskatoon has a lot to celebrate and be proud of when it comes to our water,” says Pam Hamoline, Interim Director of Saskatoon Water. “Not only does our city have one of the highest quality water supplies in North America, but right now we have several projects in motion to ensure we continue to deliver a high quality and safe drinking water product.”
During Canada Water Week, the City is featuring some of those initiatives in a social media campaign, like the new McOrmond Drive Reservoir and Pump Station, Transfer Pumping and Electrical Upgrades project and Spadina Lift Station project, while also educating about our water source and how it gets into and out of our homes.
“Every day, we turn on our taps and flush our toilets without always thinking about where the water is coming from, how it reaches our homes and what happens to it when we’re done with it.”
The theme for World Water Day on Tuesday, March 22 is Groundwater. While Saskatoon’s drinking water is sourced from the South Saskatchewan River, Hamoline says protecting this important underground water resource is vital.
“What we as residents do above ground, matters underground. For example, we should be mindful of what we put on our lawns and gardens and what may be draining down the city’s storm sewers.”
Keep an eye on the City of Saskatoon’s Facebook, Twitter and Instagram this week to learn more about Saskatoon’s water system, our groundwater resource, and some of the big water and waste water projects underway.
Suspicious fire destroys play structure: safety concerns prompt removal
March 19, 2021 - 7:39am
The play structure in Meadowlark Park was destroyed Thursday, March 18 by a deliberately set fire.
Just after 7 o’clock that morning, firefighters went to the playground which is near the south end of Clarence Avenue along Calder Crescent. When they arrived, they discovered the structure in flames.
After it was out, a Fire Inspector was later called to investigate. The incident has also been reported to the Saskatoon Police Service arson unit.
There is evidence of flames over 2 metres high and the use of an accelerant such as gasoline or diesel. Further evidence shows the fire was kept burning with accelerants as plastic components that contain fire retardant have been completely melted.
The damage is so extensive the entire structure is not safe. City Facilities staff will immediately take steps today and tomorrow (Saturday) to remove the entire structure.
The area will be made safe and leveled until a plan for replacement structures can be finalized.
Replacement options are currently being investigated and the community will be updated as these plans are developed.
Anyone with information about this incident is encouraged to call the Saskatoon Police Service, or the Saskatoon Fire Department.
Council hiring committee recommends Adam Tittemore for City Clerk
March 17, 2021 - 11:33am
The City Clerk Hiring Committee recommends Adam Tittemore be appointed City Clerk. Council will receive the official recommendation at the March 22, 2021 City Council Meeting.
“We want to congratulate Mr. Tittemore on being selected as the candidate the Hiring Committee is recommending to City Council as our City Clerk” says Councillor Bev Dubois, committee Chairperson.
Coun. Dubois collaborated with City Clerk Hiring Committee members Mayor Charlie Clark, Coun. Randy Donauer and City Manager Jeff Jorgenson.
“We were impressed with his experience in municipal government, his proven leadership qualities, and his governance expertise,” Dubois says.
Following graduation from the University of Saskatchewan with a degree in Public Administration, Mr. Tittemore moved to Alberta where he worked in municipal government with the County of Wetaskiwin in various roles, prior to moving back to Saskatchewan in January 2013. Since then, he has held the position as the Administrator (CAO) for the R.M. of Corman Park, which surrounds the City of Saskatoon. In his role with Corman Park, Mr. Tittemore has been involved with the City in many respects through our regional relationship.
“Mr. Tittemore has demonstrated great leadership as a builder of teams and partnerships, while also driving innovation. These are invaluable qualities in the rapidly changing municipal sector. He has demonstrated his ability to build the confidence of the public as well as his previous staff and Council, which is also essential in the role as City Clerk. I know he will be a great addition to the team at the City of Saskatoon,” says Mayor Charlie Clark.
The City started its Canada-wide recruitment process in November. The City received 18 applications; after further selection, five candidates were asked for interviews, with a second round of interviews resulting in Mr. Tittemore’s recommendation.
Dubois adds Council wanted to find someone that had a wide range of skills and experience to lead such a key position at City Hall.
“We need to ensure Council continues to have expertise to draw on, so it can provide our community with the best possible decisions.”
The City Clerk oversees and administers the City's legislative process including elections, Council and Committee meetings, maintenance of the public record, and City archives.
“I am very excited to join the City of Saskatoon in the City Clerk role to help build on the positive momentum of the organization.” says Adam Tittemore, City Clerk designate. “I look forward to working with Council and the city leadership team to provide continued good governance and to carry on with the high level of service that everyone is accustomed to.”
Following approval, Mr. Tittemore will manage a staff of 24; his first day as City Clerk will be April 15, 2021.
City Building Flags Lowered as Saskatchewan Marks One Year Since First COVID-19 Case
March 12, 2021 - 4:25am
The flags at Saskatoon civic buildings have been lowered today to mark one year since the first case of COVID-19 was identified in Saskatchewan. Flags will remain at half-mast through the weekend.
“The impact of COVID-19 on our community has been profound. Our lives have all changed dramatically in this past year, since the first case was found in our province on March 12,” says Mayor Charlie Clark.
“Since then, 401 Saskatchewan lives have been lost and this has had a tremendous toll on families. Essential services workers have stepped up heroically to keep our city running and worked tirelessly to keep us safe.
“Today, and over the weekend, is a chance for us all to remember those whose lives have been lost and to show gratitude for all of the sacrifice and service through this very challenging year.”
The Dingoes are back; Grizzlies starting to Stir
March 11, 2021 - 9:24am
- Do not come to the Zoo if you are sick.
- A non-medical mask is required when accessing indoor City-operated facilities and services including the Meerkat House and washroom facilities at the Zoo. Although the Public Health Order does not require masks in outdoor spaces, the City recommends wearing a mask throughout your visit, even while enjoying the outdoor exhibits.
- Always stay 2 metres apart from those not in your group.
- Follow posted signage including the new, counterclockwise one-way path. Pathways are marked with arrows and a map detailing the path is available at saskatoon.ca/zoo.
Warmer temperatures have provided an opportunity for dingoes Maple and Euci to return to their outdoor digs at the Saskatoon Forestry Farm Park & Zoo (Zoo). The pups spent most cold weather days in one of the Zoo’s indoor facilities as the pair are still working on getting acclimatized to our Canadian winters.
“The pups were really excited to get back to their exhibit and explore all the new smells and play in the snow,” says Jeff Mitchell, Zoo Manager. “The dingoes will spend portions of the day in their exhibit and return to their indoor facility for evenings and when temperatures drop.”
While the dingoes are busy exploring the outdoors, grizzly bears Mistaya and Koda are still enjoying their winter slumber.
“We have seen increased activity from Mistaya and Koda in their den which indicates they are getting close to completing their winter snooze,” says Mitchell. “We anticipate the pair will be awake and ready to return to the Kinsmen Bear Exhibit in the coming weeks”.
The Zoo is open daily from 10 a.m. to 4 p.m. and admission is by donation until March 31.
Know Before You Go
Protect yourself and others from COVID-19 while visiting the Zoo by following these guidelines:
Win your 2021 Zoo Season Pass!
Zoo Season Passes are available for purchase at the Saskatoon Forestry Farm Park & Zoo Administration building and at any City of Saskatoon Leisure Centre. Purchase or renew your 2021 Zoo Season Pass before March 31 and you will be entered win your Pass!
For more information on the Zoo, please visit saskatoon.ca/zoo.
City piloting four electric vehicles
March 11, 2021 - 2:48am
The City has launched its electric vehicle pilot project with the leasing of four battery electric Chevy Bolts for Saskatoon Light & Power, Facilities Management and Parking Enforcement.
During the pilot project, the vehicles and their charging stations will be studied to identify efficiencies, ability to meet service standards, and lifecycle costs. While electric vehicles typically have higher costs upfront, savings can be expected throughout their lifecycle as there are less maintenance costs associated with electric vehicles since they do not require fuel, oil changes, spark plugs, or transmission servicing.
“Electric vehicles are new, but with changes to our climate and legislation, they are expected to become the new normal” explains Goran Saric, Director of Roadways, Fleet & Support. “By piloting these vehicles now, we can properly prepare for the infrastructure they require, as well as benefit from their lower greenhouse gas emissions, lower maintenance costs and cleaner energy source.”
By taking four fuel powered vehicles off the road and replacing them with low-emission vehicles, the City is reducing its corporate greenhouse gas emissions by 4 to 6 metric tonnes of CO2e every year which is equivalent to 4,400 lbs of coal burned, or the need for 66 tree seedlings grown for 10 years.
This program supports the City’s Low Emissions Community Plan, more specifically, actions #17, #18, #20 and #21 and compliments Saskatoon Transit’s electric bus pilot project which launched in the summer of 2020.
Please watch our video or visit Saskatoon.ca/ElectricVehicles for more information.
Construction on dry storm pond in Churchill Park underway
March 9, 2022 - 3:05am
Construction of a dry storm pond to help reduce neighbourhood flooding during significant rain events is underway in Churchill Park. Work began in the park in February and the project will be completed in 2023.
“Investing in climate-resilient infrastructure will protect communities from extreme weather events such as floods,” says the Honourable Dominic LeBlanc, Minister of Intergovernmental Affairs, Infrastructure and Communities. “The Churchill Park dry storm pond will help increase Saskatoon’s resilience in the face of increased occurrences of floods while providing a recreation area and preserving green space. Our Government will continue to work with our provincial and municipal partners to improve residents’ safety and build stronger communities."
“This is the second of nine planned projects under the Flood Control Strategy that was approved by City Council in 2018,” says Acting Director of Saskatoon Water, Pam Hamoline. “Once complete, it will reduce the flood risk for properties near the intersections of Ruth Street at Cairns Avenue and York Avenue, and Bute Street at Munroe Avenue and Albert Avenue.”
Dry storm ponds hold water that would otherwise cause flooding in intersections and nearby properties during intense rainfalls. The water flows into the pond instead, then slowly drains into the storm sewer system. Whenever dry, it is used as recreational or park space.
Flood Control Strategy (FCS) projects have been planned to reduce flooding in neighbourhoods that were established prior to 1989, when improved storm water infrastructure standards were established. The first FCS project in W.W. Ashley District Park was successfully completed in late 2021 and will fully open later this year.
The Government of Canada is contributing 40% of the eligible construction costs up to a maximum of $21.6 million toward the nine FCS projects. The City is funding the remaining construction costs through the Storm Water Utility Capital Program and revenue generated from Storm Water Utility charges.
For more information about the FCS program and future project locations, visit saskatoon.ca/floodplan.
Transit service strained by global auto parts shortage: recovery plan in place
March 2, 2022 - 10:06am
- Buses are being sent to third party garages to add to maintenance resources.
- Buses with long term defects or parts that are not available or delayed are being used to fix other buses.
- Check Engine Light calls are being investigated and sent back on the road more quickly.
- Issues that do not involve Heating Ventilation and Air Conditioning, brakes or steering are quickly checked and sent back on the road if it is safe to do so. HVAC, brakes and steering issues that need repair are booked for a mechanic as soon as possible, however fixing the issue is contingent on parts availability.
- Working with nearby Transit properties to determine what parts can be accessed from them. Transit has also been working with parts distributors to get as many parts as possible.
- To ensure more parts are on-hand, maximum/minimum stock levels have been changed for high-demand parts or for parts that take longer to obtain.
- Maintenance staff have been working overtime.
Saskatoon Transit continues to deliver service as world-wide supply chain shortages put a strain on service.
“The ability to source and obtain parts in a timely manner because of the parts shortages related to the pandemic and other recent events, globally and nationally, have been major contributing factors to getting buses repaired and quickly back into service,” says Jim McDonald, Director of Saskatoon Transit.
McDonald says the challenges in obtaining parts in a timely manner, as well as increased probability of mechanical breakdowns with an aging fleet, differentiates this winter from other winters with prolonged extreme cold weather events.
“Fortunately, the extreme cold weather has subsided, but it will take a few days to address the backlog of mechanical repairs.”
What Transit is doing:
On average, Saskatoon Transit has been about five to ten buses short during weekdays. We know service cuts of any kind have a significant impact on those that rely on Transit Services. The team at Transit considers all options when required to make service reductions and decisions are based on minimizing impacts to riders.
The service impact is a reduction in some neighbourhood frequency, but no routes are completely cancelled and service to High Schools is covered, however riders may need to take alternate routes.
Solutions to get more buses on the road:
Tips for Transit riders:
Service alerts are posted to the Transit app and Google Maps Transit as soon as possible however riders are encouraged to check for service alerts one hour before they travel. Riders can “pin” the routes taken most often in the Transit app to receive push notifications about service disruptions. Alerts are also posted every morning and afternoon to SaskatoonTransit.ca/service-alerts and Twitter (@StoonTransit), with periodic updates as the situation changes. Riders can also call the Customer Service Centre at 306-975-3100 for updates (7:00 a.m. to 7:30 p.m. M-F).
If there is a service disruption on your route, riders can use the trip planning function in the transit app or Google Maps to find an alternate route. Simply type in where you are and where you want to go.
Saskatoon Transit thanks riders for their patience during this challenging time.
Dry storm pond in W.W. Ashley District Park is first of nine planned Flood Control Strategy projects
March 1, 2021 - 8:02am
The City’s Flood Control Strategy (FCS), approved by City Council in 2018, is underway with the construction of a dry storm pond in W.W. Ashley District Park. It is the first of nine planned projects that will help reduce flooding in Saskatoon’s most flood-prone areas between now and 2027. Excavation in the park began in mid-February and the project will wrap-up later this year.
“Saskatoon already has eight dry storm ponds, mostly in neighbourhoods built after storm water infrastructure standards were established in 1989,” says Director of Saskatoon Water, Russ Munro. “The areas we are focusing on now are ones that were established prior to that and have a history of flooding properties and intersections.”
Dry storm ponds are designed to hold water that would otherwise cause nearby flooding during intense rainfalls. The water flows from properties and roads into the dry storm pond, then slowly drains into the storm sewer. Whenever dry, it is used as park space.
Next on the list of dry storm pond construction approvals, is one in Churchill Park. If approved by City Council on March 22, Saskatoon Water will move forward with design plans and proceed with construction in 2022.
“We will plan public engagement sessions in advance of any work happening to provide more information, hear from residents and answer any questions,” says Munro.
The dry storm pond projects include pond construction as well as upgrades to nearby storm water and sewer infrastructure.
The Government of Canada is contributing 40% of the eligible construction costs up to a maximum of $21.6 million toward nine FCS projects. The City is funding the remaining construction costs through Storm Water Utility charges.
For more information about the FCS, and to subscribe to Flood Protection Plan updates, visit saskatoon.ca/floodplan.
City declares March Cultural Diversity and Race Relations Month
March 1, 2021 - 6:16am
The City recognizes March annually as Cultural Diversity and Race Relations Month. This year, in order to recognize the occasion while keeping everyone safe, the City released a video in lieu of hosting an in-person event. The Virtual Proclamation and Opening Ceremony includes remarks from Saskatoon Mayor Charlie Clark; Chief Commissioner of the Saskatchewan Human Rights Commission (SHRC), David Arnot; Chair of the City’s Diversity, Equity and Inclusion Advisory Committee, Namarta Kochar; and Leader of Black Lives Matter YXE, Delilah Kamuhanda.
Saskatoon Mayor Charlie Clark says: “The reality that systemic racism continues to cause harm to people in the BIPOC and 2SLGBTQ communities has become front and centre this past year. Increased awareness is leading to a sense of hope that we can bring about real change. Change means breaking down systemic barriers so that people experience the same opportunity to contribute and participate in society regardless of skin colour, ethnicity, or sexual identity. As we declare March Cultural Diversity and Race Relations Month, it is a chance for all of us in our neighbourhoods, schools, families, and workplaces to redouble our efforts and resolve to build our community together.”
SHRC Chief Commissioner David Arnot says: “Racism and discrimination do exist in our community, but we are making inroads and will continue to do so. Cultural Diversity and Race Relations Month encourages us to focus on what needs to change. As responsible citizens, and members of one human family, we must be the agents of that change in order to secure every person’s right to live with dignity, respect, and equality.”
Following is a list of some notable dates for the month:
March 1 – Flag Raising & Video Commemoration: The Cultural Diversity and Race Relations Flag has been raised in Civic Square. In keeping with COVID-19 restrictions, a commemorative video was released in lieu of an in-person ceremony.
March 10 – Living in Harmony Nomination Deadline: Last day to submit a nomination for a local organization, individual, or student(s) for outstanding achievements contributing to the elimination of racial discrimination.
March 19 – Presentation of Living in Harmony Awards: Recognizing award recipients for their efforts in being the bridge to end racism. This year's presentation will take place virtually and be available for viewing at saskatoon.ca/livinginharmony.
March 21 – International Day for the Elimination of Racial Discrimination: Observed annually in acknowledgment of this day in 1960 when peaceful demonstrators were killed in South Africa for speaking out against apartheid.
For more information about Cultural Diversity and Race Relations Month, please visit saskatoon.ca/RaceRelations.
Phase 1 of ePermitting launches with online building, development and plumbing permits.
February 28, 2022 - 9:44am
Starting March 1, 2022, building, development and plumbing permits can be done completely online through the City of Saskatoon’s new ePermitting system. This new ePermitting system will let people apply for permits, track the progress of the application and even request inspections all digitally – reducing the need for in-person visits to City Hall and increasing transparency around the permitting process.
“The ePermitting system will allow the permitting process to become inherently digital,” says Kara Fagnou, Director of Building Standards. “It houses a vast library of pre-configured permit types to meet most business needs, includes email notifications that are automatically triggered and offers mobile capacity to support field inspection staff.”
Service Saskatoon and Building Standards staff will still be available via phone, or where needed, in person, but the ePermitting system will remove the need for most residents and businesses to travel to City Hall for permitting assistance.
“The launch of ePermitting is a key step for Building Standards toward its goal of being a national leader in permit turnaround times,” says Fagnou. “We are always looking for ways to streamline and improve our business processes. To support ePermitting, we have also streamlined our internal workflows and updated many of our procedures to help meet customers’ needs in the most efficient way possible.”
For more information, please visit saskatoon.ca/buildingstandards, or call 306.975.2645. Customers can register an account and login to the ePermitting system starting March 1 at saskatoon.ca/ePermitting.
Speed Limit Review
February 24, 2021 - 7:43am
- Feedback on the possibility of reducing the speed limit in residential areas from 50 km/h to either 40 km/h, or 30 km/h
- Feedback on possible changes to speed limits in school zones, playground zones, and areas with a high number of seniors
Vehicle speeds on residential streets and pedestrian safety are the top concerns among residents who have participated in neighbourhood traffic reviews (NTRs) throughout Saskatoon since the program’s inception in 2013. The City of Saskatoon will present a roadmap of the reporting strategy for the review of speed limits on neighbourhood streets to the Standing Policy Committee on Transportation, March 1, 2021, after which the public will be able to provide feedback online.
“Road safety is a shared responsibility. Many cities across Canada, and the world, have successfully implemented reduced speed limits in their jurisdictions. Before making any changes, we want to inform, educate, and get meaningful feedback from citizens in order to make the right decisions with the right outcomes,” says Jay Magus, Director of Transportation.
The review will consider revisions (including speed limit reductions) to posted speed limits on neighbourhood streets to improve safety in residential, school and playground areas.
The scope of the public engagement for the Speed Limit Review will include:
People are invited to participate in providing feedback on the Speed Limit Review project by visiting www.saskatoon.ca/engage/speed-limit-review and by taking the survey, which will go live starting March 2 and stay open until April 30, 2021. Comments will also be received by email at speedlimitreview@saskatoon.ca. The survey will also be conducted by telephone using a random sampling method.
The City of Saskatoon’s Speed Limit Review supports the Strategic Goals of Moving Around and Quality of Life in the city.
Note: In general, speed limit changes / reductions on major arterial roads (i.e. 22nd Street, McOrmond Drive) are not being considered as part of this review.
Saskatoon earns WCCD ISO Platinum Certification for data quality
February 24, 2021 - 3:42am
The City of Saskatoon has achieved ISO 37120 Platinum Certification from the World Council on City Data (WCCD) for its quality of data. This is the organization’s highest level of recognition.
This significant achievement was accomplished through Saskatoon’s participation in the nation-wide Data for Canadian Cities Pilot Project, supported by the Federal Ministry of Infrastructure and Communities, and implemented by the WCCD. The project’s goal is to increase data capacity in cities across the country, while helping to put data to use to improve city services and quality of life.
"All communities, large and small, need good data to plan and build modern public infrastructure," says Canada’s Minister of Infrastructure and Communities, Catherine McKenna. "Meeting global data standards is critical. Through the Data for Canadian Cities Project, in partnership with the World Council on City Data, we've been helping municipal leaders in a number of communities across Canada do just that. I am delighted that the City of Saskatoon has obtained the ISO standard for municipal data. This will help the city plan projects with quality data and will help guide evidence-based decision-making. Canada's infrastructure plan invests in thousands of projects, creates jobs across the country and builds stronger communities."
City of Saskatoon Mayor Charlie Clark says: "For too long trying to compare programs and outcomes between cities has been like comparing apples and oranges because of different ways that data gets measured. Achieving Platinum Certification with WCCD opens the door to powerful new tools for us to better focus our planning, our budgeting, and learning from best practices in other cities to help our city succeed into the future."
WCCD President and CEO, Dr. Patricia McCarney says: "On behalf of the WCCD, we are very proud to welcome the City of Saskatoon into our global network of cities all dedicated to building high calibre and globally standardized data to drive informed and evidence-based decision-making. Working with Mayor Clark, City Council and staff over the past few years as part of the Data for Canadian Cities Project, supported by the Ministry of Infrastructure and Communities, has revealed an incredible commitment by the City of Saskatoon to harnessing data that will drive sustainability, prosperity, and a better future for all residents of Saskatoon. Achieving WCCD's ISO 37120 Platinum Certification is a real testament to this city-wide approach. On behalf of the entire WCCD team, we look forward to our continued work with you and to sharing stories of Saskatoon's successes – both in Canada and globally."
Preliminary data indicates that Saskatoon compares favourably with peer cities across a number of areas including ease of access to work, affordability, and supporting healthy citizens. Saskatoon’s performance in all categories will be released by WCCD later this year.
Governance and Priorities Committee recommends continuing mask education on Saskatoon Transit
February 22, 2022 - 5:29am
- When the Provincial Public Health Order on masks is lifted as of February 28 at 12:01 a.m., masks will continue to be required to access indoor City-operated facilities and services and when travelling on Saskatoon Transit. Facilities include City Hall, Leisure Centres, indoor arenas, golf course buildings, indoor spaces at the Saskatoon Forestry Farm Park & Zoo and the downtown Saskatoon Transit Customer Service Centre. City Council approved the action at its special meeting on February 8, 2022 to ensure the safety of staff and the public who are accessing City services. This will be continually reassessed.
- Proof of COVID-19 Vaccination or Negative Test is no longer required when attending City-operated facilities.
For the latest updates, visit saskatoon.ca/covid-19.
Meewasin and the City Remind Residents to Take Care When Enjoying our Natural Areas
February 19, 2021 - 5:45am
- Stay on designated trails and paths when hiking, snowshoeing, skiing, or biking (snow is habitat for many creatures)
- Stay away from naturalized ponds that are not designated for skating
- ATVs, snowmobiles, dirt bikes and other motorized vehicles are not allowed in natural areas. If witnessed, please report to police communications at 306-975-8300.
- Leave areas the way you find them. Don’t litter, dump, leave materials behind or remove any private property.
- City of Saskatoon’s list of ponds designated for recreational use
- Water Security Agency of Saskatchewan’s guidelines on ice thickness
- City of Saskatoon’s winter events & activities webpage
“In a year when people are feeling particularly cooped up and restless, getting outdoors and experiencing nature is a great way to relieve stress, get exercise, and lift spirits,” says Katie Burns, Sustainability Manager at the City of Saskatoon. “And while we certainly encourage outdoor activities, we, in partnership with Meewasin, have a few tips for ensuring that we are protecting our natural areas as well as our wildlife and their sensitive habitats.”
“Many regions of the Meewasin Valley contain significant ecosystems and habitat,” says Mike Velonas, Manager of Planning and Conservation at Meewasin. “Whether it’s prairie, forest, wetland, or river, many animals depend upon spaces like the Meewasin Northeast Swale, Saskatoon Natural Grasslands, and Beaver Creek Conservation Area to survive. While we encourage folks to explore and connect with nature, we ask you to remember these tips to help Meewasin conserve important habitat and protect biodiversity.”
For more information on how to safely enjoy outdoor activities please see the following resources:
The Meewasin Valley Authority exists to ensure a healthy and vibrant river valley, with a balance between human use and conservation. To get involved or learn more, visit: meewasin.com
Grading begins tonight to improve mobility on residential streets with severe rutting
February 10, 2022 - 11:45am
Mild temperatures over the past couple of days are creating deep ruts on some residential streets. City and contractor crews are shifting their focus to shaving down the deep ruts where people are getting stuck or there’s a risk of damage to vehicles.
Beginning this evening, graders will start to shave the top layers of ruts on residential streets with severe rutting and store the snow in the parking lane. Snow removal may only occur in areas where there is no room to store the snow.
“To open up these streets quickly for residents, we need to move fast,” says Terry Schmidt, General Manager of Construction and Transportation. “Colder temperatures are coming soon which will make grading harder for us.”
Grading will be done by neighbourhood starting on the streets where the ruts are at least 15 centimetres deep, making it challenging for smaller vehicles. We will go around parked cars but encourage people to move vehicles if there is off-street parking available.
On streets with heavy on-street parking that are too narrow for our equipment, we will post No Parking signs in advance and relocate vehicles left on the street.
The work will occur day and night and we hope to complete all severely rutted streets within the next two weeks. This may be extended if there is a snow event that requires some staff to address priority street grading.
While grader operators attempt to keep driveways unobstructed, short snow ridges may be left behind. The location may be inspected for clearing if it completely blocks a vehicle from accessing the driveway.
Starting tomorrow, regular updates will be provided on saskatoon.ca/snow with neighbourhood locations. Note that grading will accommodate garbage and recycling collection schedules. Thank you for your patience and leaving space for our operators and equipment to safely do their work.
Permanent Outdoor Festival Site Report and Concept Plan Presented to Council
February 10, 2021 - 10:12am
- The technical and engagement processes that led to the preferred site selection;
- An extensive concept plan; and,
- Cost, risk and budgetary analysis.
The City identified the need for a permanent outdoor festival site to assist festivals and events with their programming while also protecting green infrastructure (trees and grass) from re-occurring damage. After an extensive feasibility study and stakeholder engagement, an Approval Report will be presented to the Governance and Priorities Committee at its meeting on Tuesday, February 16, 2021. The report articulates a vision for the future of hosting outdoor special events in Saskatoon, recommends a preferred site location and provides a functional concept plan for development of the area.
“Saskatoon is renowned for its festivals and events,” says Lynne Lacroix, General Manager of Community Services. “From music festivals to celebrations of local food and record-setting snowball fights, the amount, variety and scale of events in the city is important to the cultural, social and economic life of Saskatoon. Against the backdrop of the South Saskatchewan river, a permanent site will allow events four seasons of the year and provide event planners and the tourism industry stability in planning world-class events.”
The Approval Report includes:
Should Council approve the concept plan for the Permanent Downtown Festival Site, development of the full vision for the Site would need to be completed in phases. Phase 1, totaling $2 million, will be funded by the Municipal Economic Enhancement Program and construction will begin in Spring 2021.
“Phase 1 will provide us with a great site that will be a gathering place for Saskatoon,” says Lacroix. “The remaining phases can be constructed over time, pending future budget and funding considerations and approval.”
Further information, including the concept plan and engagement summary, is available on the City’s engagement website.
City Council approves COVID protocols pending Sask. Government end to Public Health Orders
February 8, 2022 - 10:01am
At a Special Meeting of City Council this morning, Council approved a number of resolutions to guide the City’s response to COVID-19 in the community and continue to protect the health and safety of residents, customers and employees once provincial Public Health Orders are lifted later this month.
Council approved the removal of Proof of COVID-19 Vaccination or Negative Test Requirements for City of Saskatoon facilities when the Government of Saskatchewan rescinds the “Public Health Order Proof of COVID-19 Vaccination or Negative Test”, effective Monday, February 14.
Council unanimously recommitted to keeping in place the requirement that all residents and visitors accessing all City facilities, including when travelling on Saskatoon Transit, wear a mask upon the rescission of the existing “Public Health Order Mandatory Isolation and Face Covering” by the provincial government, which is anticipated to occur at the end of February.
Council also directed that Administration continue to provide masks for patrons of Saskatoon Transit, and report back on ways to increase enforcement or conflict resolution support on Transit in regards to the use of masks before the end of the month.
Further, Council has requested that the Administration provide a report to Governance and Priorities Committee (GPC) on a monthly basis, starting in March 2022, providing a written COVID update that includes a recommendation on whether to continue the requirement of masking for all persons accessing all City facilities.
For the latest updates, visit saskatoon.ca/covid-19.
USask-City of Saskatoon study finds ways to divert edible food from landfill
February 8, 2022 - 4:01am
Diverting edible items from the landfill to improve food security is an easy cause to support. Removing the barriers to make it happen, however, can be complicated.
A new joint study by the University of Saskatchewan (USask) and the City of Saskatoon, Promising Practices in Food Reclamation in Saskatoon, found ways to minimize the food being discarded.
The project took place through Research Junction, an innovative partnership between the city and the university. Research Junction awards funding to projects that apply advanced research methods to address current issues in Saskatoon.
Rachel Engler-Stringer of USask’s Community-University Institute for Social Research was a lead researcher on the project.
The team performed a survey of best practices in food diversion, and gathered information from a wide variety of stakeholders, including food retailers and organizations on the front lines of providing food to clients in Saskatoon.
Once they understood the logistical and infrastructure barriers to diverting food, researchers developed recommendations to address this widespread issue. It is estimated one-third of the food produced worldwide and 30-40 percent of all food produced in Canada annually is wasted or lost.
“We tried to make it very practical,” said Engler-Stringer, who is also associate professor in the Department of Community Health and Epidemiology at USask’s College of Medicine. “I hope that a number of our recommendations will be taken up and there will be significant change in Saskatoon.”
In particular, she would like to see a food recovery association created in partnership with governments, as well as a social enterprise established to “upcycle” or transform surplus food for other uses.
Farhad Lashgarara, who was a principal researcher for the study, said it is necessary to both create ways to divert food from landfills and provide disincentives for simply discarding it.
“It is now easier to just throw things away,” he said. “We need to change that equation.”
Other recommendations include a public awareness campaign, the use of phone food diversion apps, and inclusion of food diversion in city planning processes.
This initiative aligns with Saskatoon’s Solid Waste Reduction and Diversion Plan that provides clear actions the city can take to produce less waste and recycle and compost most of it. The report was presented to the Standing Policy Committee on Environment, Utilities and Corporate Services on Monday, February 7, 2022.
“With these two strategies coordinated, the city is looking toward the next steps to act on their recommendations,” said Jeanna South, Director of Sustainability for the City of Saskatoon. “The upcoming regulation for businesses to start diverting the food waste they generate in 2023 presents an opportunity to encourage reduction and redistribution of food that otherwise would become waste, thus saving disposal costs while benefiting our community and environment.”
The full report can be found here: https://cuisr.usask.ca/publications.php
Administration proposes lifting some COVID protocols pending Sask. Government end to Public Health Orders
February 7, 2022 - 9:14am
- That City Council remove Proof of COVID-19 Vaccination or Negative Test Requirements for City of Saskatoon facilities.
- That City Council continue the requirement that all persons accessing all City facilities, not including Saskatoon Transit, wear a face mask. For Saskatoon Transit, masks would be recommended but not required.
With the Government of Saskatchewan’s message that the Public Health Orders will soon be lifted, the City is taking steps to ensure the safety of its staff and the public who are accessing City services. The recommendations are outlined in a report for Special Meeting of City Council tomorrow, February 8.
“The lifting of the Public Health Orders does not mean there is no longer a risk of COVID-19 in Saskatoon, but it shifts the responsibility for management of this risk from the Provincial Government to individuals, businesses, organizations, and municipalities,” says Pamela Goulden-McLeod, Director of Emergency Management Organization.
Once the Provincial Public Health Orders are lifted, the City will return to following Occupational Health and Safety and business continuity processes in managing the response to COVID-19 in our community.
The City will also continue to seek guidance from the Saskatchewan Health Authority local Medical Health Officers and to monitor the Saskatchewan Health Authority assessed risk of epidemic transmission. The assessed risk of epidemic transmission is currently indicating there is a “high likelihood that COVID transmission is not controlled” in the Saskatoon region. This is the highest level of risk of transmission.
The report outlines recommendations for requirements related to the Proof of COVID-19 Vaccination or Negative Test and masking in civic facilities and when travelling on Saskatoon Transit and would take effect when the Government of Saskatchewan rescinds the corresponding Public Health Orders.
Recommendations
Measures that may remain in place include enhanced cleaning, physical distancing, and the requirement not to enter City owned facilities if an individual has symptoms of COVID-19.
“The City will continue its focus on educating and informing the public rather than enforcing the use of face masks within City owned facilities and services,” Goulden-McLeod says.
The City Administration also recommends that a monthly report goes to Governance and Priorities Committee (GPC) starting in March 2022, with a written COVID update that includes a recommendation on whether to continue the requirement of masking for all persons accessing all City facilities.
It is important to note that this requirement does not apply to any public members directly accessing the Saskatoon Public Library locations located within Leisure Centres. Libraries do not require the public to show proof of vaccination or negative test to enter their facilities under the current Public Health Order.
For the latest updates, visit saskatoon.ca/covid-19.
Update on snow pile removal on priority streets
February 4, 2022 - 8:49am
More than 70% of the Priority 1 street snow piles have already been hauled away, including Idylwyld Drive, College Drive, 8th Street and 22nd Street. Due to the unusual delay in snow pile removal, contractors are being hired to help haul away more snow beginning next week.
“Snow stored in the medians of Priority 1 streets must be removed and hauled away first because they present the highest risk to public safety if there is no place for new snow to be stored,” says Director of Roadways, Fleet & Support Goran Saric. “With all the extra snow this year, we’re adding contractor assistance to the job so we can get to the next priority streets quickly.”
Snow removal on Priority 2 streets in all areas of the city will begin over the next couple of weeks. Watch for “No Parking” signs posted on snow piles with the scheduled date for removal, and encourage your neighbours to move their vehicles off the street to help the work go smoothly.
“I can empathize with residents who are frustrated with the size and height of these snow piles,” says Saric. “Our roadways staff are doing their best and giving their all this winter to get that snow out of the way to improve visibility and safety.”
Snow piles along the busiest streets in Saskatoon, called priority streets, remain after a snowfall so the network can be graded quickly. Removing them requires different equipment and is best done at night when traffic and pedestrian activity is lighter for the safety of workers and the public.
The snow piles are unusually large this year because of the above average number of snowfalls and frequency. Each time it snows, snow removal is halted as City staff attend to the priority streets to clean up.
You can find more answers to frequently asked questions about snow removal and priority street grading at saskatoon.ca/snow.
City to explore free public Wi-Fi through pilot project
February 2, 2022 - 10:19am
- youth
- seniors
- immigrants
- Indigenous peoples
- low-income
Many people in our community do not have the same opportunities to access online services. To address growing barriers and risks for those residents, the City of Saskatoon is launching a pilot project to provide free public Wi-Fi internet service to residents in a segment of Saskatoon’s core neighborhood area. The project status is outlined in a report for the Standing Policy Committee on Environment, Utilities and Corporate Services on Monday, February 7.
“This is an exciting project that can have immediate quality of life impacts for residents in the area,” says Celene Anger, Chief Officer of Strategy and Transformation. “Through the COVID pandemic, the City, other orders of government and community organizations, have moved services online. While this has improved service offerings for many, it has created a service gap for many people in Saskatoon.”
Commonly referred to as the ‘digital divide,’ the pilot project aims to help people currently without or with limited Internet access gain better access to online services and participate in today’s growing digital society. In December 2016, the federal government declared Internet access a basic right of all Canadian citizens. Cities across Canada are moving forward with initiatives to address this situation.
The pilot project explores a cost-effective City-delivered solution for approximately 1500 residents to access the Internet from or near their homes and in public areas at no cost. This project will be launched in an area of Saskatoon with a high percentage of residents as measured across five population groups:
With access to the Internet, residents will be able to access key tools like telehealth and learning applications as well as important information about housing, food, pandemic restrictions, and government services.
Moving ahead with project implementation, the City will issue a Request for Proposal (RFP) next week for a vendor to supply products to deliver wireless internet access points throughout the proposed area. The City will deliver high speed internet via fibre to the Saskatoon Fire Development Centre, a City-owned building located at 116 Avenue W South to serve as the connection point (hub) for these Wi-Fi devices. As the primary hub, a wireless signal will then be broadcast to the pilot area through the solution identified through the vendor’s RFP submission. The City is intending to install the wireless internet access points on City-owned streetlamps and power poles in the designated area.
“Through the RFP, we’re looking for a vendor to partner with us to determine the best tools to reach our goals of a strong Wi-Fi signal to the door of, and hopefully inside, the homes of residents in the pilot area,” says Anger. “We’re hoping to identify opportunities, problem-solve the challenges and evaluate the success of providing public Wi-Fi through this project.”
The pilot project valued at $250,000 is expected to become operational late summer/fall 2022 and run for one year. Financial support was made possible through City Council’s approval of a reallocation of funds as a result of Municipal Economic Enhancement Program (MEEP) 2020 funding. The project will be evaluated throughout the pilot phase, and the results of the evaluation will be used to guide City Wi-Fi strategies and any plans for future continuation or expansion of the program.
City adopts new Strategic Plan, setting out vision for 2022-2025
February 1, 2022 - 9:18am
- Advance City Council's Priorities
- Deliver Excellence in Core Services and Operational Priorities
- Drive Corporate Transformational Change
City Council approved a new Strategic Plan for the City of Saskatoon at yesterday’s Council meeting (January 31, 2022). The 2022-2025 Strategic Plan is a guiding document that sets direction and priorities for City Council and the Administration over the next four years.
Along with the Official Community Plan and the Multi-Year Business Plan and Budget, the Strategic Plan ensures City programs and services continue to address the changing needs of our community, while keeping within our financial means.
The City’s 2018-2021 Strategic Plan was retired in December 2021.
Mayor Charlie Clark says: “The foundation of the 2022-2025 Strategic Plan is miyo-pimatisiwin (me-o-pi-ma-ti-si-win) which is a Cree phrase meaning 'the good life' for all residents. I believe this is a powerful common purpose to focus our efforts around. We are living in very dynamic times, and it is essential that we plan strategically to create the conditions for our citizens to live a good life here. I am proud of the work done by citizens, our staff, and my Council colleagues to bring this plan together and focus our work in the years ahead.”
City Manager Jeff Jorgenson says: “I’m proud of the work our Council and Administration have done in pulling together this vision for the City of Saskatoon over the next four years. The process, and the discussions and decisions that were a part of that, enabled us to land on one clear and powerful document that will be the focus for the work of thousands of City employees in the years ahead.”
What’s in the Plan
The 2022-2025 Strategic Plan was developed using contributions from the public, Council, and City employees. The following three pillars underline the identified deliverables and the key actions to achieve them:
Certain elements of previous strategic plans remain relevant and are included in this new one, including the Vision, Mission, Values, Purpose and Strategic Goals.
Public Input
A draft version of the 2022-2025 Strategic Plan was made available for public feedback between Oct. 27 and Nov. 10, 2021. Residents were invited to review the draft plan and provide input using a public survey. A summary on What We Heard was attached to the information report put before Council on Nov. 22, 2021.
What’s Next
In the weeks ahead, the City will be ensuring its various departmental business plans and employee work plans align with the Strategic Plan. This alignment will ensure Council and Administration are working toward the same outcomes and optimizing resources by focusing on the right initiatives at the right time.
The City’s newly approved 2022-2025 Strategic Plan is available at saskatoon.ca/StrategicPlan.
Fire Department ensures high-rise safety: no residents displaced as repairs made
January 29, 2021 - 1:36pm
The Saskatoon Fire Department recently became aware of deficiencies to fire and life safety systems in a building at 1416, 20th Street West.
"During a recent call to the building, firefighters identified concerns with the operability of the fire alarm system, sprinkler system and fire extinguishers," says Assistant Chief Wayne Rodger. "As a result, the Fire Department issued a Notice to Remedy for this address."
Rodger says the department also arranged qualified technicians to repair these systems and make sure they are operable, so residents have a safe living space.
Work on these systems will commence at 6:30 p.m. tonight, Friday January 29.
"We collaborated with many people on this course of action and the goal is to have the building safety systems operational and safe for occupants by Saturday morning."
Residents will not be confined, but to ensure compliance with the Provincial Health Orders, residents are being asked to stay in their suites while the work is completed.
The Saskatoon Police Service has agreed to support the technicians by helping provide a secure work site for them. Officers will also escort residents if they need to leave or enter the building.
New program provides essential skills, water treatment training to Indigenous people
January 29, 2021 - 3:16am
The City of Saskatoon, Gabriel Dumont Institute, Radius Community Centre, Saskatchewan Polytechnic and Saskatoon Tribal Council are coordinating the kanātan nipīy (the water is clean/clean water) program. The training is an opportunity for Indigenous people to gain essential skills and access employment opportunities in water treatment and distribution facilities —such as with the City of Saskatoon’s Water and Waste Operations.
The program offers two streams, one for Indigenous youth between 18-29 years of age and another for Indigenous people of any age. The stream for Indigenous youth will begin in early March with essential skills training taught by the Radius Community Centre. Saskatchewan Polytechnic will provide training in water treatment and distribution to both streams starting in late March/early April.
"This kanātan nipīy program is an important pathway to knowledge and employment and I am very pleased that the City of Saskatoon is part of it," says Mayor Charlie Clark. "Our futures are bound together, in our city and in Indigenous communities across Saskatchewan. I would like to thank all of the partners who are part of this program and are strengthening our future together."
"Partnerships like this, that bring all stakeholders to the table, remove barriers and ensure the greatest success possible for everyone involved," says Geordy McCaffrey, Executive Director, Gabriel Dumont Institute. "GDI is proud to be a part of this initiative that will lead to sustainable employment for our Métis clients."
"For 50 years Radius Community Centre has been helping people work towards their career goals," says Dorothy Hyde, Executive Director, Radius Community Centre. "We are honoured to be a part of this community team supporting Indigenous employment and know that working together helps to build a brighter future for individuals, families, business and community."
"Indigenous students are an important part of Saskatoon’s community. Providing essential skills training is one way to help the Indigenous learners participating in the program to succeed in their water treatment training and as members of today’s workforce," says Dr. Larry Rosia, President and CEO, Saskatchewan Polytechnic. "We are excited to partner with the City of Saskatoon, Gabriel Dumont Institute, Radius Community Centre, and Saskatoon Tribal Council on this innovative program."
"This training will enhance and improve the quality life for all people that require clean potable water," says Saskatoon Tribal Council Chief Mark Arcand. "As First Nations people, we are all protectors of water. STC has developed many training and employment partnerships. By working together with our partners, we provide opportunities for our people to become gainfully employed."
Applicants must have their Grade 12 or GED and a Class 5 driver’s license. Interested applicants can send their transcript, driver abstract, resume, and three references to kanatannipiy.project@gmail.com by February 12, 2021.
The kanātan nipīy (the water is clean/clean water) project costs $1,642 per student. Funding for training costs and living allowances may be available to some applicants through the Gabriel Dumont Institute and Saskatoon Tribal Council. Funding options will be discussed during the application process.
Home Energy Loan Program proposed to Committee
January 28, 2021 - 3:15am
- Eligibility requirements will include homeowners’ demonstrated good standing on property tax payment
- Participants will pay an administration fee, proposed at approximately $500 per participant, that can be spread out over time in the loan
- Interest rates on loans will match the City’s interest rate on debt for the same term (between 2-4% depending on prime rate)
The City Administration is proposing a loan program that will allow homeowners to make their properties more energy efficient.
Following extensive research and public engagement, the proposed Home Energy Loan Program (HELP) will be presented to the Standing Policy Committee on Environment, Utilities, and Corporate Services at its regular meeting February 1, 2021.
If approved, HELP will provide loans for energy efficiency retrofits or renewable energy installations for single-family homeowners.
“It’s a unique program – loans provided from the City are attached to the property being retrofitted or renovated and would be paid back through the homeowners’ property taxes,” says Jeanna South, Director of Sustainability. “The loans are attached to the property and not the person, so the loan can be passed from one homeowner to the next if the property is sold.”
Examples include window and door replacements, solar panel installations, heating and cooling system upgrades, or added insulation.
South says the program is designed to benefit the community in many ways beyond addressing climate change in Saskatoon and nationwide.
“It will assist homeowners in paying for home upgrades that will reduce energy bills, make those upgrades financially accessible, help to make homes more comfortable, and it will stimulate Saskatoon’s economy, especially in the construction and renewables sectors.”
Based on research, public engagement and lessons learned from other municipalities, the report recommends key factors such as:
If approved by City Council, an application will be made through the Federation of Canadian Municipalities, bylaw development will proceed with the goal of launching HELP later in 2021.
This program supports the City’s Low Emissions Community Plan, a roadmap that outlines 40 actions the City and community of Saskatoon need to take to help mitigate climate change.
Visit saskatoon.ca/engage/help for more information on the program or to track its progress.
“Well-balanced framework, strong economy:” City retains ‘AAA’/Stable credit rating
January 27, 2021 - 11:47am
- Saskatoon’s diverse economy with a growing population will provide consistency in the city's property tax base despite the negative impact of COVID-19
- The City's prudent financial management will continue to allow it to post strong operating balances
- A stated belief that “the city's relationship with the province will remain well-balanced and supportive”
- Saskatoon will continue to generate robust operating margins despite the near-term impact of the pandemic on the City's fiscal position
- Strong operating balances will help the City in implementing its capital plans while maintaining minimal levels of tax-supported debt
- The City's exceptional liquidity position will continue to support its creditworthiness
The City of Saskatoon has, once again, been reconfirmed as having a ‘AAA’ credit rating with a “stable” outlook by S&P Global Rating Services (S&P), a favourable ranking that the City has retained for more than 10 years.
In reaffirming the City’s ‘AAA’/Stable credit rating, S&P’s report released today noted the City “will continue to benefit from a strong and diverse economy that supports strong budgetary performance, keeping debt issuance manageable and liquidity exceptional.”
The City’s Chief Financial Officer Kerry Tarasoff points out S&P grants this rating for many reasons; the S&P report says the City’s “…disclosure and transparency are what we believe to be good, and the City prepares robust annual operating and capital budget documents.”
The report also highlights an expectation that the City's strong financial management will keep Saskatoon with a ‘AAA/Stable’ rating for years to come.
“We have heard some recent commentary about the City’s transparency and financial performance in a ‘report card’ of sorts,” Tarasoff says. “The rating City Council relies on is the one from S&P Global Rating Services.”
He adds as with all Canadian municipalities, COVID-19 has had a huge impact on the City’s finances for 2020 and 2021, however he says S&P Global is treating these impacts as temporary in nature. Taken from the report released today:
“Although the impact of the pandemic depends on the rate of spread and duration, we believe that Saskatoon's prudent financial management and cost-containment efforts will continue to generate robust operating balances and mitigate the direct fiscal impacts stemming from the pandemic. At the same time, we expect the City's prudent financial management and diverse economy will continue to support Saskatoon in generating strong budgetary performances that will help fund its capital agenda and keep its debt level manageable; this, in turn, will help preserve the City's exceptionally strong liquidity.”
Key findings within the January 27, 2021 S&P Ratings Direct® Report are:
The full report is available on the City’s website saskatoon.ca/finance.
City of Saskatoon 2021 Assessment Roll: Highlights, Key Findings
January 27, 2021 - 10:01am
- The total value of the 2021 Taxable Assessment Roll is $41.3 billion, compared to $43 billion in 2020 as a result of reassessment.
- Commercial assessment accounts for $9.9 billion (approx. 3,300 properties)
- Residential assessment accounts for $31.4 billion (approx. 91,000 properties)
- The typical Residential property assessed value in Saskatoon decreased 7% and the typical Non-Residential (Commercial) property assessed value increased 8%. (In the last assessment cycle, the Residential tax class increased 12% and the Commercial tax class increased 36%.)
- If a property owner had an assessment reduction of 7% in assessment, this does not mean their property tax will decrease 7%.
- 93% of Single-Family properties had a change of plus or minus 10% of the average change (decrease of 7%).
- 28% of Residential Condos saw a decrease of 10%-20% more than average change (decrease of 7%).
- Within the Multi-Residential subgroup, Townhouse decreased 19% and Low-Rise decreased 14%, the largest decreases. These two groups account for 90% of the Multi-Residential subgroup inventory.
- 33% of Commercial properties had a change of plus or minus 10% of the average change (increase of 8%).
The City wants property owners to better understand the provincial property assessment process and has developed new tools and information to help. As is required by provincial law, all property types must be reassessed every four years. The City of Saskatoon issued more than 100,000 Reassessment Notices to property owners via mail earlier this week along with an informative guide.
“We’re here to help property owners and answer their assessment questions,” says Bryce Trew, City Assessor. “For 2021, we’ve created six new videos and enhanced our online tools to assist property owners with additional information to help explain the assessment process – which can be confusing at times.
We encourage property owners to review their property’s new assessed value and characteristics on our website and to get in touch with us for support. Most assessment-related questions can be addressed by chatting with an assessor before deciding to file a formal appeal with fees. Property owners may connect with us by email, phone or by making a safely distanced in-person appointment, adds Trew.”
The 2021 Assessment Roll is now available for public viewing. Property owners also have a 60-Day Customer Review Period – the time during which they may formally appeal their assessment. The roll and appeal period are both open from January 25 through to March 29, 2021.
“Some property owners have asked if their property’s new assessed value is what they would typically sell their property for and this may not be the case,” Trew says. “The assessed value of your property is calculated for taxation purposes only - it’s an estimate based on sold properties in your market area. The provincial law works with a legislated base date and for 2021 that date is January 1, 2019.
It’s important to note that any market influence COVID-19 may or may not have had on a property’s assessed value will not be reflected in the 2021 property reassessment figures as the pandemic occurred after the base date.”
2021 Reassessment Information Backgrounder
Highlights of the 2021 Assessment Roll:
Key Findings from the 2021 Assessment Roll
Assessment Subgroups:
Single-Family Residential: decreased 6% (Median Assessment is $344,000)
Residential Condominiums: decreased 12% (Median Assessment is $209,900)
Multi-Residential: decreased 11% (Median Assessment is $1,404,900)
Retail: increased 24% (Median Assessment is $1,503,500)
Office: increased 16% (Median Assessment is $1,377,750)
Industrial: decreased 10% (Median Assessment is $1,431,900)
Hotel: decreased 23% (Median Assessment is $9,688,300)
Questions? We’re here to help.
Email: assessment.submit@saskatoon.ca
Mail: City of Saskatoon, Assessment & Valuation, 222 - 3rd Avenue North, Saskatoon, SK S7K 0J5
Call: 306-975-3227 for questions or to book an in-person appointment Monday to Friday, 8:00 a.m. to 5:00 p.m.
Visit saskatoon.ca/assessment for more information.
City supporting #ActOnReconciliation campaign
January 26, 2022 - 4:35am
- Wear their EveryChildMatters shirt or any other orange shirt.
- Consider taking up the suggested Reconciliation action for the month (see below) or any other Reconciliation action.
- Use the hashtag #ActOnReconciliation to share the action they’re taking and challenge their followers to also #ActOnReconciliation.
Following the first National Day for Truth and Reconciliation (NDTR) on September 30, 2021, the Saskatoon Tribal Council has initiated a campaign called #ActOnReconciliation. It’s intended to harness the momentum of NDTR and Orange Shirt Day (also September 30) and keep Reconciliation top of mind all year long.
The campaign coincides with a time when the devastating discoveries of unmarked graves at former residential schools keep coming. Yesterday, Williams Lake First Nation announced the discovery of potential human burials on the former grounds of St. Joseph's Mission Residential School in British Columbia’s central interior. The City of Saskatoon is lowering its flags to show support for Williams Lake First Nation, Survivors, and all families impacted by residential schools.
Saskatoon Tribal Chief Mark Arcand says: “Sharing how we are going to take action going forward to make reconciliation happen is the way through the dark history of Residential Schools to heal our intergenerational trauma and improve the quality of life for our people. It is by coming together united in a common cause, such as the movement #ActOnReconciliation, that we build community and strengthen relationships to move forward in a good way.”
The City is supporting this initiative by challenging its employees and Saskatoon residents to act on Reconciliation throughout 2022.
Saskatoon Mayor Charlie Clark says: “Reconciliation begins with truth. And every day, we hear more truths about the injustices that Indigenous peoples have faced in our community and our country – from hurtful comments to structural racism to the deaths of children, as we learned about yesterday from Williams Lake First Nation. We have a role and a responsibility to act on these truths, every day, with an open mind and heart, and to be part of building a community that honours all of us equally.”
The City’s Director of Indigenous Initiatives, Melissa Cote, says: “The demonstrations of support in our community for Reconciliation this fall were unprecedented—but Reconciliation is more than one day. We need to keep making steps forward on our journey to Reconciliation, as individuals and organizations; undertaking big and small actions to continue the healing in our community.”
#ActOnReconciliation Challenge
On the last Friday of each month, the City is encouraging its employees and all Saskatoon residents to:
Suggested action for January – Land Acknowledgment
Consider adding a Land Acknowledgment to your e-signature, newsletter, website, or other. Post a Land Acknowledgment at your place of business/learning/recreation/other. Learn why Land Acknowledgments matter and how to create yours by checking out this Teaching and Learning material provided by the University of Saskatchewan.
In order to establish and maintain a mutually respectful relationship between Indigenous and non-Indigenous people, the Truth and Reconciliation Commission (TRC) found that “there has to be awareness of the past, an acknowledgement of the harm that has been inflicted, atonement for the causes, and action to change behaviour.”
The City has been actively engaged – as a municipality, Co-Chair of Reconciliation Saskatoon, and through other community partnerships – in efforts to help raise awareness about Reconciliation and in providing opportunities to participate. Learn more at saskatoon.ca/Indigenous.
Access Transit bus & train collide: no injuries
January 20, 2021 - 3:49am
A Saskatoon Access Transit bus and a Canadian Pacific Train collided around 7:45 a.m. this morning at a crossing on 20th Street West; Access Transit is grateful there are no reported injuries.
The operator had parked near Station 20 West to help a passenger off. Another passenger remained on the bus.
Saskatoon Fire dispatched two engines to the scene and upon arrival firefighter paramedics helped to assist transferring the remaining passenger to hospital as a precaution. While the internal investigation is underway by Transit supervisors, it appears the bus had been parked too close to the railroad tracks.
Shortly after 9:00 a.m. rail officials reported the train was assessed and was safe to continue its trip.
City awarded 20th consecutive ‘AAA’/Stable credit rating from S&P Global
January 18, 2022 - 7:40am
- The City's “strong and prudent financial management is a key credit strength” and its “management team is experienced and qualified to effectively enact fiscal policies and respond to external risks.”
- The City “demonstrates good political and managerial strength with its lengthy track record of passing budgets with minimal variations from budgeted revenues and expenses.”
- “Management’s disclosure and transparency are good, and the City prepares robust annual budget documents, with multi-year operating and capital budgets and long-term capital and borrowing plans.”
- The City’s “strong budgetary performance will assist in keeping the debt burden manageable.”
- An “exceptional liquidity position will continue to support its creditworthiness.”
S&P Global Ratings (S&P) has reaffirmed the City of Saskatoon’s credit rating as the highest rating possible, a ‘AAA’ credit rating with a “Stable” outlook. The City has maintained the ‘AAA’/Stable credit rating for twenty years since S&P first began affirming the City’s credit ratings in 2002.
“We are very pleased to receive S&P Global Ratings ‘AAA’/Stable credit rating today especially given the financial challenges the City and other municipalities have weathered because of the COVID-19 pandemic. This rating supports the City of Saskatoon’s ongoing strong governance and financial management practices,” says Clae Hack, Chief Financial Officer. “The City’s prudent financial management and strategies have allowed us to continue providing essential core services while balancing our budgets during the ongoing financial disruption from COVID-19 over the last two years.”
Noting Saskatoon’s diverse economy and observing the City’s “strong operating surpluses and prudent financial management”, today’s release of the S&P Global Ratings report reaffirmed ‘AAA’ long-term issuer credit and senior unsecured debt ratings on the City with an outlook that is “Stable”.
S&P expects “the global pandemic will continue to affect economic growth in 2022 as social distancing and other preventative measures slow business activity,” but further note that they “believe this slowdown will be temporary and (Saskatoon’s) economic diversity and ongoing population growth should continue to support GDP per capita growth in line with Canada's over the forecast horizon.”
“Maintaining the City’s ‘AAA’ rating which includes a stable outlook, is important as it supports our confidence in our budgetary decisions, financial management and overall economic outlook for the City of Saskatoon,” adds Hack. “We are a municipal leader and remain assured in our ability to minimize debt as we commit to priorities within the City’s 2022-2025 Strategic Plan and undertake long-term planning for infrastructure to support our great quality of life in Saskatoon.”
Key rationale within the January 18, 2022, S&P Global Ratings Direct® Report include:
Credit ratings are one of several tools that investors and lenders use when making decisions regarding an organization’s future financial strengths and weaknesses. For the City of Saskatoon, the ‘AAA’/Stable rating serves as an indication of the credit risk and ability to meet its financial obligations in full and on time. This also identifies the credit quality of the City’s debt issue and can translate into lower interest rates for favourable credit ratings since there is minimal or low risk associated with the City’s debt.
To learn more about the City of Saskatoon’s financial performance and credit rating, visit saskatoon.ca.